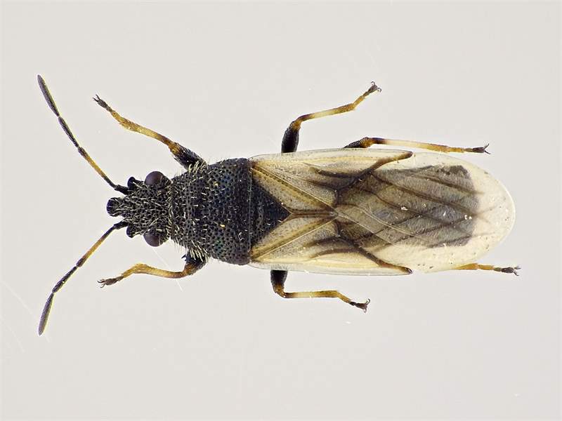
Diagnose
Körperlänge: 3.4–4,0 mm.
Kopf: schwarz, dreieckig, vorn löffelförmig verbreitert.
Thorax: Halsschild schwarz oder gelblich mit dunkler Hinterhälfte ("fuscinervis"). Schildchen schwarz. Halbdecken hell beige, hinten mit geschwärzten Adern, Membran hell mit bräunlichen Adern.
Abdomen: schwarz, länglich, kurz vor dem Ende am breitesten.
Ähnliche Arten: Metopoplax origani mit spitz zulaufendem Kopf.
Gesetzlicher Schutz und Rote Liste
—
Nomenklatur
Der Artstatus der drei Schwesterarten Metopoplax ditomoides, Metopoplax fuscinervis und Metopoplax origani ist umstritten (Simon et al. 2021). Während Metopoplax fuscinervis nur eine Färbungsvariante von Metopoplax ditomoides zu sein scheint, was auch durch regelmäßig zu beobachtende Kopulationen zwischen Tieren beider Färbungsmuster naheliegend ist, kann man bei Metopoplax ditomoides und Metopoplax origani von Unterarten ausgehen, weil hier eine geographische Isolation, wahrscheinlich eiszeitlich bedingt, bis ins späte 20. Jahrhundert vorlag und beide Sippen morphologische Unterschiede aufweisen.
Merkmale
Verbreitung
Metopoplax ditomoides kommt primär im südlichen Westeuropa vor. Von der Iberischen Halbinsel reicht die Verbreitung bis Südengland, in die Niederlande und nach Südwestdeutschland, sowie im Mittelmeerraum bis Italien. Die Art hat seit den 1990er Jahren Ihr Areal systematisch nach Nordosten ausgedehnt.
Vorkommen in Sachsen
Seit Mitte der 2000er Jahre wandert die Art in Sachsen von Westen her ein und hat heute die die Flach und Hügelländer westlich der Elbe komplett besiedelt. Östlich der Elbe finden sich vereinzelte Vorkommen - hier kommt es jetzt zur Überschneidung mit Metopoplax origani, die Sachsen von Südosten her besiedelt. Die Art ist ein Gewinner des Klimawandels.
Lebensweise
Die Überwinterung erfolgt als erwachsenes Tier in der Streu oder unter loser Borke, oft auch entfernt von den eigentlichen Sommerbiotopen. Kopulationen finden im Mai und Juni auf den Nahrungspflanzen statt. Die ersten erwachsenen Tiere erscheinen im Juli. Eventuell entsteht unter günstigen Bedingungen auch bei uns eine zweite Generation.
Lebensräume
Die Art besiedelt Ackerränder, Gartenkulturen und Brachen mit Vorkommen von Kamille-Arten (Matricaria chamomilla, Tripleurospermum inodorum, Anthemis spec.).
Bestandssituation
Die Art ist in Sachsen häufig und ungefährdet.
Literatur
- Arnold, K. 2009: Checkliste der Heteropteren des Freistaates Sachsen – Mitteilungen Sächsischer Entomologen Entomofaunistische Gesellschaft e.V. LV Sachsen Supplement 8: 116–145.
- Dietze, R., M. Münch & D. Vogel 2006: Bemerkenswerte Funde von Wanzen in Sachsen – Sächsische Entomologische Zeitung Leipzig 1: 2–32.
- Péricart, J. 1999: Hémiptères Lygaeidae euro–méditerranéens. Vol. 2 – Faune de France 84B: 1–453.
- Simon, H. & R. Achtziger, M. Bräu, W.H.O. Dorow, M.M. Gossner, P. Göricke, W. Gruschwitz, R. Heckmann, H.-J.Hoffmann, H. Kallenborn, W. Kleinsteuber, T. Martschei,
A. Melber, C. Morkel, M. Münch, J. Nawratil, R. Remane, C. Rieger, K. Voigt & H. Winkelmann 2021: Rote Liste und Gesamtartenliste der Wanzen (Heteroptera) Deutschlands. – In: Ries, M; S. Balzer, H. Gruttke, H. Haupt, N. Hofbauer, G. Ludwig, & G. Matzke-Hajek: Rote Liste gefährdeter Tiere, Pflanzen und Pilze Deutschlands, Band 5: Wirbellose Tiere (Teil 3). – Naturschutz und Biologische Vielfalt 70 (5): 465-624..
- Wachmann, E. , A. Melber & J. Deckert 2007: Wanzen Band 3. Pentatomomorpha I. Aradidae, Lygaeidae, Piesmatidae, Berytidae, Pyrrhocoridae, Alydidae, Coreidae, Rhopalidae, Stenocephalidae. – Die Tierwelt Deutschlands 78.
- Wagner, E. 1966: Wanzen oder Heteropteren, I. Pentatomorpha. In: Dahl, F., Dahl, M. & F. Peus (Hrsg.): Die Tierwelt Deutschlands und der angrenzenden Meeresteile – Gustav Fischer Verlag Jena 54.
Autor(-en): Michael Münch. Letzte Änderung am 05.04.2025
|
Leipzig, Mai 2020
(© Maik Hausotte)
Metopoplax ditomoides in der Gemarkung Hohenprießnitz, Kahns Berg, Januar 2018
(© Michael Happ)
Metopoplax ditomoides in der Gemarkung Hohenprießnitz, Kahns Berg, Januar 2018 (© Michael Happ)( Bild vergrößern)
Metopoplax ditomoides in der Gemarkung Hohenprießnitz, Mittelschlag, Juni 2016
(© Michael Happ)
Metopoplax ditomoides in der Gemarkung Hohenprießnitz, Mittelschlag, Juni 2016 (© Michael Happ)( Bild vergrößern)
Metopoplax ditomoides in der Gemarkung Hohenprießnitz, Kahns Berg, Januar 2018
(© Michael Happ)
Metopoplax ditomoides in der Gemarkung Hohenprießnitz, Kahns Berg, Januar 2018 (© Michael Happ)( Bild vergrößern)
Kopula von Metopoplax ditomoides, wobei das Tiere mit dem halb aufgehellten Halsschild habituell der umstrittenen Art Metopoplax fuscinervis anzugehören scheint. Torgau, Elbdamm S Hafenschlößchen (Deutschland, Sachsen, Landkreis Nordsachsen), 31.07.2005
(© Michael Münch)
Kopula von Metopoplax ditomoides, wobei das Tiere mit dem halb aufgehellten Halsschild habituell der umstrittenen Art Metopoplax fuscinervis anzugehören scheint. Torgau, Elbdamm S Hafenschlößchen (Deutschland, Sachsen, Landkreis Nordsachsen), 31.07.2005 (© Michael Münch)( Bild vergrößern)
Metopoplax ditomoides in der Gemarkung Hohenprießnitz, Mittelschlag, Juni 2016
(© Michael Happ)
Metopoplax ditomoides in der Gemarkung Hohenprießnitz, Mittelschlag, Juni 2016 (© Michael Happ)( Bild vergrößern)
|