Gryllomorpha dalmatina (Ocskay, 1832)

DE Deutschland , DE-SN Sachsen Druckansicht

Diagnose

Auch als Imago vollständig flügellose Grille. Die heimischen Grillen (Gryllidae) besitzten als Imagines vollständig ausgebildete Flügel, ebenso die als Gefangenschaftsflüchtlinge gelegentlich auftretenden Arten Gryllus assimilis und Gryllus bimaculatus. Die selten als Futtertier verwendete, brachyptere Gryllodes sigillatus besitzt als Imago erkennbare Flügelstummel.

Gesetzlicher Schutz und Rote Liste

Merkmale

Verbreitung

Lebensweise

Lebensräume

Bestandssituation

Gryllomorpha dalmatina wurde bisher nicht in Deutschland im Freiland nachgewiesen. Im Jahr 2015 gelang M. Happ in Eilenburg der Fund eines adulten Männchens im Freiland. Durch den Fund in Eilenburg erfolgte eine Recherche, ob es sich um einen Gefangenschaftsflüchtling einer Futtertierzucht handeln könnte. Der Tierpark Eilenburg nutzt bereits seit zwei Jahren vor dem Fund nach eigener Auskunft keine Grillen mehr als Futtertiere. Alle angefragten Zoofachhändler führen Gryllomorpha dalmatina nicht als Futtertiere und konnten diese auch nach konkreter Recherche nicht bei Futtertieranbietern im Angebot finden. Es dürfte sich bei dem Fund in Eilenburg um ein anthropogen verschlepptes Tier handeln. Ob sich eine kleine Population bereits etabliert hat oder ob es sich um ein verschlepptes Einzeltier handelt, ist derzeit unklar.

Literatur

Autor(-en): Tommy Kästner. Letzte Änderung am 17.12.2015

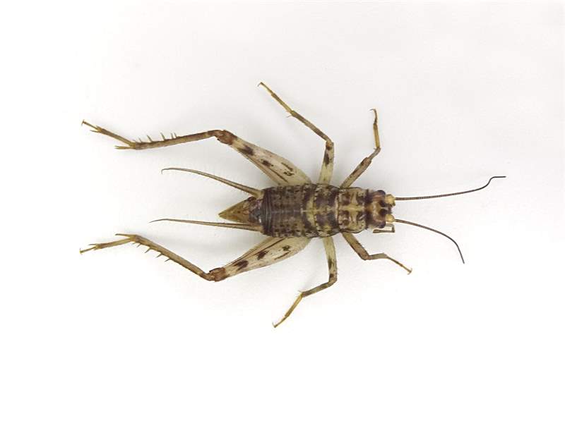
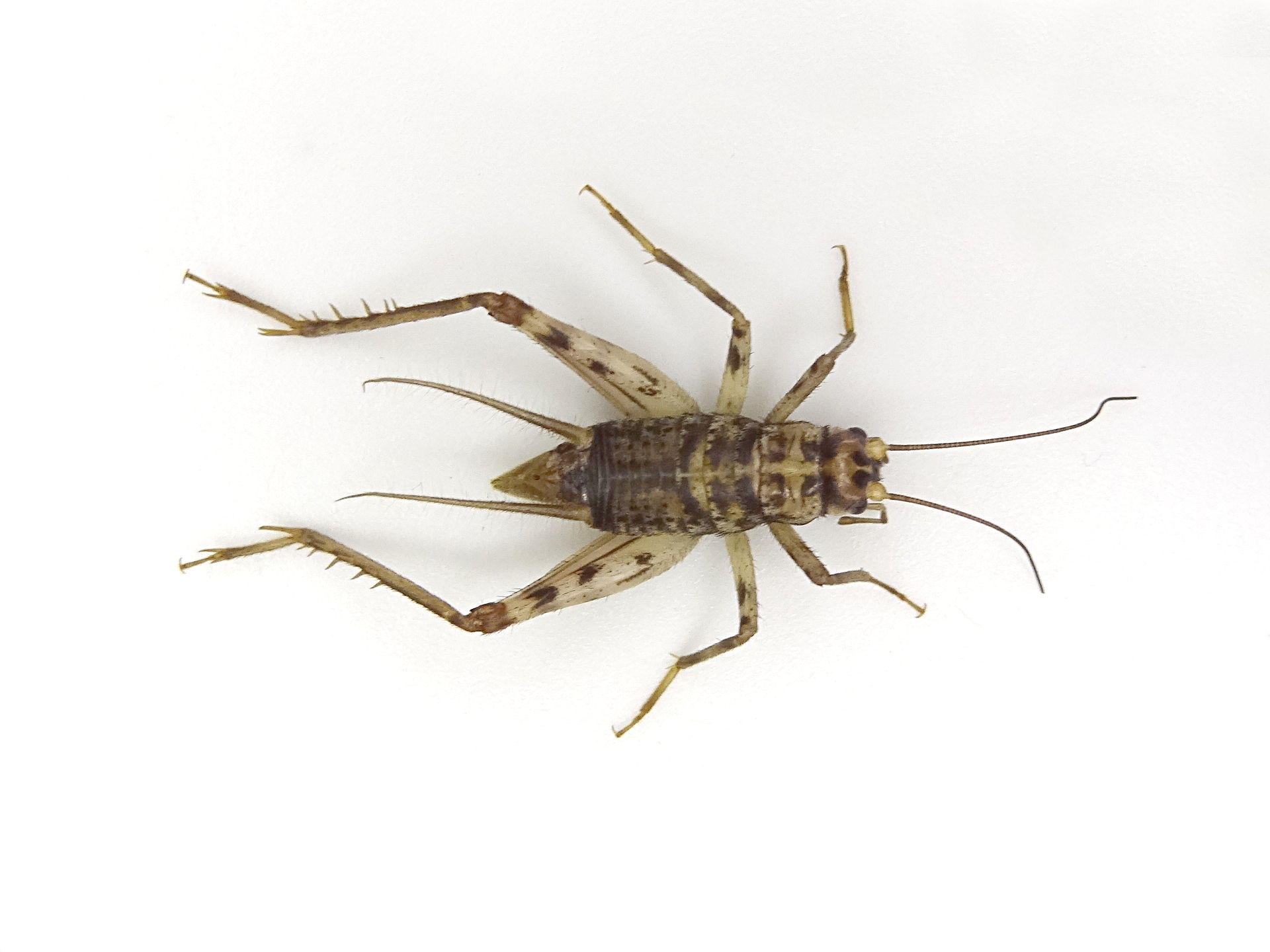
Gryllomorpha dalmatina in Eilenburg, Dezember 2015
(© Michael Happ)
Login
Termine (Archiv)
Statistik
  • 667333 Beobachtungen
  • 356307 Onlinemeldungen
  • 4193 Steckbriefe
  • 292613 Fotos
  • 12149 Arten mit Fund
  • 6803 Arten mit Fotos

      

Verwendung von Cookies

Wir verwenden Cookies ausschließlich, um diese Website für Sie optimal zu gestalten und fortlaufend verbessern zu können. Durch die weitere Nutzung der Webseite stimmen Sie der Verwendung von Cookies zu.