Gemeine Wiesenwanze (Lygus pratensis (Linnaeus, 1758))

DE Deutschland , DE-SN Sachsen Druckansicht

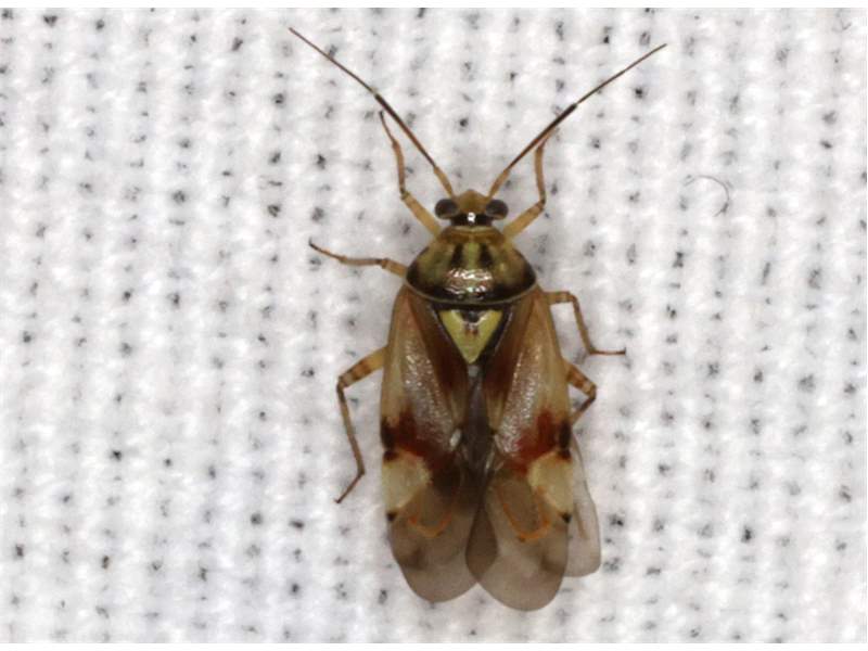
Lygus pratensis
Chemnitz-Wittgensdorf, Juli 2025

Imago
  © Benjamin Franke  
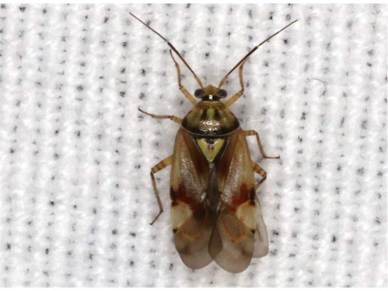
Lygus pratensis
Burghammer - Bórkhamor, Landkreis Bautzen, Juli 2024

Imago
  © Benjamin Franke  
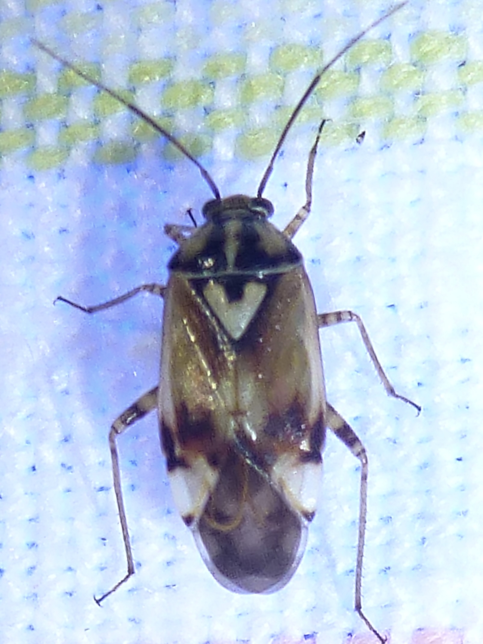
Lygus pratensis
Zschepplin, August 2025

Imago
  © Michael Happ  
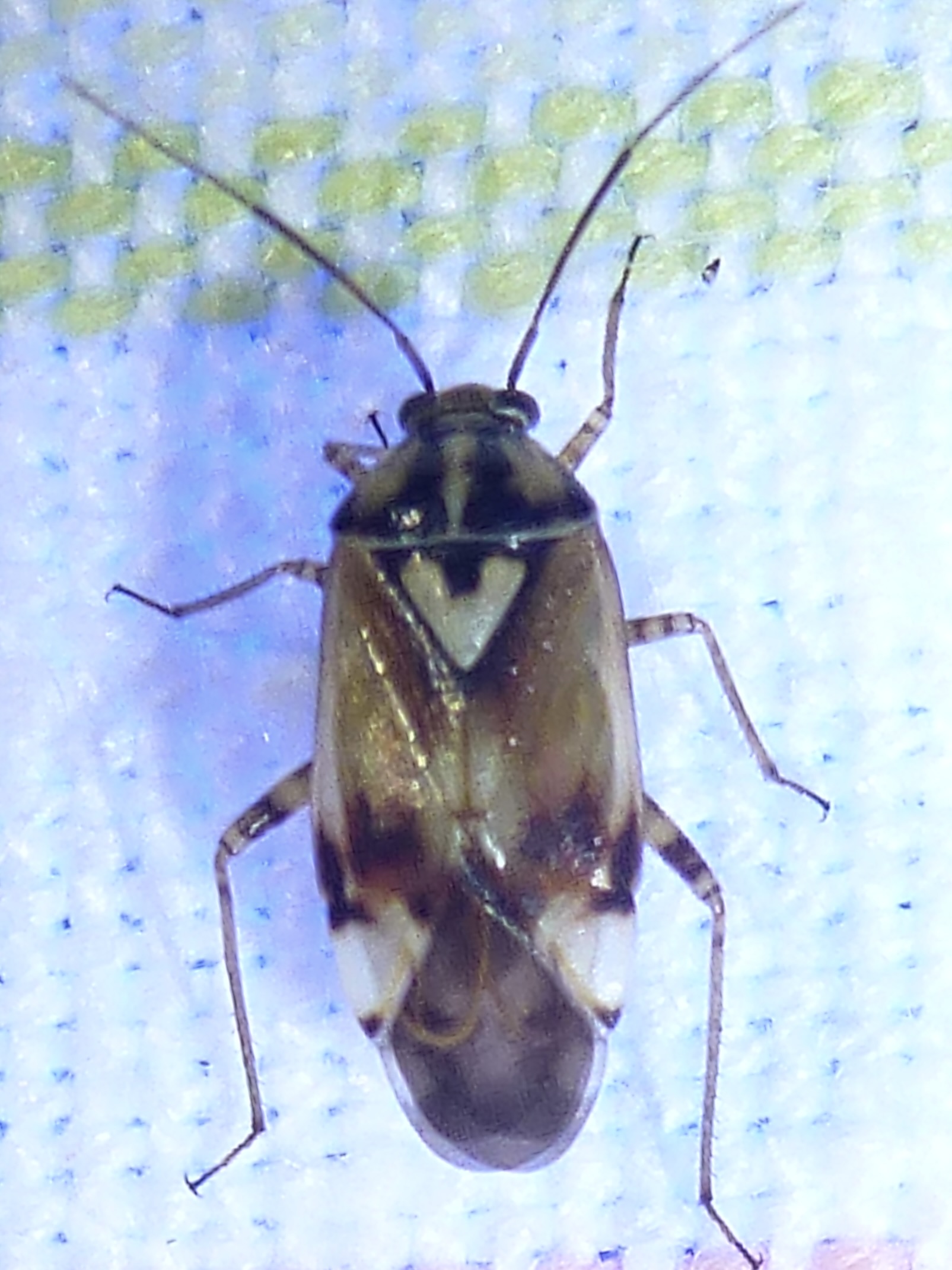
Lygus pratensis
Pöhla, Luchsbachtal, 26. April 2024

Imago
  © Uwe Kaettniß  
Lygus pratensis
Pöhla, Luchsbachtal, 26. April 2024

Imago
  © Uwe Kaettniß  
Lygus pratensis
Kaditz, Juli 2018

Imago
  © Steffen Hintersaß  
Lygus pratensis
Chemnitz, April 2022

Imago
  © Benjamin Franke  
Lygus pratensis
Küchwaldpark Chemnitz, Juli 2024

Imago
  © Tilmann Adler  
Lygus pratensis
Küchwald Chemnitz, Juli 2024

Imago
  © Katrin Ritter  
Lygus pratensis
Küchwald Chemnitz, Juli 2024

Imago
  © Katrin Ritter  
Lygus pratensis
am Licht - Westlausitz, Bachtal Hahneflüsschen, Pulsnitz, 13. Juli 2024

Imago
  © Gert Schulze  
Lygus pratensis
Pöhla, Luchsbachtal, 10. Juli 2024

Imago
  © Uwe Kaettniß  
Lygus pratensis
am Licht - Oberlausitzer Bergland, Kahlschlag/Sukzessionsfläche am Skigebiet Tännicht, Sohland/Spree, 29. Juni 2024

Imago
  © Gert Schulze  
Lygus pratensis
Augustusburg, Juli 2025

  © Beate Senf-Hentsch  
Lygus pratensis
Chemnitz-Schlosschemnitz, Juli 2025

Imago
  © Benjamin Franke  
Lygus pratensis
Pöhla, Luchsbachtal, 28. September 2025

Imago
  © Uwe Kaettniß  
Lygus pratensis
Burg, obersorbisch Bórk, Gemeinde Spreetal, September 2025

Imago
  © Tilmann Adler  
Lygus pratensis
Dröschkauer Heide bei Neußen, Juli 2025

Imago
  © Tilmann Adler  
Lygus pratensis
Lauter-Bernsbach, OT Lauter, FND Raumwiesen, 6. September 2025

Imago
  © Uwe Kaettniß  
Lygus pratensis
Wacholderheide Albuch südlich von Nördlingen, Landkreis Donau-Ries (Bayern), August 2025

Imago
  © Tilmann Adler  
Lygus pratensis
Schmannewitz, Juli 2025

Imago
  © Tilmann Adler  
Lygus pratensis
Schmannewitz, Juli 2025

Imago
  © Tilmann Adler  
Lygus pratensis
am Licht - Biosphärenreservat OHT, Streuobstwiese nördl. Wartha, Malschwitz, 10. Juli 2025

Imago
  © Gert Schulze  
Lygus pratensis
Schmannewitz, Landkreis Nordsachsen, Juli 2025

Imago
  © Benjamin Franke  
Lygus pratensis
Altenhain, Landkreis Leipzig, Juni 2024

Imago
  © Michael Volpert  
Lygus pratensis
Haldenberg Heroldingen (Bayern), Juli 2024

Imago
  © Tilmann Adler  
Lygus pratensis
am Licht - Pirnaer Elbtalweitung, Elbufer Copitz, Pirna, 15. Juli 2024

Imago
  © Gert Schulze  
Lygus pratensis
städtische Naturschutzstation Chemnitz-Gablenz, August 2024

Imago
  © Benjamin Franke  
Lygus pratensis
Pöhla, Luchsbachtal, 17. August 2024

Imago
  © Uwe Kaettniß  
Lygus pratensis
Lausa Dahlener Heide, Juli 2025

Imago
  © Tilmann Adler  
Lygus pratensis
Chemnitz, 23. Juli 2025

Imago
  © Uwe Kaettniß  
Lygus pratensis
Borsdorf, Juli 2025

  © Susanne Ulbrich  
Lygus pratensis
Monte Abfallino, Roßfeld bei Oettingen, Landkreis Donau-Ries (Bayern), Juli 2025

Imago
  © Tilmann Adler  
Lygus pratensis
Monte Abfallino, Roßfeld bei Oettingen, Landkreis Donau-Ries (Bayern), Juli 2025

Imago
  © Tilmann Adler  
Lygus pratensis
Freiberg, Landkreis Mittelsachsen, Juli 2025

Imago
  © Angelika Alexowsky  
Lygus pratensis
Lauter-Bernsbach, OT Lauter, FND Rauraum, 04. August 2025

Imago
  © Uwe Kaettniß  
Lygus pratensis
Baronenweiher Tannhausen (Baden-Württemberg), Juli 2025

Imago
  © Tilmann Adler  
Lygus pratensis
Lohmen, Landkreis Sächsische Schweiz-Osterzgebirge, September 2025

Imago
  © Jörg Teumer  
Lygus pratensis
Borsdorf, Landkreis Leipzig, Juli 2024

Imago
  © Michael Volpert  
Lygus pratensis
am Licht - Oberlausitzer Heide- und Teichland, Göbelner Heide, Malschwitz, 16. Juli 2024

Imago
  © Gert Schulze  
Lygus pratensis
Chemnitz, Juli 2024

Imago
  © Michael Weiß  
Lygus pratensis
Chemnitz, Juli 2024

Imago
  © Michael Weiß  
Lygus pratensis
Mirow, Landkreis Mecklenburgische Seenplatte, 19. Juli 2024

Imago
  © Uwe Kaettniß  
Lygus pratensis
Mirow, Landkreis Mecklenburgische Seenplatte, 19. Juli 2024

Imago
  © Uwe Kaettniß  
Lygus pratensis
Lampertswalde, Landkreis Meißen, Juli 2024

Imago
  © Jörg Teumer  
Lygus pratensis
Küchwaldpark Chemnitz, Juli 2024

Imago
  © Tilmann Adler  
Lygus pratensis
Küchwaldpark Chemnitz, Juli 2024

Imago
  © Tilmann Adler  
Lygus pratensis
Schmetterlings wiese 294 Chemnitz-Hilbersdorf, Juli 2024

Imago
  © Benjamin Franke  
Lygus pratensis
Kurort Jonsdorf, Landkreis Görlitz, 14. August 2024

Imago
  © Antje Weiß  
Lygus pratensis
Waldwiesen am Ochsenberg westlich Schönbach/Kamenz, August 2024

Imago
  © Tilmann Adler  
Lygus pratensis
Waldwiesen am Ochsenberg westlich Schönbach/Kamenz, August 2024

Imago
  © Tilmann Adler  
Lygus pratensis
am Licht - Oberlausitzer Bergland, Nordwesthang Großer Picho (440 Meter), Doberschau-Gaußig, 14. August 2024

Imago
  © Gert Schulze  
Lygus pratensis
am Licht - Oberlausitzer Bergland, Grenzweg nahe Dreiherrenstein, Sohland/Spree, 29. August 2024

Imago
  © Gert Schulze  
Lygus pratensis
am Licht - Westlausitz, Bachtal Hahneflüsschen, Pulsnitz, 1. September 2024

Imago
  © Gert Schulze  
Lygus pratensis
Moorlehrpfad Stengelhaide bei Kühnhaide, August 2024

Imago
  © Tilmann Adler  
Lygus pratensis
am Licht - Westlausitz, Masseneiwald südl. Großröhrsdorf/Waldhaus Kleiner Stern, Großharthau, 29. Juni 2025

Imago
  © Gert Schulze  
Lygus pratensis
Struppen, Juli 2025

  © Beate Regina Salimo  
Lygus pratensis
am Licht - Königsbrück-Ruhlander Heiden, Waldwiese am Ochsenberg westlich Schönbach, Kamenz, 30. Juni 2025

Imago
  © Gert Schulze  
Lygus pratensis
am Licht - Dahlen-Dübener Heiden, Lehmberg bei Neußen, Belgern-Schildau, 2. Juli 2025

Imago
  © Gert Schulze  
Lygus pratensis
am Licht - Dahlen-Dübener Heiden, Siedlungsgebiet Lausa, Belgern-Schildau, 3. Juli 2025

Imago
  © Gert Schulze  
Lygus pratensis
Dahlen-Dübener Heiden, Palitzgrund im Elsbachtal nahe Lausa, Belgern-Schildau, 3. Juli 2025

Imago
  © Gert Schulze  
Lygus pratensis
Waldheim, Juli 2025

  © Oliver Spitzner  
Lygus pratensis
Leipzig, Juli 2025

  © Susanne Ulbrich  
Lygus pratensis
Leipzig, Juli 2025

  © Susanne Ulbrich  
Lygus pratensis
am Licht - Westlausitz, Waldwiese nördl. Luchsenburgstraße, Ohorn, 16. April 2025

Imago
  © Gert Schulze  
Lygus pratensis
Wildgarten Brauna und Schwosdorfer Wasser, April 2025

Imago
  © Tilmann Adler  
Lygus pratensis
Senftenberg, Sommer 2024

Imago
  © Erhard Gleinig  
Lygus pratensis
Senftenberg, Sommer 2024

Imago
  © Erhard Gleinig  
Lygus pratensis
Senftenberg, Sommer 2024

Imago
  © Erhard Gleinig  
Lygus pratensis
Senftenberg, Sommer 2024

Imago
  © Erhard Gleinig  
Lygus pratensis
Senftenberg, Sommer 2024

Imago
  © Erhard Gleinig  
Lygus pratensis
Bernburg Saale, Juli 2023

Imago
  © Enrico Tomschke  
Lygus pratensis
Deutscheinsiedel, Erzgebirgskreis, August 2024

Imago
  © Jörg Teumer  
Lygus pratensis
Zedlitz, August 2024

Imago
  © Katrin Ritter  
Lygus pratensis
Prießnitz, Landkreis Leipzig, August 2024

Imago
  © Lutz Böttger  
Lygus pratensis
Prießnitz, Landkreis Leipzig, August 2024

Imago
  © Lutz Böttger  
Lygus pratensis
Botanischer Garten Chemnitz, Juli 2024

Imago
  © Benjamin Franke  
Lygus pratensis
NSG Dornreichenbacher Berg, August 2024

Imago
  © Tilmann Adler  
Lygus pratensis
Prießnitz, August 2024

Imago
  © Katrin Ritter  
Lygus pratensis
bei Neuendorf-Heide (Landkreis Vorpommern-Rügen), 07. August 2025

Imago
  © Martin Feike  
Lygus pratensis
Langenmühle Maihingen Landkreis Donau-Ries (Bayern), August 2025

Imago
  © Tilmann Adler  
Lygus pratensis
Lauter-Bernsbach, OT Lauter, FND Raumwiesen, 12.08.2025

Imago
  © Uwe Kaettniß  
Lygus pratensis
Pöhla, Luchsbachtal, 14. August 2025

Imago
  © Uwe Kaettniß  
Lygus pratensis
Grethen, August 2025

Imago
  © Katrin Ritter  
Lygus pratensis
Hoyerswerda - Wojerecy, Landkreis Bautzen, August 2025

Imago
  © Martina Görner  
Lygus pratensis
Bad Schandau , September 2025

Imago
  © Roland Achtziger  
Lygus pratensis
Pöhla, Luchsbachtal, 20. September 2025

Imago
  © Uwe Kaettniß  
Lygus pratensis
Lauter-Bernsbach, OT Lauter, FND Raumwiesen, 20. September 2025

Imago
  © Uwe Kaettniß  
Lygus pratensis
Stechlin, Landkreis Oberhavel, Juli 2022

Imago
  © Benjamin Franke  
Lygus pratensis
Freiberg, Landkreis Mittelsachsen, September 2025

Imago
  © Angelika Alexowsky  
Lygus pratensis
Schwarzkollm, September 2025

Imago
  © Martina Görner  
Lygus pratensis
am Licht - Westlausitz, Eichert nördl. Pulsnitz, 21. September 2025

Imago
  © Gert Schulze  
Lygus pratensis
Freiberg, Oktober 2025

Imago
  © Roland Achtziger  
Lygus pratensis
Dresden Hellerau, September 2025

Imago
  © Uwe Reese  
Lygus pratensis
Mähhorn Huisheim Landkreis Donau-Ries (Bayern), August 2025

Imago
  © Tilmann Adler  
Lygus pratensis
Mähhorn Huisheim Landkreis Donau-Ries (Bayern), August 2025

Imago
  © Tilmann Adler  
Lygus pratensis
Dresden Hellerau, undefined, Juni 2025

Imago
  © Uwe Reese  
Lygus pratensis
Königstein, September 2025

  © Beate Regina Salimo  
Lygus pratensis
Hoyerswerda, September 2025

Imago Männchen
  © Martina Görner  
Lygus pratensis
Struppen, September 2025

  © Beate Regina Salimo  
Lygus pratensis
Schkeuditz, Domholzschänke, 26.09.2025

Imago
  © Jean-Paul Israel  
Lygus pratensis
am Licht - Westlausitz, Waldwiese nördl. Luchsenburgstraße, Ohorn, Ohorn, 9. August 2025

Imago
  © Gert Schulze  
Lygus pratensis
am Licht - Westlausitz, Masseneiwald/Waldhaus Kleiner Stern, Großharthau, 11. September 2025

Imago
  © Gert Schulze  
Lygus pratensis
Erlbach-Kirchberg, Erzgebirgskreis, September 2025

Imago
  © Michael Weiß  
Lygus pratensis
Wacholderheide Burgruine Niederhaus Ederheim, Landkreis Donau-Ries (Bayern), Juli 2025

Imago
  © Tilmann Adler  
Lygus pratensis
Chemnitz-Sonnenberg, August 2023

Imago
  © Benjamin Franke  
Lygus pratensis
Chemnitz-Ebersdorf, 20. September 2024

Imago
  © Uwe Kaettniß  
Lygus pratensis
Chemnitz-Wittgensdorf, September 2024

Imago
  © Benjamin Franke  
Lygus pratensis
Leippe-Torno, Landkreis Bautzen, 12. April 2025

Imago
  © Antje Weiß  
Lygus pratensis
Chemnitz, September 2024

Imago
  © Michael Weiß  
Lygus pratensis
Chemnitz, September 2024

Imago
  © Michael Weiß  
Lygus pratensis
NaturFreundehaus Grethen, Parthenstein, August 2024

Imago
  © Tilmann Adler  
Lygus pratensis
Grethen, August 2024

Imago
  © Katrin Ritter  
Lygus pratensis
Pöhla, Luchsbachtal, 31. August 2024

Imago
  © Uwe Kaettniß  
Lygus pratensis
Pöhla, Luchsbachtal, 16. Oktober 2024

Imago
  © Uwe Kaettniß  
Lygus pratensis
am Licht - Oberes Elbtal - linkes Elbufer nahe Gottleubamündung, Pirna, 7. September 2024

Imago
  © Gert Schulze  
Lygus pratensis
Chemnitz-Schlosschemnitz, September 2024

Imago
  © Benjamin Franke  
Lygus pratensis
Annaberg-Buchholz, 10. März 2025

Imago
  © Wolfgang Dietrich  
Lygus pratensis
bei Geyer, 21. August 2017

Imago
  © Wolfgang Dietrich  
Lygus pratensis
bei Geyer, 21. August 2017

Imago
  © Wolfgang Dietrich  
Lygus pratensis
am Licht - Westlausitz, Masseneiwald südl. Großröhrsdorf/ehemalige Raketenstellung, Großharthau, 19. September 2024

Imago
  © Gert Schulze  
Lygus pratensis
Pöhla, Luchsbachtal, 16. Oktober 2024

Imago
  © Uwe Kaettniß  
Lygus pratensis
FND Zedtlitzer Grund bei Borna, August 2024

Imago
  © Tilmann Adler  
Lygus pratensis
FND Zedtlitzer Grund bei Borna, August 2024

Imago
  © Tilmann Adler  
Lygus pratensis
Westlausitz, Pulsnitz, Stadtgebiet, 14. Oktober 2024

Imago
  © Gert Schulze  
Lygus pratensis
Zwochau, Juli 2024

Imago
  © Roland Achtziger  
Lygus pratensis
Wacholderheide Albuch südlich von Nördlingen, Landkreis Donau-Ries (Bayern), Juni 2024

Imago
  © Tilmann Adler  
Lygus pratensis
Wacholderheide Albuch südlich von Nördlingen, Landkreis Donau-Ries (Bayern), Juni 2024

Imago
  © Tilmann Adler  
Lygus pratensis
am Licht - Westlausitz, Waldwiese nördl. Luchsenburgstraße, Ohorn, 2. September 2024

Imago
  © Gert Schulze  
Lygus pratensis
am Licht - Westlausitz, Waldstück/Weide zw. Rammenau und Goldbach, Bischofswerda, 28. August 2024

Imago
  © Gert Schulze  
Lygus pratensis
Ochsenberg , Schönbach (Kamenz), August 2024

Imago
  © Eva-Maria Bäßler  
Lygus pratensis
am Licht - Königsbrück-Ruhlander Heiden, Ochsenberg, Kiesgrube am Waldrand bei Gottschdorf, Neukirch, 26. August 2024

Imago
  © Gert Schulze  
Lygus pratensis
am Licht - Königsbrück-Ruhlander Heiden, südlich Ochsenberg bei Kamenz (Rohrbacher Teiche), 23. Juni 2024

Imago
  © Gert Schulze  
Lygus pratensis
am Licht - Königsbrück-Ruhlander Heiden, Waldwiese am Ochsenberg westlich Schönbach, Kamenz, 8. Juli 2024

Imago
  © Gert Schulze  
Lygus pratensis
am Licht - Königsbrück-Ruhlander Heiden, südwestlich Ochsenberg (ehem. Ziegelei), Neukirch, 4. September 2024

Imago
  © Gert Schulze  
Lygus pratensis
am Licht - Lausitzer Becken und Hügelland, Rekultivierungsfläche Kokerei/Neuteiche, Lauchhammer, 13. August 2024

Imago
  © Gert Schulze  
Lygus pratensis
Lauchhammer, Juli 2024

Imago
  © Gert Schulze  
Lygus pratensis
am Licht - Königsbrück-Ruhlander Heiden, Waldwiese am Pulsnitzufer östlich Naundorf, Königsbrück, 21. Juli 2024

Imago
  © Gert Schulze  
Lygus pratensis
LSG Massenei Großharthau, April 2024

Imago
  © Tilmann Adler  
Lygus pratensis
LSG Massenei Großharthau, April 2024

Imago
  © Tilmann Adler  
Lygus pratensis
am Licht - Westlausitz, Masseneiwald südl. Großröhrsdorf/Kleiner Stern, 5. April 2024

Imago
  © Gert Schulze  
Lygus pratensis
am Licht - Westlausitz, Waldwiese nördl. Luchsenburgstraße, Ohorn, 8. April 2024

Imago
  © Gert Schulze  
Lygus pratensis
westlich Ziegelei am Ochsenberg bei Neukirch/Kamenz, März 2024

Imago
  © Tilmann Adler  
Lygus pratensis
westlich Ziegelei am Ochsenberg bei Neukirch/Kamenz, März 2024

Imago
  © Tilmann Adler  
Lygus pratensis
Schwarzbachtal Dippoldiswalde, August 2023

Imago
  © Tilmann Adler  
Lygus pratensis
Chemnitz, Juli 2021

Imago
  © Benjamin Franke  
Lygus pratensis
am Ochsenberg bei Neukirch/Kamenz, Juli 2023

Imago
  © Tilmann Adler  
Lygus pratensis
am Licht - Königsbrück-Ruhlander Heiden, Ochsenberg, Kiesgrube am Waldrand bei Gottschdorf, 8. Juli 2023

Imago
  © Gert Schulze  
Lygus pratensis
am Licht - Königsbrück-Ruhlander Heiden, Ochsenberg, Kiesgrube am Waldrand bei Gottschdorf, 8. Juli 2023

Imago
  © Gert Schulze  
Lygus pratensis
am Licht - Königsbrück-Ruhlander Heiden, Ochsenberg, Kiesgrube am Waldrand bei Gottschdorf, 8. Juli 2023

Imago
  © Gert Schulze  
Lygus pratensis
am Licht - Westlausitz, Garten/Wiese, Ohorn, 24. Juli 2022

Imago
  © Gert Schulze  
Lygus pratensis
Behlitz, Juli 2023

Imago
  © Michael Happ  
Lygus pratensis
Behlitz, Juli 2023

Imago
  © Michael Happ  
Lygus pratensis
Chemnitz-Ebersdorf, 03. August 2023

Imago
  © Uwe Kaettniß  
Lygus pratensis
Neufang, Landkreis Sonneberg, Juli 2022

Imago
  © Michael Happ  
Lygus pratensis
Grimma, Landkreis Leipzig, Juli 2023

Imago
  © Michael Volpert  
Lygus pratensis
Chemnitz, Juli 2023

Imago
  © Benjamin Franke  
Lygus pratensis
Chemnitz,, Juli 2023

Imago
  © Michael Weiß  
Lygus pratensis
Chemnitz,, Juli 2023

Imago
  © Michael Weiß  
Lygus pratensis
am Licht - Unteres Osterzgebirge, Hohlwege am Rand NSG Schwarzbachtal, Dippoldiswalde, 25. August 2023

Imago
  © Gert Schulze  
Lygus pratensis
Prießnitz, September 2023

Imago
  © Michael Happ  
Lygus pratensis
Pöhla, Luchsbachtal, 27. September 2023

Imago
  © Uwe Kaettniß  
Lygus pratensis
am Licht - Westlausitz, Gipfel Hutberg bei Kamenz, 2. Oktober 2023

Imago
  © Gert Schulze  
Lygus pratensis
Hutberg Kamenz, Oktober 2023

Imago
  © Tilmann Adler  
Lygus pratensis
Chemnitz-Wittgensdorf, Juli 2021

Imago
  © Benjamin Franke  
Lygus pratensis
Chemnitz-Zentrum, Juli 2021

Imago
  © Benjamin Franke  
Lygus pratensis
Stützengrün, OT Hundshübel, 13. August 2023

Imago
  © Uwe Kaettniß  
Lygus pratensis
am Licht - Westlausitz, Waldscheibe nördl. Rammenau, 14. August 2023

Imago
  © Gert Schulze  
Lygus pratensis
am Licht - Königsbrück-Ruhlander Heiden, südwestlich Ochsenberg bei Kamenz (ehem. Ziegelei), 8. September 2023

Imago
  © Gert Schulze  
Lygus pratensis
am Licht - Westlausitz, Garten/Wiese, Ohorn, 21. September 2023

Imago
  © Gert Schulze  
Lygus pratensis
am Licht - Westlausitz, Gipfel Hutberg bei Kamenz, 2. Oktober 2023

Imago
  © Gert Schulze  
Lygus pratensis
am Licht - Westlausitz, Eichert nördl. Pulsnitz, 1. Oktober 2023

Imago
  © Gert Schulze  
Lygus pratensis
am Licht - Oberlausitzer Bergland, Grenzweg nahe Dreiherrenstein, Sohland/Spree, 16. September 2023

Imago
  © Gert Schulze  
Lygus pratensis
am Licht - Westlausitz, Waldstück/Weide zw. Rammenau und Goldbach, Bischofswerda, 11. September 2023

Imago
  © Gert Schulze  
Lygus pratensis
Chemnitz, Mai 2022

Imago
  © Benjamin Franke  
Lygus pratensis
Senftenberg, 2023

Imago
  © Erhard Gleinig  
Lygus pratensis
Naturschutzstation Chemnitz-Gablenz, September 2023

Imago
  © Benjamin Franke  
Lygus pratensis
Naturschutzstation Chemnitz-Gablenz, September 2023

Imago
  © Benjamin Franke  
Lygus pratensis
am Licht - Westlausitz, Eichert nördl. Pulsnitz, 10. September 2023

Imago
  © Gert Schulze  
Lygus pratensis
NaturFreundehaus Grethen, Parthenstein, Juli 2023

Imago
  © Tilmann Adler  
Lygus pratensis
Wiesenexkursion Junge Naturwächter AG Chemnitzer NATUREntdecker, Chemnitz-Adelsberg, August 2023

Imago
  © Junge Naturwächter AG Chemnitzer NATUREntdecker, Benjamin Franke  
Lygus pratensis
Dresden, Garten, November 2023

Imago
  © Rolf Einspender  
Lygus pratensis
Dresden, Garten, November 2023

Imago
  © Rolf Einspender  
Lygus pratensis
Annaberg-Buchholz, 05. November 2023

Imago
  © Wolfgang Dietrich  
Lygus pratensis
Kyffhäuserland-Badra, Juli 2021

Imago
  © Benjamin Franke  
Lygus pratensis
Pöhla, Luchsbachtal, 22. September 2022

Imago
  © Uwe Kaettniß  
Lygus pratensis
Radeberg, Juli 2022

Imago
  © Tilmann Adler  
Lygus pratensis
Chemnitz-Euba, September 2019

Imago
  © Benjamin Franke  
Lygus pratensis
Ochsenberg bei Neukirch/Kamenz, August 2022

Imago
  © Tilmann Adler  
Lygus pratensis
am Licht - Westlausitz, Pulsnitz, sw Schwedenstein, Kahlschlag/Bachtal Hahneflüsschen, 5. September 2022

Imago
  © Gert Schulze  
Lygus pratensis
NSG Ruhmberg/Parthe, August 2022

Imago
  © Tilmann Adler  
Lygus pratensis
Quellgebiet Rohrbacher Teiche bei Neukirch/Kamenz, Juli 2022

Imago
  © Tilmann Adler  
Lygus pratensis
Hangmoor Gottschdorf, September 2022

Imago
  © Tilmann Adler  
Lygus pratensis
am Licht - Königsbrück-Ruhlander Heiden, südlich Ochsenberg bei Kamenz (Rohrbacher Teiche), 15. Oktober 2022

Imago
  © Gert Schulze  
Lygus pratensis
Leipziger Land, Borna, Nordwestufer Bockwitzer See, 9. Juli 2022

Imago
  © Gert Schulze  
Lygus pratensis
Leipziger Land, Pferdekoppel nahe Lobstädter Lachen, Neukieritzsch, 9. Juli 2022

Imago
  © Gert Schulze  
Lygus pratensis
am Licht - Leipziger Land, Belgershain, nördl. Rohrbacher Teiche, 8. Juli 2022

Imago
  © Gert Schulze  
Lygus pratensis
am Licht - Leipziger Land, Belgershain, nördl. Rohrbacher Teiche, 8. Juli 2022

Imago
  © Gert Schulze  
Lygus pratensis
am Licht - Königsbrück-Ruhlander Heiden, südlich Ochsenberg bei Kamenz (Rohrbacher Teiche), 5. Juli 2022

Imago
  © Gert Schulze  
Lygus pratensis
am Licht - Königsbrück-Ruhlander Heiden, Ochsenberg, Kiesgrube am Waldrand bei Gottschdorf, 5. Juli 2022

Imago
  © Gert Schulze  
Lygus pratensis
am Licht - Königsbrück-Ruhlander Heiden, südwestlich Ochsenberg bei Kamenz (ehem. Ziegelei), 25. Juli 2022

Imago
  © Gert Schulze  
Lygus pratensis
Himmelsteich am Kieferberg bei Burgstädt, September 2021

Imago
  © Tilmann Adler  
Lygus pratensis
Zschepplin, Juli 2021

Imago
  © Michael Happ  
Lygus pratensis
Chemnitz, Juli 2022

Imago
  © Michael Weiß  
Lygus pratensis
Chemnitz, Juli 2022

Imago
  © Michael Weiß  
Lygus pratensis
Pöhla, Luchsbachtal, 24. Juli 2022

Imago
  © Uwe Kaettniß  
Lygus pratensis
Petershain - Hóznica, Juli 2022

Imago
  © Antje Weiß  
Lygus pratensis
Rochlitzer Berg, August 2022

Imago
  © Tilmann Adler  
Lygus pratensis
am Licht - Westlausitz, Waldscheibe nördl. Rammenau, 14. August 2022

Imago
  © Gert Schulze  
Lygus pratensis
Pöhla, Luchsbachtal, 09. August 2022

Imago
  © Uwe Kaettniß  
Lygus pratensis
LSG Massenei Großharthau, Oktober 2022

Imago
  © Tilmann Adler  
Lygus pratensis
LSG Massenei Großharthau, Oktober 2022

Imago
  © Tilmann Adler  
Lygus pratensis
Hermannshagen-Heide (Landkreis Vorpommern-Rügen), 10. September 2022

Imago
  © Martin Feike  
Lygus pratensis
Schmetterlingswiese 294 BUND Chemnitz-Hilbersdorf , August 2022

Imago
  © Benjamin Franke  
Lygus pratensis
Zschepplin, August 2021

Imago
  © Michael Happ  
Lygus pratensis
Stadtgebiet Radeberg, Juli 2022

Imago
  © Tilmann Adler  
Lygus pratensis
Stadtgebiet Radeberg, Juli 2022

Imago
  © Tilmann Adler  
Lygus pratensis
Chemnitz, Juli 2022

Imago
  © Michael Weiß  
Lygus pratensis
Bluno - Blun, 17.Juni 2022

Imago
  © Antje Weiß  
Lygus pratensis
Chemnitz-Wittgensdorf, August 2020

Imago
  © Benjamin Franke  
Lygus pratensis
Chemnitz-Wittgensdorf, August 2020

Imago
  © Benjamin Franke  
Lygus pratensis
Chemnitz-Sonnenberg Saatgutgarten , Juni 2020

Imago
  © Benjamin Franke  
Lygus pratensis
Chemnitz-Sonnenberg Saatgutgarten , Juni 2020

Imago
  © Benjamin Franke  
Lygus pratensis
Radebeul-Zitzschewig, Juli 2022

Imago
  © Eva-Maria Bäßler  
Lygus pratensis
Freiberg, Juli 2022

Imago
  © G. Burkhardt  
Lygus pratensis
Leutersdorf, August 2022

Imago
  © Vincent Böhm  
Lygus pratensis
Leutersdorf, August 2022

Imago
  © Vincent Böhm  
Lygus pratensis
Königsbrück-Ruhlander Heiden, südwestlich Ochsenberg bei Kamenz (Cunnersdorfer Weg)), 13. April 2022

Imago
  © Gert Schulze  
Lygus pratensis
am Licht - Westlausitz, "Schweinewiese" nordwestl. Rammenau, 23. September 2021

Imago
  © Gert Schulze  
Lygus pratensis
Pöhla, Luchsbachtal, 28. Juni 2022

Imago
  © Uwe Kaettniß  
Lygus pratensis
Chemnitz-Hilbersdorf Schmetterlingswiese 294 BUND, Mai 2021

Imago
  © Benjamin Franke  
Lygus pratensis
Gemeine Wiesenwanze (Lygus pratensis (Linnaeus, 1758)) im Zschonergrund bei Podemus, 16.05.2021

Imago
  © Katrin Ritter  
Lygus pratensis
Laubusch, 28.09.2021

Imago
  © Antje Weiß  
Lygus pratensis
Stadtgebiet Radeberg, August 2021

Imago
  © Tilmann Adler  
Lygus pratensis
Stadtgebiet Radeberg, August 2021

Imago
  © Tilmann Adler  
Lygus pratensis
Gemeine Wiesenwanze (Lygus pratensis), Dresden-Weixdorf, 05.07.2020

Imago
  © Andrea Oertel  
Lygus pratensis
Gemeine Wiesenwanze (Lygus pratensis), Oybin, 27.07.2020

Imago
  © Andrea Oertel  
Lygus pratensis
Heide Attenbühl Hohenaltheim (Bayern), August 2021

Imago
  © Tilmann Adler  
Lygus pratensis
Heide Albuch Nördlingen (Bayern), August 2021

Imago
  © Tilmann Adler  
Lygus pratensis
Chemnitz-Adelsberg, 02.08.2020

Imago
  © Isabel Münch  
Lygus pratensis
Chemnitz-Adelsberg, 02.08.2020

Imago
  © Isabel Münch  
Lygus pratensis
Chemnitz-Adelsberg, 02.08.2020

Imago
  © Isabel Münch  
Lygus pratensis
Im Tharandter Wald, Langer Weg an Wasserdost , 21.07.2020 an nur 2 Pflanzen fanden wir 8 Exemplare.

Imago
  © Lothar Brümmer  
Lygus pratensis
Im Tharandter Wald, Langer Weg an Wasserdost , 21.07.2020 an nur 2 Pflanzen fanden wir 8 Exemplare.

Imago
  © Lothar Brümmer  
Lygus pratensis
Halbendorf, 18.07.2020

Imago
  © Martina Görner  
Lygus pratensis
Chemnitz-Wittgensdorf, 11.08.2019

Imago
  © Benjamin Franke  
Lygus pratensis
Gemeine Wiesenwanze (Lygus pratensis (Linnaeus, 1758)) östlich von Wachau Lichtfang am 26.07.2019

Imago
  © Tilmann Adler  
Lygus pratensis
Gemeine Wiesenwanze im Juli 2017, Lichtfang in Radeberg

Imago
  © Tilmann Adler  
Lygus pratensis
Gemeine Wiesenwanze (Lygus pratensis (Linnaeus, 1758)), Leipzig, Juli 2019

Imago
  © Maik Hausotte  
Lygus pratensis
Schmetterlingswiese 294 Chemnitz-Hilbersdorf, 28.09.2019

Imago
  © Benjamin Franke  
Lygus pratensis
Schmetterlingswiese 294 Chemnitz-Hilbersdorf, 28.09.2019

Imago
  © Benjamin Franke  
Lygus pratensis
Hoyerswerda, 27.06.2017

Imago
  © Martina Görner  
Lygus pratensis
Wiesen Weichwanze, Gartengrundstück bei Bad Düben, am Rande der Dübener Heide, am 24.07.2008

Imago
  © R. Papenfuß  
Lygus pratensis
Beifuß-Weichwanze im August 2018 Lichtfang in Radeberg

Imago
  © Tilmann Adler  
Lygus pratensis
Sondershausen (Kyffhäuserkreis/Thüringen), 31.05.2019

Imago
  © Benjamin Franke  
Lygus pratensis
Schmetterlingswiese 294 Chemnitz-Hilbersdorf, 25.10.2019

Imago
  © Benjamin Franke  
Lygus pratensis
Schmetterlingswiese 294 Chemnitz-Hilbersdorf, 23.10.2019

Imago
  © Benjamin Franke  
Lygus pratensis
Gemeine Wiesenwanze (Lygus pratensis (Linnaeus, 1758)), 09244 Ottendorf, 3. Sept. 2019

Imago
  © K. Wittig  
Lygus pratensis
Gemeine Wiesenwanze (Lygus pratensis (Linnaeus, 1758)) Garten in Dresden-Mockritz, 27.06.2019

Imago
  © Jörg Hartmann  
Lygus pratensis
Gemeine Wiesenwanze (Lygus pratensis (Linnaeus, 1758)) Garten in Dresden-Mockritz, 27.06.2019

Imago
  © Jörg Hartmann  
Lygus pratensis
Gemeine Wiesenwanze (Lygus pratensis (Linnaeus, 1758)) Chemnitz-Wittgensdorf September 2018

Imago
  © Benjamin Franke  
Lygus pratensis
Gemeine Wiesenwanze (Lygus pratensis (Linnaeus, 1758)) Chemnitz-Wittgensdorf September 2018

Imago
  © Benjamin Franke  
Lygus pratensis
Gemeine Wiesenwanze (Lygus pratensis (Linnaeus, 1758)) Juni 2018 in 09119 Chemnitz - Kappel im Kleingarten an Zierweide

Imago
  © Michael Weiß  
Lygus pratensis
Gemeine Wiesenwanze (Lygus pratensis (Linnaeus, 1758)) Sonneberg OT Neufang, Thüringen, Juli 2018

Imago
  © Michael Happ  
Lygus pratensis
Gemeine Wiesenwanze, Altenberg, Juni 2018

Imago
  © Michael Happ  
Lygus pratensis
Gemeine Wiesenwanze am 04.04.2018 im Tharandter Wald am Wiesenweg.

Imago
  © Lothar Brümmer  
Lygus pratensis
Lygus pratensis an Linaria vulgaris, Annaberg-Buchholz, Wiese bei den Stechgutteichen, 14.08.2017

Imago
  © Wolfgang Dietrich  
Lygus pratensis
Lygus pratensis an Sanguisorba officinalis, bei Jöhstadt, Schmetterlingsweise 1246-001, 05.08.2017

Imago
  © Wolfgang Dietrich  
Lygus pratensis
Gemeine Wiesenwanze im Juni 2017 Lichtfang in Dresden

Imago
  © Tilmann Adler  
Lygus pratensis
Gemeine Wiesenwanze im September 2016 östlich von Radeberg

Imago
  © Tilmann Adler  
Lygus pratensis
Gemeine Wiesenwanze im Juni 2016 im Schloßpark Hohenprießnitz

Imago
  © Tilmann Adler  
Lygus pratensis
Gemeine Wiesenwanze (Lygus pratensis (Linnaeus, 1758)), Weibchen auf einer Silorolle, Radeberg, Juli 2015.

Imago Weibchen
  © Udo Lemke  
Lygus pratensis
Gemeine Wiesenwanze im August 2015, Dresdner Heide bei Radeberg

Imago
  © Tilmann Adler  
Lygus pratensis
Gemeine Wiesenwanze im Auwald nordwestlich von Leipzig, Juli 2015

Imago
  © Bernd Garbe  
Lygus pratensis
Gemeine Wiesenwanze im Juni 2015, Karswald nähe Arnsdorf

Imago
  © Tilmann Adler  
Lygus pratensis
Gemeine Wiesenwanze im Oktober 2014, Liegau-Augustusbad

Imago
  © Tilmann Adler  
Lygus pratensis
Gemeine Wiesenwanze im September 2014, Laußnitzer Heide

Imago
  © Tilmann Adler  
Lygus pratensis
Gemeine Wiesenwanze im September 2014, LSG Massenei nähe Steinteich

Imago
  © Tilmann Adler  
Lygus pratensis
Gemeine Wiesenwanze im Juli 2014, östlich von Radeberg

Imago
  © Tilmann Adler  
Lygus pratensis
Gemeine Wiesenwanze im April 2014, Talsperre Wallroda

Imago
  © Tilmann Adler  
Lygus pratensis
Gemeine Wiesenwanze (Lygus pratensis (Linnaeus, 1758)), Radeberg, September 2013.

Imago Männchen
  © Udo Lemke  
Lygus pratensis
Gemeine Wiesenwanze (Lygus pratensis (Linnaeus, 1758)), Radeberg, September 2013.

Imago Männchen
  © Udo Lemke  
Lygus pratensis
Gemeine Wiesenwanze, Gemarkung Hohenprießnitz, Elsteich, Oktober 2013

Imago
  © Michael Happ  
Lygus pratensis
Gemeine Wiesenwanze, Gemarkung Hohenprießnitz, Elsteich, Oktober 2013

Imago
  © Michael Happ  
Lygus pratensis (Imago)


Imago
  © Michael Münch  
Lygus pratensis
Lygus pratensis, Heiersdorf, Ruderalflur an Straße Burgstädt-Lunzenau östlich des Ortes (Deutschland, Sachsen, Landkreis Mittelsachsen), 20.07.2009

Imago
  © Michael Münch  
Lygus pratensis
Lygus pratensis, Heiersdorf, Ruderalflur an Straße Burgstädt-Lunzenau östlich des Ortes (Landkreis Mittelsachsen), 20.07.2009

Imago
  © Michael Münch  
 
Login
Termine (Archiv)
Statistik
  • 656527 Beobachtungen
  • 345550 Onlinemeldungen
  • 4149 Steckbriefe
  • 283220 Fotos
  • 12097 Arten mit Fund
  • 6693 Arten mit Fotos

      

Verwendung von Cookies

Wir verwenden Cookies ausschließlich, um diese Website für Sie optimal zu gestalten und fortlaufend verbessern zu können. Durch die weitere Nutzung der Webseite stimmen Sie der Verwendung von Cookies zu.