Nabis flavomarginatus Scholtz, 1847

DE Deutschland , DE-SN Sachsen Druckansicht

Diagnose

Körperlänge: 7,3–10,0 mm.

Kopf: langgestreckt, Fühler kürzer als die Körperlänge.

Thorax: meist kurzflüglig.

Abdomen: Rücken schwärzlich mit zwei hellen Längsstreifen. Helle Randfelder der Hinterleibssegmente (Connexivum) aufgeborgen. Abdomen unterseits am Rand mit Längsfurche.

Ähnliche Art: Himacerus major ohne zwei gelbe Längsstreifen auf dem Hinterleib. Randfelder der Hinterleibssegmente (Connexivum) nicht aufgeborgen. Abdomen unterseits am Rand ohne Längsfurche.

 

Gesetzlicher Schutz und Rote Liste

Merkmale

 

Verbreitung

Die Art zeigt eine holarktische Verbreitung von Nordeuropa über Sibirien bis zur koreanischen Halbinsel und nach Japan. Die Art fehlt in Südwest- und Südeuropa. In Asien reicht die südliche Verbreitung bis Innerasien und Nordostchina. Ferner kommt die Art in Alaska, kanada und Grönland vor.

Vorkommen in Sachsen

Nabis flavomarginatusist in den Mittelgebirgsregionen häufig und dort in feuchten Wiesen allgemein verbreitet. Im sächsischen Hügelland und im Flachland ist d´sie oft nur zerstreut verbreitet oder es existieren oft nur Einzelfunde.

Lebensweise

Nach der Überwinterung im Eistadium erscheinen die Larven im späten Frühjahr und Frühsommer. Erste erwachsene Tiere sind je nach Höhenlage Ende Juni oder ab Juli zu finden. Die Männchen sterben früher. Weibchen kann man auch im September und bis in den Oktober hinein vorfinden. Die Weibchen legen die Eier in untere Bereiche von Grasstängeln. Die Ernährung der Art erfolgt unspezifisch räuberisch. Entsprechend des Nahrungsangebots in ihrem Lebensraum spielen jedoch Zikaden eine wesentliche Rolle im Beutspektrum

Lebensräume

Nabis flavomarginatus hat unter den einheimischen Arten der Gattung die geringsten Temperatusanspüche und besiedelt offene, voll besonnte Bereiche feuchter Weisen und Moore.

Bestandssituation

Die Art ist in Sachsen häufig und ungefährdet.

Literatur

  • Arnold, K. 2009: Checkliste der Heteropteren des Freistaates Sachsen - Mitteilungen Sächsischer Entomologen Entomofaunistische Gesellschaft e.V. LV Sachsen Supplement 8: 116-145.
  • Brändle, M., C. Rieger 1999: Die Wanzenfauna von Kiefernstandorten (Pinus sylvestris L.) in Mitteleuropa (Insecta: Hemiptera: Heteroptera) - Faunistische Abhandlungen Staatliches Museum für Tierkunde Dresden 21: 239-258.
  • Cohrs, C. & C. Kleindienst 1934: Hemiptera-Heteroptera (Wanzen) Zentralsachsens - Berichte der Naturwissenschaftlichen Gesellschaft zu Chemnitz Chemnitz 24: 143-182.
  • Engelmann, H.-D. 2008: Artenliste der Wanzen der Niederspreeexkursion - Heteropteron Köln 28: 7-8.
  • Jordan, K. H. C. 1953: Neue Funde und Beobachtungen zur Heteropterenfauna der Oberlausitz und Ostsachsens. - Natura lusatica 1: 2-17.
  • Jordan, K. H. C. 1963: Die Heteropterenfauna Sachsens - Faunistische Abhandlungen Staatliches Museum für Tierkunde Dresden 1: 1-68.
  • Lange, C. 1903: Fünfter Beitrag zur Insektenfauna des oberen Erzgebirges. - Bericht Annaberg-Buchholzer Verein für Naturkunde 11.
  • Michalk, O. 1938: Die Wanzen (Hemiptera heteroptera) der Leipziger Tieflandsbucht und der angrenzenden Gebiete, zugleich eine kritische Zusammenstellung aller deutschen Arten - Sitzungsberichte der Naturforschenden Gesellschaft zu Leipzig 63/64: 15-18.
  • Péricart, J. 1987: Hemipteres Nabidae d'Europe Occidentale et du Maghreb - Faune de France 71: 1-185.
  • Schuhmacher, F. 1919: Verzeichnis der bei Schandau in der Sächsischen Schweiz beobachteten Hemipteren - Entomologische Mitteilungen 8: 150 – 156.
  • Vogel, J. 1998: Wanzen (Heteroptera) in: Das Dubringer Moor - StUFA Bautzen und Naturforsch.Ges. der Oberlausitz: 59-60.
  • Wachmann, E. , A. Melber & J. Deckert 2006: Wanzen Band 1. Dipsocoromorpha, Nepomorpha, Gerromorpha, Leptopodomorpha, Cimicomorpha (Teil 1) - Die Tierwelt Deutschlands 77.
  • Wagner, E. 1967: Wanzen oder Heteropteren, II. Cimicomorpha. In: Dahl, F., Dahl, M. & F. Peus (Hrsg.): Die Tierwelt Deutschlands und der angrenzenden Meeresteile - Gustav Fischer Verlag Jena 55.
Autor(-en): Michael Münch. Letzte Änderung am 13.03.2025

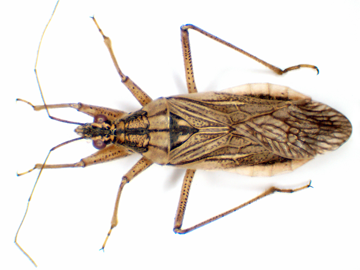
Nabis flavomarginatus, Chemnitz-Zeisigwald, Gelände des ehemaligen Tanklagers (Deutschland, Sachsen, Stadt Chemnitz), 01.07.2009
(© Michael Münch)


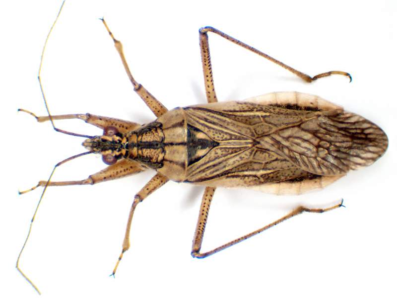
Nabis flavomarginatus, Chemnitz-Zeisigwald, Gelände des ehemaligen Tanklagers (Deutschland, Sachsen, Stadt Chemnitz), 01.07.2009
(© Michael Münch)


langflügeliges Exemplar (Marienberg, Erzgebirgskreis, Juli 2024)
(© Andreas Ihl)


Halbendorf, 18.07.2020
(© Martina Görner)
Login
Termine (Archiv)
Statistik
  • 657069 Beobachtungen
  • 346264 Onlinemeldungen
  • 4168 Steckbriefe
  • 284399 Fotos
  • 12117 Arten mit Fund
  • 6748 Arten mit Fotos

      

Verwendung von Cookies

Wir verwenden Cookies ausschließlich, um diese Website für Sie optimal zu gestalten und fortlaufend verbessern zu können. Durch die weitere Nutzung der Webseite stimmen Sie der Verwendung von Cookies zu.