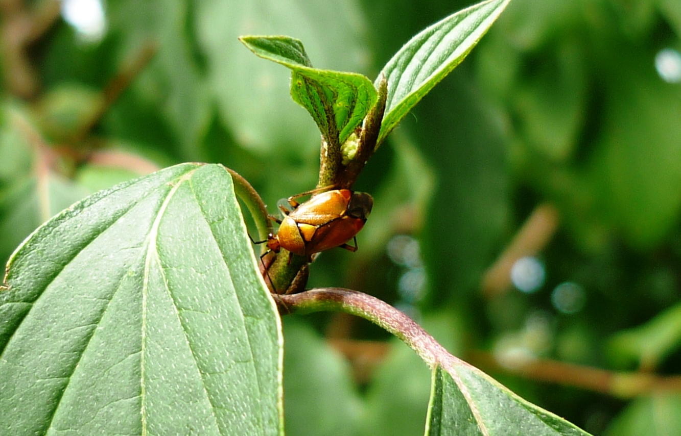
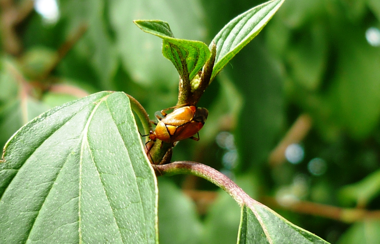
Deraeocoris ruber (Linnaeus, 1758)

DE Deutschland , DE-SN Sachsen Druckansicht

Deraeocoris ruber
Mischwald am Eierberg (Langer Flügel), 01896 Lichtenberg, Juli 2025

Imago
  © Uwe Schäfer  
Deraeocoris ruber
Eilenburg OT Behlitz, Juni 2025

Imago
  © Michael Happ  
Deraeocoris ruber
Chemnitz, August 2025

Imago
  © Benjamin Franke  
Deraeocoris ruber
Radebeul, Juli 2023

Imago
  © Steffen Hintersaß  
Deraeocoris ruber
Badra, Kyffhäuserkreis, Juli 2023

Imago
  © Benjamin Franke  
Deraeocoris ruber
Hoyerswerda, August 2025

Imago
  © Martina Görner  
Deraeocoris ruber
Constappel, Juni 2024

Larve
  © Steffen Hintersaß  
Deraeocoris ruber
Lobstädt, Landkreis Leipzig, Juni 2024

Imago
  © Michael Volpert  
Deraeocoris ruber
Moritzburg, Juni 2024

Larve
  © Steffen Hintersaß  
Deraeocoris ruber
Constappel, Juni 2024

Larve
  © Steffen Hintersaß  
Deraeocoris ruber
Belgern, Jul 2024

Imago
  © Susanne Ulbrich  
Deraeocoris ruber
Moritzburg, Juli 2024

Imago
  © Steffen Hintersaß  
Deraeocoris ruber
Senftenberg, Sommer 2024

Imago
  © Erhard Gleinig  
Deraeocoris ruber
Senftenberg, Sommer 2024

Imago
  © Erhard Gleinig  
Deraeocoris ruber
Senftenberg, Sommer 2024

Imago
  © Erhard Gleinig  
Deraeocoris ruber
Senftenberg, Sommer 2024

Imago
  © Erhard Gleinig  
Deraeocoris ruber
Senftenberg, Sommer 2024

Imago
  © Erhard Gleinig  
Deraeocoris ruber
Dresden-Albertstadt, 15. Juni 2025

Larve
  © Uwe Kaettniß  
Deraeocoris ruber
Dresden, 29. Juni 2025; auf Erigeron annuum; 8,5 mm lang

Imago
  © Christian Löser  
Deraeocoris ruber
Dresden, 29. Juni 2025; auf Erigeron annuum; 8,5 mm lang

Imago
  © Christian Löser  
Deraeocoris ruber
Kreischa, Landkreis Sächsische Schweiz-Osterzgebirge, 29. Juni 2025; 7,5 mm lang

Imago
  © Christian Löser  
Deraeocoris ruber
Constappel, Juli 2025

Imago
  © Steffen Hintersaß  
Deraeocoris ruber
Moritzburg, Landkreis Meißen, Juli 2025

Imago
  © Steffen Hintersaß  
Deraeocoris ruber
Annaberg-Buchholz, 18. August 2025

Imago
  © Wolfgang Dietrich  
Deraeocoris ruber
Dresden, 08. Juli 2025; auf Origanum vulgare; ca. 7 mm lang

Imago
  © Christian Löser  
Deraeocoris ruber
Kaditz, Juni 2025

Imago
  © Steffen Hintersaß  
Deraeocoris ruber
Dresden, 12. August 2025; auf Tanacetum vulgare; 7,7 mm lang

Imago
  © Christian Löser  
Deraeocoris ruber
Dresden, 12. August 2025; auf Tanacetum vulgare; 7,7 mm lang

Imago
  © Christian Löser  
Deraeocoris ruber
Augustusburg , August 2025

  © Beate Senf-Hentsch  
Deraeocoris ruber
Lausa, Landkreis Nordsachsen, Juli 2025

Imago
  © Benjamin Franke  
Deraeocoris ruber
Cosul - Kózły, Landkreis Bautzen, August 2025

Imago
  © Vincent Böhm  
Deraeocoris ruber
Cosul - Kózły, Landkreis Bautzen, August 2025

Imago
  © Vincent Böhm  
Deraeocoris ruber
Cosul - Kózły, Landkreis Bautzen, August 2025

Imago
  © Vincent Böhm  
Deraeocoris ruber
Pöhla, Luchsbachtal, 02. August 2025

Imago
  © Uwe Kaettniß  
Deraeocoris ruber
Pöhla, Luchsbachtal, 02. August 2025

Imago
  © Uwe Kaettniß  
Deraeocoris ruber
Langenhain, Juli 2025

Imago
  © Frank Nebe  
Deraeocoris ruber
Langenhain, Juli 2025

Imago
  © Frank Nebe  
Deraeocoris ruber
Langenhain, Juli 2025

Imago
  © Frank Nebe  
Deraeocoris ruber
Langenhain, Juli 2025

Imago
  © Frank Nebe  
Deraeocoris ruber
Langenhain, Juli 2025

Imago
  © Frank Nebe  
Deraeocoris ruber
Moritzburg, Juli 2025

Imago
  © Steffen Hintersaß  
Deraeocoris ruber
Schirgiswalde, 23. Juli 2025

Imago
  © Konrad Thomas  
Deraeocoris ruber
bei Hermannshagen-Heide (Landkreis Vorpommern-Rügen), 06. Juli 2025

Imago
  © Martin Feike  
Deraeocoris ruber
Dippelsdorf, Landkreis Meißen, Juli 2025

Imago
  © Steffen Hintersaß  
Deraeocoris ruber
Fischerteichgebiet bei Moritzburg

Imago
  © Steffen Hintersaß  
Deraeocoris ruber
Dresden, 22. Juni 2025; 7,0 mm lang

Imago
  © Christian Löser  
Deraeocoris ruber
Dresden, 18. Juni 2025; auf Erigeron annuum; ca. 7 mm lang

Imago
  © Christian Löser  
Deraeocoris ruber
Dresden, 18. Juni 2025; auf Erigeron annuum; ca. 7 mm lang

Imago
  © Christian Löser  
Deraeocoris ruber
Dresden, 18. Juni 2025; auf Erigeron annuum; ca. 7 mm lang

Imago
  © Christian Löser  
Deraeocoris ruber
Dresden, 17. Juni 2025; 6...7 mm lang

Imago
  © Christian Löser  
Deraeocoris ruber
Dresden, 17. Juni 2025; 6...7 mm lang

Imago
  © Christian Löser  
Deraeocoris ruber
am Licht - Dahlen-Dübener Heiden, Lehmberg bei Neußen, Belgern-Schildau, 2. Juli 2025

Imago
  © Gert Schulze  
Deraeocoris ruber
Mirow, Landkreis Mecklenburgische Seenplatte, Juni 2025

Imago
  © Uwe Kaettniß  
Deraeocoris ruber
Chemnitz-Schlosschemnitz, Juli 2025

Imago
  © Benjamin Franke  
Deraeocoris ruber
Dresden, Juli 2025

  © Ralf Wegel  
Deraeocoris ruber
Rote Weichwanze, Deraeocoris ruber (Linnaeus, 1758), Weinböhla, Juli 2025

Imago
  © Robert Leistner  
Deraeocoris ruber
Rote Weichwanze, Deraeocoris ruber (Linnaeus, 1758), Weinböhla, Juli 2025

Imago
  © Robert Leistner  
Deraeocoris ruber
Wermsdorf , Juli 2025

  © Susanne Ulbrich  
Deraeocoris ruber
Lausa , Juli 2025

  © Katja Wittig  
Deraeocoris ruber
Constappel, Juni 2025

Imago
  © Steffen Hintersaß  
Deraeocoris ruber
Leipzig, Juni 2025

  © Michael Volpert  
Deraeocoris ruber
Leipzig, Juni 2025

  © Susanne Ulbrich  
Deraeocoris ruber
Freiberg, Juni 2025

Imago
  © Roland Achtziger  
Deraeocoris ruber
Constappel, Juli 2024

Imago
  © Steffen Hintersaß  
Deraeocoris ruber
Moritzburg, Juni 2022

Larve
  © Steffen Hintersaß  
Deraeocoris ruber
Sörnewitz, Juli 2019

Imago
  © Roland Achtziger  
Deraeocoris ruber
Plauen, Juli 2020

Imago
  © Steffen Hintersaß  
Deraeocoris ruber
Altenhain, Landkreis Leipzig, Juni 2024

Imago
  © Michael Volpert  
Deraeocoris ruber
Altenhain, Landkreis Leipzig, Juni 2024

Imago
  © Michael Volpert  
Deraeocoris ruber
Moritzburg, Juni 2024

Imago
  © Steffen Hintersaß  
Deraeocoris ruber
Hohenleipisch, Landkreis Elbe-Elster, Juni 2024

Imago
  © Jörg Teumer  
Deraeocoris ruber
Kaditz, Juni 2024

Imago
  © Steffen Hintersaß  
Deraeocoris ruber
Behlitz, Juni 2024

Imago
  © Michael Happ  
Deraeocoris ruber
Dresden, 16. Juni 2024

Imago
  © Andreas Post  
Deraeocoris ruber
Moritzburg, Juni 2024

Imago
  © Steffen Hintersaß  
Deraeocoris ruber
Constappel, Juni 2024

Imago
  © Steffen Hintersaß  
Deraeocoris ruber
Borsdorf, Landkreis Leipzig, Juni 2024

Imago
  © Michael Volpert  
Deraeocoris ruber
Zadel, Juli 2024

Imago
  © Michael Braune  
Deraeocoris ruber
Pöhla, Luchsbachtal, 29. Juli 2024

Imago
  © Uwe Kaettniß  
Deraeocoris ruber
Gebüschsaum am Feldweg, Wachau, Juli 2024.

Imago
  © Uwe Schäfer  
Deraeocoris ruber
Constappel, Juni 2024

Imago
  © Steffen Hintersaß  
Deraeocoris ruber
Moritzburg, Juni 2024

Imago
  © Steffen Hintersaß  
Deraeocoris ruber
Zwochau, Juli 2024

Imago
  © Roland Achtziger  
Deraeocoris ruber
Zwochau, Juli 2024

Imago
  © Roland Achtziger  
Deraeocoris ruber
am Licht - Westlausitz, Waldstück/Weide zw. Rammenau und Goldbach, Bischofswerda, 26. Juni 2024

Imago
  © Gert Schulze  
Deraeocoris ruber
Freiberg, Landkreis Mittelsachsen, Juni 2018

Larve
  © Roland Achtziger  
Deraeocoris ruber
Ursprungtal Hohenaltheim, Landkreis Donau-Ries (Bayern), Juli 2024

Imago
  © Tilmann Adler  
Deraeocoris ruber
Ursprungtal Hohenaltheim, Landkreis Donau-Ries (Bayern), Juli 2024

Imago
  © Tilmann Adler  
Deraeocoris ruber
Ursprungtal Hohenaltheim, Landkreis Donau-Ries (Bayern), Juli 2024

Imago
  © Tilmann Adler  
Deraeocoris ruber
Chemnitz-Wittgensdorf, Juli 2023

Imago
  © Benjamin Franke  
Deraeocoris ruber
Wacholderheide Ruine Niederhaus Ederheim, Landkreis Donau-Ries (Bayern), Juli 2024

Imago
  © Tilmann Adler  
Deraeocoris ruber
Fremdingen, Landkreis Donau-Ries (Bayern), Juni 2024

Imago
  © Tilmann Adler  
Deraeocoris ruber
Fremdingen, Landkreis Donau-Ries (Bayern), Juni 2024

Imago
  © Tilmann Adler  
Deraeocoris ruber
Auhausen Oettinger Forst Donau-Ries (Bayern), Juni 2024

Larve
  © Tilmann Adler  
Deraeocoris ruber
Auhausen Oettinger Forst Donau-Ries (Bayern), Juni 2024

Larve
  © Tilmann Adler  
Deraeocoris ruber
Auhausen Oettinger Forst Donau-Ries (Bayern), Juni 2024

Larve
  © Tilmann Adler  
Deraeocoris ruber
Auhausen Oettinger Forst Donau-Ries (Bayern), Juni 2024

Larve
  © Tilmann Adler  
Deraeocoris ruber
Pöhla, Luchsbachtal, 05. August 2024

Imago
  © Uwe Kaettniß  
Deraeocoris ruber
Oßling, August 2024

Imago
  © Peter Diehl  
Deraeocoris ruber
Chemnitz-Ebersdorf, 15. August 2024

Imago
  © Uwe Kaettniß  
Deraeocoris ruber
Pöhla, Luchsbachtal, 17. August 2024

Imago
  © Uwe Kaettniß  
Deraeocoris ruber
Kaditz, Juni 2024

Imago
  © Steffen Hintersaß  
Deraeocoris ruber
Waldwassertal bei Neuschirgiswalde, Juli 2023

Larve
  © Tilmann Adler  
Deraeocoris ruber
Waldwassertal bei Neuschirgiswalde, Juli 2023

Larve
  © Tilmann Adler  
Deraeocoris ruber
am Ochsenberg bei Neukirch/Kamenz, Juni 2023

Larve
  © Tilmann Adler  
Deraeocoris ruber
am Ochsenberg bei Neukirch/Kamenz, Juni 2023

Larve
  © Tilmann Adler  
Deraeocoris ruber
Senftenberg, 2023

Imago
  © Erhard Gleinig  
Deraeocoris ruber
Senftenberg, 2023

Imago
  © Erhard Gleinig  
Deraeocoris ruber
Senftenberg, 2023

Imago
  © Erhard Gleinig  
Deraeocoris ruber
Senftenberg, 2023

Imago
  © Erhard Gleinig  
Deraeocoris ruber
Plauen / Vogtland, Juli 2019

Imago
  © Steffen Hintersaß  
Deraeocoris ruber
NaturFreundehaus Grethen, Parthenstein, Juli 2023

Imago
  © Tilmann Adler  
Deraeocoris ruber
NSG Kleiner Berg Hohburg, Juli 2023

Imago
  © Tilmann Adler  
Deraeocoris ruber
NSG Kleiner Berg Hohburg, Juli 2023

Imago
  © Tilmann Adler  
Deraeocoris ruber
Stützengrün, OT Hundshübel, 13. August 2023

Imago
  © Uwe Kaettniß  
Deraeocoris ruber
bei Neuendorf-Heide (Landkreis Vorpommern-Rügen), 22. Juli 2023

Imago
  © Martin Feike  
Deraeocoris ruber
Dornreichenbach, Juli 2023

Imago
  © Eva-Maria Bäßler  
Deraeocoris ruber
NSG Dornreichenbacher Berg, Juli 2023

Imago
  © Tilmann Adler  
Deraeocoris ruber
NSG Dornreichenbacher Berg, Juli 2023

Imago
  © Tilmann Adler  
Deraeocoris ruber
Bockwen, Landkreis Meißen, Juli 2023

Imago
  © Michael Braune  
Deraeocoris ruber
Stützengrün, OT Hundshübel, Juli 2023

Imago
  © Uwe Kaettniß  
Deraeocoris ruber
Gröditz, Landkreis Meißen, Juli 2023

Imago
  © Ute Pomaska  
Deraeocoris ruber
Boblitz bei Bautzen, Juni 2023

Imago
  © Robert Michalk  
Deraeocoris ruber
Radebeul, Juli 2023

Imago
  © Steffen Hintersaß  
Deraeocoris ruber
Pöhla, Luchsbachtal, 11. Juli 2023

Imago
  © Uwe Kaettniß  
Deraeocoris ruber
Chemnitz,, Juli 2023

Imago
  © Michael Weiß  
Deraeocoris ruber
Chemnitz,, Juli 2023

Imago
  © Michael Weiß  
Deraeocoris ruber
Garten, Ohorn, 5. Jul 2023

Imago
  © Gert Schulze  
Deraeocoris ruber
Grenzwanderweg zwischen Baude Sohland und Dreiherrenstein, Juli 2023

Imago
  © Tilmann Adler  
Deraeocoris ruber
Oberlausitzer Bergland, Waldwassertal bei Neuschirgiswalde, 1. Juli 2023

Larve
  © Gert Schulze  
Deraeocoris ruber
Moritzburg, Juli 2023

Imago
  © Steffen Hintersaß  
Deraeocoris ruber
Lauterbachtal, Kleindittmannsdorf, Juli 2019.

Imago
  © Uwe Schäfer  
Deraeocoris ruber
Chemnitz Planitzwiese, Juli 2021

Imago
  © Benjamin Franke  
Deraeocoris ruber
Lichtentanne, Landkreis Zwickau, Juli 2022

Imago
  © Stefan Werner  
Deraeocoris ruber
Radebeul, Juni 2023

Imago
  © Steffen Hintersaß  
Deraeocoris ruber
Böhlitz, Landkreis Leipzig, Juni 2023

Imago
  © Michael Volpert  
Deraeocoris ruber
Kyffhäuserland-Badra, Juli 2021

Imago
  © Benjamin Franke  
Deraeocoris ruber
Kyffhäuserland-Badra, Juli 2021

Imago
  © Benjamin Franke  
Deraeocoris ruber
Kyffhäuserland-Badra, Juli 2021

Imago
  © Benjamin Franke  
Deraeocoris ruber
Chemnitz, Juli 2021

Imago
  © Benjamin Franke  
Deraeocoris ruber
Chemnitz-Röhrsdorf, Juli 2021

Imago
  © Benjamin Franke  
Deraeocoris ruber
Chemnitz-Furth, Juli 2021

Imago
  © Benjamin Franke  
Deraeocoris ruber
Pöhla, Luchsbachtal, 09. August 2022

Imago
  © Uwe Kaettniß  
Deraeocoris ruber
bei Hermannshagen-Heide (Landkreis Vorpommern-Rügen), 17. Juli 2022

Imago
  © Martin Feike  
Deraeocoris ruber
Coswig, Juni 2022

Imago
  © Eva-Maria Bäßler  
Deraeocoris ruber
Hilbersdorfer Schmetterlingswiese des BUND Chemnitz , Juli 2021

Imago
  © Benjamin Franke  
Deraeocoris ruber
bei Hermannshagen-Heide (Landkreis Vorpommern-Rügen), 17. Juli 2022

Imago
  © Martin Feike  
Deraeocoris ruber
Constappel, Juli 2022

Imago
  © Steffen Hintersaß  
Deraeocoris ruber
Belgershain, Juli 2022

Imago
  © Nadine König  
Deraeocoris ruber
Belgershain, Juli 2022

Imago
  © Nadine König  
Deraeocoris ruber
Moritzburg, August 2013

Imago
  © Steffen Hintersaß  
Deraeocoris ruber
Lichtentanne, Juli 2021

Larve
  © Stefan Werner  
Deraeocoris ruber
Reichenberg, Juni 2019

Imago
  © Steffen Hintersaß  
Deraeocoris ruber
Radebeul, Juli 2010

Imago
  © Steffen Hintersaß  
Deraeocoris ruber
01445 Radebeul, August 2013

Imago
  © Steffen Hintersaß  
Deraeocoris ruber
Karsdorf, August 2013

Imago
  © Steffen Hintersaß  
Deraeocoris ruber
Moritzburg, August 2013

Imago
  © Steffen Hintersaß  
Deraeocoris ruber
Plauen/Vogtland, August 2015

Imago
  © Steffen Hintersaß  
Deraeocoris ruber
Kaditz bei Dresden, Juni 2016

Imago
  © Steffen Hintersaß  
Deraeocoris ruber
Bluno - Blun, 17. Juni 2022

Imago
  © Antje Weiß  
Deraeocoris ruber
Schrebergarten in Radeberg, Juli 2022

Imago
  © Tilmann Adler  
Deraeocoris ruber
Schrebergarten in Radeberg, Juli 2022

Imago
  © Tilmann Adler  
Deraeocoris ruber
Schrebergarten in Radeberg, Juli 2022

Imago
  © Tilmann Adler  
Deraeocoris ruber
Deraeocoris ruber (Linnaeus, 1758), Dresden, Juli 2021

Imago Männchen Weibchen
  © Frank Bittrich  
Deraeocoris ruber
Uhlsdorf, 12.07.2020

Imago
  © Frank Löcse  
Deraeocoris ruber
Uhlsdorf, 12.07.2020

Imago
  © Frank Löcse  
Deraeocoris ruber
Uhlsdorf, 12.07.2020

Imago
  © Frank Löcse  
Deraeocoris ruber
Rothenburg/O.L., 25.07.2020

Imago
  © Benjamin Franke  
Deraeocoris ruber
Wald bei Hermannshagen-Heide (Landkreis Vorpommern-Rügen), 08.07.2021

Imago
  © Martin Feike  
Deraeocoris ruber
NSG Badraer Lehde - Großer Eller Kyffhäuserkreis , Juli 2020

Imago
  © Benjamin Franke  
Deraeocoris ruber
Langenbernsdorf, 11.07.2016

Imago
  © Stefan Werner  
Deraeocoris ruber
Chemnitz-Wittgensdorf, Juli 2020

Imago
  © Benjamin Franke  
Deraeocoris ruber
Deraeocoris ruber, Stadt Chemnitz, 09.07.2020

Imago
  © Ines Schürer  
Deraeocoris ruber
Deraeocoris ruber FND Pulverloch bei Niederwürschnitz 30.07.2017

Imago
  © Jens Heßmann  
Deraeocoris ruber
Nossen, 02.08.2021

Imago
  © Angelika Alexowsky  
Deraeocoris ruber
Neukirchen/Pleiße, 18.07.2017

Imago
  © Joachim Kupfer  
Deraeocoris ruber
Leipzig, 27.06.2021

Imago
  © Tony Kremser  
Deraeocoris ruber
Chemnitz, 10.07.2021

Imago
  © Michael Weiß  
Deraeocoris ruber
Chemnitz, 10.07.2021

Imago
  © Michael Weiß  
Deraeocoris ruber
Fehrow, Revierförsterei (Brandenburg), 27.07.2020

Imago
  © Martin Feike  
Deraeocoris ruber
Fuhlendorf (Landkreis Vorpommern-Rügen), 03.07.2020

Imago
  © Martin Feike  
Deraeocoris ruber
Wallengrün, Juli 2020

Imago
  © Daniel Werner  
Deraeocoris ruber
Deraeocoris ruber (Linnaeus, 1758) beim Sommertreffen 2020 in Halbendorf, 18.07.2020

Imago
  © Katrin Ritter  
Deraeocoris ruber
Wallengrün, Juli 2020

Imago
  © Daniel Werner  
Deraeocoris ruber
Zadel, 16.07.2020

Imago Männchen Weibchen
  © Michael Braune  
Deraeocoris ruber
Chemnitz-Hilbersdorf, 11.08.2019

Imago
  © Benjamin Franke  
Deraeocoris ruber
Rote Weichwanze, Gartengrundstück bei Bad Düben, am Rande der Dübener Heide, am 09.08.2009

Imago
  © R. Papenfuß  
Deraeocoris ruber
Rote Weichwanze, Gartengrundstück bei Bad Düben, am Rande der Dübener Heide, am 21.06.2008 und am 23. ´07.2008

Imago
  © R. Papenfuß  
Deraeocoris ruber
Rote Weichwanze, Gartengrundstück bei Bad Düben, am Rande der Dübener Heide, am 21.06.2008 und am 23. ´07.2008

Imago
  © R. Papenfuß  
Deraeocoris ruber
Rote Weichwanze, Gartengrundstück bei Bad Düben, am Rande der Dübener Heide, am 14.07.2018

Imago
  © R. Papenfuß  
Deraeocoris ruber
Chemnitz-Hilbersdorf, 03.07.2019

Imago
  © Benjamin Franke  
Deraeocoris ruber
Deraeocoris ruber, Bauerngarten in Chorin, OT Pehlitz, 15.07.2019

Imago
  © Bernd Garbe  
Deraeocoris ruber
Rote Halsring-Weichwanze (Deraeocoris ruber (Linnaeus, 1758)) am Großen Hüttenteich in Berthelsdorf/Erzgebirge Sommertreffen 07.07.2019

Imago
  © Tilmann Adler  
Deraeocoris ruber
Rote Halsring-Weichwanze (Deraeocoris ruber (Linnaeus, 1758)) östlich von Radeberg, 12.07.2016

Imago
  © Tilmann Adler  
Deraeocoris ruber
Deraeocoris ruber (Linnaeus, 1758) Schmetterlingswiese 294 Chemnitz-Hilbersdorf 03.07.2019

Imago
  © Benjamin Franke  
Deraeocoris ruber
Rote Halsring-Weichwanze (Deraeocoris ruber (Linnaeus, 1758)) östlich von Wachau Lichtfang am 26.07.2019

Imago
  © Tilmann Adler  
Deraeocoris ruber
Rote Weichwanze (Deraeocoris ruber (Linnaeus, 1758)), Cottbus, Juni 2016

Imago Weibchen
  © Andreas Post  
Deraeocoris ruber
Rote Weichwanze (Deraeocoris ruber (Linnaeus, 1758)), Cottbus, Juni 2016

Imago Weibchen
  © Andreas Post  
Deraeocoris ruber
Deraeocoris ruber, Bauerngarten in Chorin, OT Pehlitz, 15.07.2019

Imago
  © Bernd Garbe  
Deraeocoris ruber
Deraeocoris ruber (Linnaeus, 1758), Wohngrundstück, 01896 Lichtenberg, Juni 2019.

Imago
  © Uwe Schäfer  
Deraeocoris ruber
Deraeocoris ruber (Linnaeus, 1758), Streitfeld Juni 2019

Imago
  © Tina Beykirch  
Deraeocoris ruber
Deraeocoris ruber (Linnaeus, 1758), Streitfeld Juni 2019

Imago
  © Tina Beykirch  
Deraeocoris ruber
Deraeocoris ruber (Linnaeus, 1758), Streitfeld Juni 2019

Imago
  © Tina Beykirch  
Deraeocoris ruber
Rote Weichwanze (Deraeocoris ruber (Linnaeus, 1758)), Jacobsthal, Juli 2019

Imago
  © Michael Braune  
Deraeocoris ruber
Deraeocoris ruber (Linnaeus, 1758) Garten in Dresden-Mockritz, 20.06.2019

Imago
  © Jörg Hartmann  
Deraeocoris ruber
Deraeocoris ruber (Linnaeus, 1758) Garten in Dresden-Mockritz, 20.06.2019

Imago
  © Jörg Hartmann  
Deraeocoris ruber
Deraeocoris ruber (Linnaeus, 1758) Garten in Dresden-Mockritz, 20.06.2019

Imago
  © Jörg Hartmann  
Deraeocoris ruber
Deraeocoris ruber (Linnaeus, 1758) Garten in Dresden-Mockritz, 20.06.2019

Imago
  © Jörg Hartmann  
Deraeocoris ruber
Deraeocoris ruber, Kaditz bei Dresden, aufgebrochene Elbwiese, Juli 2018

Imago
  © Steffen Hintersaß  
Deraeocoris ruber
Rote Halsring-Weichwanze im Juni 2018 im LSG Hüttertal bei Radeberg

Imago
  © Tilmann Adler  
Deraeocoris ruber
Deraeocoris ruber am 16.06.2018 in Panitzsch

Imago
  © Michael Volpert  
Deraeocoris ruber
Deraeocoris ruber am 30.05.2018 in Panitzsch

Larve
  © Michael Volpert  
Deraeocoris ruber
Deraeocoris ruber , Plauen/Vogtland, Nach den drei Bergen, Juni 2017

Imago
  © Steffen Hintersaß  
Deraeocoris ruber
Deraeocoris ruber, Auer bei Dresden, Juli 2017

Imago
  © Steffen Hintersaß  
Deraeocoris ruber
Deraeocoris ruber, Kaditz bei Dresden, Juli 2016

Imago
  © Steffen Hintersaß  
Deraeocoris ruber
Deraeocoris ruber, Thiergarten/Vogtland, August2016

Imago
  © Steffen Hintersaß  
Deraeocoris ruber
Rote Halsring-Weichwanze im Juni 2016 bei Hohenprießnitz

Imago
  © Tilmann Adler  
Deraeocoris ruber
Deraeocoris ruber L5, Juni 2015, Bärwalde bei Moritzburg

  © Steffen Hintersaß  
Deraeocoris ruber
Deraeocoris ruber an der Blüte einer Golddistel, Hochhalde Trages bei Espenhain im August 2013

Imago
  © Bernd Garbe  
Deraeocoris ruber
Rote Weichwanze (Deraeocoris ruber (Linnaeus, 1758)), Radeberg, Juli 2014.

Imago
  © Udo Lemke  
Deraeocoris ruber
Larve im 5.Stadium von Deraeocoris ruber. Gemarkung Hohenprießnitz, Rieselgraben am Fichtbusch, Juni 2014

Larve
  © Michael Happ  
Deraeocoris ruber
Deraeocoris ruber in der Gemarkung Hohenprießnitz, Rieselgraben am Fichtbusch, Juni 2014

  © Michael Happ  
Deraeocoris ruber
Rote Weichwanze am 25.07.2011 in Glashütte

Imago
  © Stefan Höhnel  
Deraeocoris ruber
Eine Rote Weichwanze am 26.07.2010 in einem Glashütter Garten

Imago
  © Stefan Höhnel  
Deraeocoris ruber
Deraeocoris ruber auf Daucus carota bei Kesselsdorf (16.08.2013)

Imago Weibchen
  © Andreas Ihl  
Deraeocoris ruber
Deraeocoris ruber, Bienitz, 20.06.2008

Imago
  © Maik Hausotte  
Deraeocoris ruber
Rote Weichwanze auf Rainfarnblüten (Tanacetum vulgare). Radeberg, Juli 2008

  © Udo Lemke  
Deraeocoris ruber (Larve)


Larve
  © Michael Münch  
Deraeocoris ruber (Imago)


Imago
  © Michael Münch  
Deraeocoris ruber (Imago)


Imago
  © Michael Münch  
Deraeocoris ruber (Imago)


Imago
  © Michael Münch  
 
Login
Termine (Archiv)
Statistik
  • 657023 Beobachtungen
  • 346212 Onlinemeldungen
  • 4168 Steckbriefe
  • 284366 Fotos
  • 12116 Arten mit Fund
  • 6748 Arten mit Fotos

      

Verwendung von Cookies

Wir verwenden Cookies ausschließlich, um diese Website für Sie optimal zu gestalten und fortlaufend verbessern zu können. Durch die weitere Nutzung der Webseite stimmen Sie der Verwendung von Cookies zu.