Agriphila tristella (Denis & Schiffermüller, 1775)

DE Deutschland , DE-SN Sachsen Druckansicht

Agriphila tristella
Chemnitz-Furth, August 2025

Imago
  © Benjamin Franke  
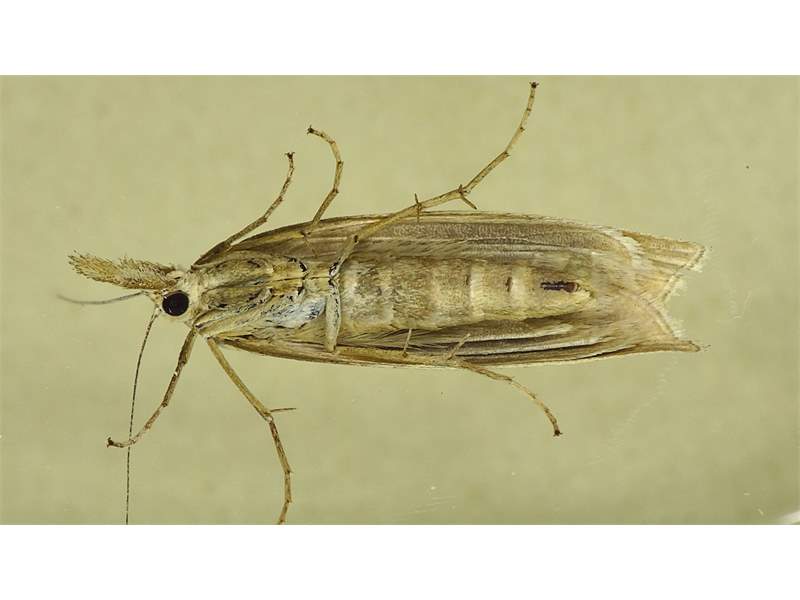
Agriphila tristella
Grumbach/Erzgebirge (780m), 11. August 2025

Imago
  © Rainer Klemm  
Agriphila tristella
Moritzburg, August 2025

Imago
  © Steffen Hintersaß  
Agriphila tristella
Dresden-Albertstadt, 22. August 2025

Imago
  © Uwe Kaettniß  
Agriphila tristella
Lauter-Bernsbach, 20. August 2025

Imago
  © Uwe Kaettniß  
Agriphila tristella
Chemnitz-Furth, August 2025

Imago
  © Benjamin Franke  
Agriphila tristella
Chemnitz-Furth, August 2025

Imago
  © Benjamin Franke  
Agriphila tristella
Lauter-Bernsbach, OT Lauter, FND Raumwiesen, 12.08.2025

Imago
  © Uwe Kaettniß  
Agriphila tristella
am Licht - Königsbrück-Ruhlander Heiden, Waldwiese am Ochsenberg, Neukirch, 15. August 2025

Imago
  © Gert Schulze  
Agriphila tristella
am Licht - Lausitzer Becken und Hügelland, Rekultivierungsfläche Kokerei/Neuteiche, Lauchhammer, 29. August 2025

Imago
  © Gert Schulze  
Agriphila tristella
FND Zedtlitzer Grund bei Borna, August 2025

Imago
  © Tilmann Adler  
Agriphila tristella
FND Zedtlitzer Grund bei Borna, August 2025

Imago
  © Tilmann Adler  
Agriphila tristella
FND Zedtlitzer Grund bei Borna, August 2025

Imago
  © Tilmann Adler  
Agriphila tristella
Hoyerswerda - Wojerecy, Landkreis Bautzen, August 2025

Imago
  © Martina Görner  
Agriphila tristella
am Licht - Westlausitz, Masseneiwald /Waldhaus Kleiner Stern, Großharthau, August 2025

Imago
  © Gert Schulze  
Agriphila tristella
am Licht - Biosphärenreservat OHT, Streuobstwiese nördl. Wartha, Malschwitz, 31. August 2025

Imago
  © Gert Schulze  
Agriphila tristella
Chemnitz-Ebersdorf, 14. August 2025

Imago
  © Uwe Kaettniß  
Agriphila tristella
Wallengrün, August 2025

Imago
  © Daniel Werner  
Agriphila tristella
Naturfreunderundweg am Lindberg bei Grethen, August 2025

Imago
  © Tilmann Adler  
Agriphila tristella
Pöhla, Luchsbachtal, 11. August 2025

Imago
  © Uwe Kaettniß  
Agriphila tristella
Pöhla, Luchsbachtal, 11. August 2025

Imago
  © Uwe Kaettniß  
Agriphila tristella
Chemnitz, Parkstraße nahe Goetheplatz, August 2025

Imago
  © Lutz Böttger  
Agriphila tristella
Dresden Hellerau, undefined, September 2025

Imago
  © Uwe Reese  
Agriphila tristella
Pöhla, Luchsbachtal, 16. August 2025

Imago
  © Uwe Kaettniß  
Agriphila tristella
Naturfreundehaus Grethen, Parthenstein, August 2025

Imago
  © Tilmann Adler  
Agriphila tristella
Naturfreundehaus Grethen, Parthenstein, August 2025

Imago
  © Tilmann Adler  
Agriphila tristella
Hoyerswerda, August 2025

Imago
  © Martina Görner  
Agriphila tristella
Hoyerswerda, August 2025

Imago
  © Martina Görner  
Agriphila tristella
Hoyerswerda, August 2025

Imago
  © Martina Görner  
Agriphila tristella
Naturfreundehaus Grethen, Parthenstein, August 2025

Imago
  © Tilmann Adler  
Agriphila tristella
Naturfreundehaus Grethen, Parthenstein, August 2025

Imago
  © Tilmann Adler  
Agriphila tristella
Annaberg-Buchholz, Pöhlberg, FND "Pöhlbergalm", 27. August 2025

Imago
  © Wolfgang Dietrich  
Agriphila tristella
FND Zedtlitzer Grund bei Borna, August 2025

Imago
  © Tilmann Adler  
Agriphila tristella
FND Zedtlitzer Grund bei Borna, August 2025

Imago
  © Tilmann Adler  
Agriphila tristella
NSG Kleiner Berg Hohburg, August 2025

Imago
  © Tilmann Adler  
Agriphila tristella
NSG Kleiner Berg Hohburg, August 2025

Imago
  © Tilmann Adler  
Agriphila tristella
Schwarzkollm, September 2025

Imago
  © Martina Görner  
Agriphila tristella
Pöhla, Luchsbachtal, 21. August 2025

Imago
  © Uwe Kaettniß  
Agriphila tristella
Lauta, Johannisthal, 26. August 2025

Imago
  © Antje Weiß  
Agriphila tristella
Lauta, Torno-Siedlung, 26. August 2025

Imago
  © Antje Weiß  
Agriphila tristella
FND Zedtlitzer Grund bei Borna, August 2025

Imago
  © Tilmann Adler  
Agriphila tristella
FND Zedtlitzer Grund bei Borna, August 2025

Imago
  © Tilmann Adler  
Agriphila tristella
FND Zedtlitzer Grund bei Borna, August 2025

Imago
  © Tilmann Adler  
Agriphila tristella
FND Zedtlitzer Grund bei Borna, August 2025

Imago
  © Tilmann Adler  
Agriphila tristella
FND Zedtlitzer Grund bei Borna, August 2025

Imago
  © Tilmann Adler  
Agriphila tristella
FND Zedtlitzer Grund bei Borna, August 2025

Imago
  © Tilmann Adler  
Agriphila tristella
NSG Kleiner Berg Hohburg, August 2025

Imago
  © Tilmann Adler  
Agriphila tristella
NSG Kleiner Berg Hohburg, August 2025

Imago
  © Tilmann Adler  
Agriphila tristella
NSG Kleiner Berg Hohburg, August 2025

Imago
  © Tilmann Adler  
Agriphila tristella
NSG Dornreichenbacher Berg, August 2025

Imago
  © Tilmann Adler  
Agriphila tristella
Pöhla, Luchsbachtal, 12. August 2024

Imago
  © Uwe Kaettniß  
Agriphila tristella
Pöhla, Luchsbachtal, 13. August 2024

Imago
  © Uwe Kaettniß  
Agriphila tristella
NaturFreundehaus Grethen, Parthenstein, August 2024

Imago
  © Tilmann Adler  
Agriphila tristella
NaturFreundehaus Grethen, Parthenstein, August 2024

Imago
  © Tilmann Adler  
Agriphila tristella
NaturFreundehaus Grethen, Parthenstein, August 2024

Imago
  © Tilmann Adler  
Agriphila tristella
Naturfreunderundweg am Lindberg bei Grethen, August 2024

Imago
  © Tilmann Adler  
Agriphila tristella
Naturfreunderundweg am Lindberg bei Grethen, August 2024

Imago
  © Tilmann Adler  
Agriphila tristella
NSG Am Spitzberg (Lossatal), August 2024

Imago
  © Tilmann Adler  
Agriphila tristella
NSG Am Spitzberg (Lossatal), August 2024

Imago
  © Tilmann Adler  
Agriphila tristella
NSG Am Spitzberg (Lossatal), August 2024

Imago
  © Tilmann Adler  
Agriphila tristella
NSG Am Spitzberg (Lossatal), August 2024

Imago
  © Tilmann Adler  
Agriphila tristella
FND Zedtlitzer Grund bei Borna, August 2024

Imago
  © Tilmann Adler  
Agriphila tristella
FND Zedtlitzer Grund bei Borna, August 2024

Imago
  © Tilmann Adler  
Agriphila tristella
FND Zedtlitzer Grund bei Borna, August 2024

Imago
  © Tilmann Adler  
Agriphila tristella
FND Zedtlitzer Grund bei Borna, August 2024

Imago
  © Tilmann Adler  
Agriphila tristella
NaturFreundehaus Grethen, Parthenstein, August 2024

Imago
  © Tilmann Adler  
Agriphila tristella
NaturFreundehaus Grethen, Parthenstein, August 2024

Imago
  © Tilmann Adler  
Agriphila tristella
NaturFreundehaus Grethen, Parthenstein, August 2024

Imago
  © Tilmann Adler  
Agriphila tristella
NSG Dornreichenbacher Berg, August 2024

Imago
  © Tilmann Adler  
Agriphila tristella
NSG Dornreichenbacher Berg, August 2024

Imago
  © Tilmann Adler  
Agriphila tristella
NaturFreundehaus Grethen, Parthenstein, August 2024

Imago
  © Tilmann Adler  
Agriphila tristella
Jöhstadt OT Grumbach, August 2024

Imago
  © Michael Happ  
Agriphila tristella
Jöhstadt OT Grumbach, August 2024

Imago
  © Michael Happ  
Agriphila tristella
Jöhstadt OT Grumbach, August 2024

Imago
  © Michael Happ  
Agriphila tristella
am Licht - Oberlausitzer Bergland, Nordwesthang Großer Picho (440 Meter), Doberschau-Gaußig, 14. August 2024

Imago
  © Gert Schulze  
Agriphila tristella
Raummühle Jöhstadt , August 2024

Imago
  © Katrin Ritter  
Agriphila tristella
NSG Rauschenbachtal, August 2024

Imago
  © Tilmann Adler  
Agriphila tristella
Preßnitztal Schmalzgrube, August 2024

Imago
  © Tilmann Adler  
Agriphila tristella
Junge Naturwächter AG Chemnitzer NATUREntdecker, Chemnitz-Euba, August 2024

Imago
  © Linda Heinrich / Benjamin Franke  
Agriphila tristella
Elterlein, Erzgebirgskreis, August 2024

Imago
  © Andreas Töpfer  
Agriphila tristella
Elterlein, Erzgebirgskreis, August 2024

Imago
  © Andreas Töpfer  
Agriphila tristella
Schmalzgrube, August 2024

Imago
  © Eva-Maria Bäßler  
Agriphila tristella
Lauter-Bernsbach, 15. August 2024

Imago
  © Uwe Kaettniß  
Agriphila tristella
Lauter-Bernsbach, 15. August 2024

Imago
  © Uwe Kaettniß  
Agriphila tristella
Annaberg-Buchholz, August 2024

Imago
  © Katrin Ritter  
Agriphila tristella
Annaberg-Buchholz, August 2024

Imago
  © Katrin Ritter  
Agriphila tristella
Junge Naturwächter AG Chemnitzer NATUREntdecker, Chemnitz-Adelsberg, August 2024

Imago
  © Linda Heinrich/Benjamin Franke (AG Chemnitzer NATUREntdecker/JuNa)  
Agriphila tristella
Junge Naturwächter AG Chemnitzer NATUREntdecker, Chemnitz-Adelsberg, August 2024

Imago
  © Linda Heinrich/Benjamin Franke (AG Chemnitzer NATUREntdecker/JuNa)  
Agriphila tristella
Moritzburg, August 2024

Imago
  © Steffen Hintersaß  
Agriphila tristella
Pöhla, Luchsbachtal, 23. August 2024

Imago
  © Uwe Kaettniß  
Agriphila tristella
Dresden, August 2024

Imago
  © Robert Kunter  
Agriphila tristella
Prießnitz, August 2024

Imago
  © Katrin Ritter  
Agriphila tristella
Prießnitz, August 2024

Imago
  © Katrin Ritter  
Agriphila tristella
am Licht - Unteres Westerzgebirge, Rauschenbachtal nördl. Grumbach - Insax-Sommertreffen 2024, Mildenau, 10. August 2024

Imago
  © Gert Schulze  
Agriphila tristella
Raummühle Jöhstadt , August 2024

Imago
  © Katrin Ritter  
Agriphila tristella
Raummühle Jöhstadt , August 2024

Imago
  © Katrin Ritter  
Agriphila tristella
Raummühle Jöhstadt , August 2024

Imago
  © Katrin Ritter  
Agriphila tristella
Raummühle Jöhstadt , August 2024

Imago
  © Katrin Ritter  
Agriphila tristella
Raummühle Jöhstadt , August 2024

Imago
  © Katrin Ritter  
Agriphila tristella
Annaberg-Buchholz, Pöhlberg, 13. August 2024

Imago
  © Wolfgang Dietrich  
Agriphila tristella
Olbersdorf, 14. August 2024, Hausgarten mitten im Ort, am Licht

Imago
  © Antje Weiß  
Agriphila tristella
Olbersdorf, 14. August 2024, Hausgarten mitten im Ort, am Licht

Imago
  © Antje Weiß  
Agriphila tristella
am Licht - Königsbrück-Ruhlander Heiden, Waldwiese am Ochsenberg westlich Schönbach, Kamenz, 16. August 2024

Imago
  © Gert Schulze  
Agriphila tristella
Arnsfeld, Erzgebirgskreis, 10. August 2024

Imago
  © Uwe Kaettniß  
Agriphila tristella
Lauter-Bernsbach, 15. August 2024

Imago
  © Uwe Kaettniß  
Agriphila tristella
Waldwiesen am Ochsenberg westlich Schönbach/Kamenz, August 2024

Imago
  © Tilmann Adler  
Agriphila tristella
Waldwiesen am Ochsenberg westlich Schönbach/Kamenz, August 2024

Imago
  © Tilmann Adler  
Agriphila tristella
Preßnitztal Schmalzgrube, August 2024

Imago
  © Tilmann Adler  
Agriphila tristella
Preßnitztal Schmalzgrube, August 2024

Imago
  © Tilmann Adler  
Agriphila tristella
Grumbach (Erzgebirge), August 2024

Imago
  © Eva-Maria Bäßler  
Agriphila tristella
Grumbach (Erzgebirge), August 2024

Imago
  © Eva-Maria Bäßler  
Agriphila tristella
Schmetterlingswiese 469 Chemnitz-Schlosschemnitz, August 2024

Imago
  © Benjamin Franke  
Agriphila tristella
Grethen, August 2024

Imago
  © Katrin Ritter  
Agriphila tristella
Schleife, September 2024

Imago
  © Peter Diehl  
Agriphila tristella
am Licht - Westlausitz, Bachtal Hahneflüsschen, Pulsnitz, 1. September 2024

Imago
  © Gert Schulze  
Agriphila tristella
Schleife, Landkreis Görlitz, 10. August 2024

Imago
  © Antje Weiß  
Agriphila tristella
NSG Rauschenbachtal Neugrumbach, August 2024

Imago
  © Benjamin Franke  
Agriphila tristella
am Licht - Westlausitz, Waldwiese nördl. Luchsenburgstraße, Ohorn, 2. September 2024

Imago
  © Gert Schulze  
Agriphila tristella
Dippelsdorf, Landkreis Meißen, September 2024

Imago
  © Steffen Hintersaß  
Agriphila tristella
am Licht - Oberlausitzer Heide- und Teichland, Göbelner Heide, Malschwitz, 8. September 2024

Imago
  © Gert Schulze  
Agriphila tristella
Pöhla, Luchsbachtal, 12. August 2024

Imago
  © Uwe Kaettniß  
Agriphila tristella
Hoyerswerda - Wojerecy, Landkreis Bautzen, August 2024

Imago
  © Martina Görner  
Agriphila tristella
Hoyerswerda - Wojerecy, Landkreis Bautzen, August 2024

Imago
  © Martina Görner  
Agriphila tristella
NSG Rauschenbachtal Neugrumbach, August 2024

Imago
  © Benjamin Franke  
Agriphila tristella
Grimma, August 2024

Imago
  © Eva-Maria Bäßler  
Agriphila tristella
am Licht - Westlausitz, Waldwiese nördl. Luchsenburgstraße, Ohorn, 3. August 2024

Imago
  © Gert Schulze  
Agriphila tristella
Grumbach/Erzgebirge, 20. August 2023

Imago
  © Rainer Klemm  
Agriphila tristella
Arnsdorf, August 2019

Imago
  © Tilmann Adler  
Agriphila tristella
Arnsdorf, August 2019

Imago
  © Tilmann Adler  
Agriphila tristella
Agriphila tristella, Hausgarten in Niederwürschnitz, 15.08.2022

Imago
  © Jens Heßmann  
Agriphila tristella
Agriphila tristella, Hausgarten in Niederwürschnitz, 15.08.2022

Imago
  © Jens Heßmann  
Agriphila tristella
Agriphila tristella, Hausgarten in Niederwürschnitz, 15.08.2022

Imago
  © Jens Heßmann  
Agriphila tristella
Agriphila tristella, Hausgarten in Niederwürschnitz, 15.08.2022

Imago
  © Jens Heßmann  
Agriphila tristella
am Licht - Westlausitz, Kuppe Eierberg, Lichtenberg bei Pulsnitz, 13. August 2023

Imago
  © Gert Schulze  
Agriphila tristella
am Licht - Westlausitz, Waldscheibe nördl. Rammenau, 14. August 2023

Imago
  © Gert Schulze  
Agriphila tristella
am Licht - Westlausitz, Eichert nördl. Pulsnitz, 17.August 2023

Imago
  © Gert Schulze  
Agriphila tristella
am Licht - Königsbrück-Ruhlander Heiden, Waldgebiet Ochsenberg, nahe Zipfelteich bei Rohrbach (Kamenz), 18. August 2023

Imago
  © Gert Schulze  
Agriphila tristella
am Licht - Königsbrück-Ruhlander Heiden, Waldgebiet Ochsenberg, nahe Zipfelteich bei Rohrbach (Kamenz), 18. August 2023

Imago
  © Gert Schulze  
Agriphila tristella
Schwarzbachtal Dippoldiswalde, August 2023

Imago
  © Tilmann Adler  
Agriphila tristella
Wallengrün, August 2020

Imago
  © Daniel Werner  
Agriphila tristella
Schwarzbachtal Dippoldiswalde, August 2023

Imago
  © Tilmann Adler  
Agriphila tristella
am Licht - Westlausitz, Waldwiese nördl. Luchsenburgstraße, Ohorn, 4. September 2023

Imago
  © Gert Schulze  
Agriphila tristella
Streuobstwiese Ulberndorf, August 2023

Imago
  © Kati Ehlert  
Agriphila tristella
Radebeul, September 2023

Imago
  © Eva-Maria Bäßler  
Agriphila tristella
Königsbrück, Landkreis Bautzen, September 2023

Imago
  © Sibylle Herr  
Agriphila tristella
Pöhla, Luchsbachtal, 16. August 2023

Imago
  © Uwe Kaettniß  
Agriphila tristella
Pöhla, Luchsbachtal, 16. August 2023

Imago
  © Uwe Kaettniß  
Agriphila tristella
Chemnitz.Ebersdorf, 24. August 2023

Imago
  © Uwe Kaettniß  
Agriphila tristella
Kaditz, September 2023

Imago
  © Steffen Hintersaß  
Agriphila tristella
am Licht - Pirnaer Elbtalweitung, Elbufer Copitz, Pirna, 20. August 2023

Imago
  © Gert Schulze  
Agriphila tristella
am Licht - Unteres Osterzgebirge, Hohlwege am Rand NSG Schwarzbachtal, Dippoldiswalde, 25. August 2023

Imago
  © Gert Schulze  
Agriphila tristella
Pöhla, Luchsbachtal, 22. August 2023

Imago
  © Uwe Kaettniß  
Agriphila tristella
Leippe-Torno, Landkreis Bautzen, 16. August 2023

Imago
  © Antje Weiß  
Agriphila tristella
Schmetterlingswiese 294 Chemnitz-Hilbersdorf, August 2023

Imago
  © Benjamin Franke  
Agriphila tristella
Podemus, August 2023

Imago
  © Katrin Ritter  
Agriphila tristella
Brunn 1, August 2023

Imago
  © Joachim Handschack  
Agriphila tristella
Pöhla, Luchsbachtal, 05. August 2023

Imago
  © Uwe Kaettniß  
Agriphila tristella
Lauter-Bernsbach, 10. August 2022

Imago
  © Uwe Kaettniß  
Agriphila tristella
Grumbach/Erzgebirge, 05. August 2022

Imago
  © Rainer Klemm  
Agriphila tristella
Neufang, Thüringen, September 2022

Imago
  © Michael Happ  
Agriphila tristella
Neufang, Thüringen, September 2022

Imago
  © Michael Happ  
Agriphila tristella
am Licht - Westlausitz, Waldscheibe nördl. Rammenau, 14. August 2021

Imago
  © Gert Schulze  
Agriphila tristella
am Licht - Königsbrück-Ruhlander Heiden, südwestlich Ochsenberg bei Kamenz (ehem. Ziegelei), 24. August 2022

Imago
  © Gert Schulze  
Agriphila tristella
am Licht - Königsbrück-Ruhlander Heiden, südwestlich Ochsenberg bei Kamenz (ehem. Ziegelei), 24. August 2022

Imago
  © Gert Schulze  
Agriphila tristella
Schmetterlingswiese 294 BUND Chemnitz-Hilbersdorf , September 2022

Imago
  © Benjamin Franke  
Agriphila tristella
NABU-Naturschutzstation Herrenhaide, August 2022

Imago
  © Tilmann Adler  
Agriphila tristella
Himmelsteich am Kieferberg bei Burgstädt, August 2022

Imago
  © Tilmann Adler  
Agriphila tristella
NABU-Naturschutzstation Herrenhaide, August 2022

Imago
  © Tilmann Adler  
Agriphila tristella
Schmetterlingswiese 294 BUND Chemnitz-Hilbersdorf , August 2022

Imago
  © Benjamin Franke  
Agriphila tristella
Himmelsteich am Kieferberg bei Burgstädt, August 2022

Imago
  © Tilmann Adler  
Agriphila tristella
Himmelsteich am Kieferberg bei Burgstädt, August 2022

Imago
  © Tilmann Adler  
Agriphila tristella
Annaberg-Buchholz, 13. August 2022

Imago
  © Wolfgang Dietrich  
Agriphila tristella
Neufang, Thüringen, August 2021

Imago
  © Michael Happ  
Agriphila tristella
NSG Rohrbacher Teiche bei Belgershain, August 2022

Imago
  © Tilmann Adler  
Agriphila tristella
Ochsenberg bei Neukirch/Kamenz, August 2022

Imago
  © Tilmann Adler  
Agriphila tristella
Ochsenberg bei Neukirch/Kamenz, August 2022

Imago
  © Tilmann Adler  
Agriphila tristella
Ochsenberg bei Neukirch/Kamenz, August 2022

Imago
  © Tilmann Adler  
Agriphila tristella
NSG Ruhmberg/Parthe, August 2022

Imago
  © Tilmann Adler  
Agriphila tristella
Pöhla, Luchsbachtal, 09. August 2022

Imago
  © Uwe Kaettniß  
Agriphila tristella
Waldgebiet Glambecker Mühle bei Altkünkendorf (Angermünde), August 2022

Imago
  © Bernd Garbe  
Agriphila tristella
Wiese an der Bahnlinie, August 2022

Imago
  © S. Klingner  
Agriphila tristella
Brunn 1, August 2022

Imago
  © Joachim Handschack  
Agriphila tristella
Schmetterlingswiese 294 BUND Chemnitz-Hilbersdorf , August 2021

Imago
  © Benjamin Franke  
Agriphila tristella
Schmetterlingswiese 294 BUND Chemnitz-Hilbersdorf , August 2021

Imago
  © Benjamin Franke  
Agriphila tristella
Schmetterlingswiese 294 BUND Chemnitz-Hilbersdorf , August 2021

Imago
  © Benjamin Franke  
Agriphila tristella
Neufang, Thüringen, August 2021

Imago
  © Michael Happ  
Agriphila tristella
St. Andreasberg Harz, August 2019

Imago
  © Benjamin Franke  
Agriphila tristella
Chemnitz-Wittgensdorf, August 2020

Imago
  © Benjamin Franke  
Agriphila tristella
Pöhla, Luchsbachtal, 29. August 2019

Imago
  © Uwe Kaettniß  
Agriphila tristella
Pöhla, Luchsbachtal, 12. August 2019

Imago
  © Uwe Kaettniß  
Agriphila tristella
Agriphila tristella (Denis & Schiffermüller, 1775) bei Torfhaus, 05.09.2021

Imago
  © Katrin Ritter  
Agriphila tristella
Heide Albuch Nördlingen (Bayern), August 2021

Imago
  © Tilmann Adler  
Agriphila tristella
Heide Albuch Nördlingen (Bayern), August 2021

Imago
  © Tilmann Adler  
Agriphila tristella
Agriphila tristella in der Gemarkung Hohenprießnitz, Kahns Berg, August 2014

Imago
  © Michael Happ  
Agriphila tristella
Agriphila tristella in der Gemarkung Hohenprießnitz, Kahns Berg, August 2014

Imago
  © Michael Happ  
Agriphila tristella
Sebnitz an der Forellenschänke, August 2020

Imago
  © Tilmann Adler  
Agriphila tristella
Georgenfelder Hochmoor, August 2020

Imago
  © Tilmann Adler  
Agriphila tristella
Sonneberg, Thüringen, September 2020

Imago
  © Michael Happ  
Agriphila tristella
Chemnitz-Draisdorf, 17.08.2019

Imago
  © Benjamin Franke  
Agriphila tristella
Chemnitz-Draisdorf, 17.08.2019

Imago
  © Benjamin Franke  
Agriphila tristella
September 2020

Imago
  © Cordula Schüppel  
Agriphila tristella
Steina, 11.08.2020

Imago
  © Enrico Tomschke  
Agriphila tristella
Steina, 11.08.2020

Imago
  © Enrico Tomschke  
Agriphila tristella
Hohenprießnitz, August 2020

Imago
  © Michael Happ  
Agriphila tristella
Hohenprießnitz, August 2020

Imago
  © Michael Happ  
Agriphila tristella
Hohenprießnitz, August 2020

Imago
  © Michael Happ  
Agriphila tristella
Hohenprießnitz, August 2020

Imago
  © Michael Happ  
Agriphila tristella
Arnsdorf, Mitte August 2020

Imago
  © Peter Diehl  
Agriphila tristella
Agriphila tristella (Denis & Schiffermüller, 1775), Altenberg, OT Lauenstein, 16.08.2020

Imago
  © Detlev Herr  
Agriphila tristella
Naturraum Hellerau, August 2020

Imago Männchen Weibchen
  © Uwe Reese  
Agriphila tristella
Steinbach, 29.08.2020

Imago
  © Eva-Maria Bäßler  
Agriphila tristella
Agriphila tristella (Denis & Schiffermüller, 1775) im Zschonergrund bei Podemus, 11.08.2020

Imago
  © Katrin Ritter  
Agriphila tristella
Chemnitz-Draisdorf, 17.08.2019

Imago
  © Benjamin Franke  
Agriphila tristella
Chemnitz-Adelsberg, 24.08.2019

Imago
  © Michael Münch  
Agriphila tristella
Chemnitz-Adelsberg, 30.08.2019

Imago
  © Michael Münch  
Agriphila tristella
Agriphila tristella (Denis & Schiffermüller, 1775) Niedercrinitz, Aug. 2019.

Imago
  © Joachim Kupfer  
Agriphila tristella
Lichtfang östlich Ottendorf-Okrilla am 30.08.2019

Imago
  © Tilmann Adler  
Agriphila tristella
Gestreifter Graszünsler, Dresdner Heide, Lichtfang am 23.08.2019

Imago
  © Tilmann Adler  
Agriphila tristella
Gestreifter Graszünsler, Arnsdorf, August 2019

Imago
  © Tilmann Adler  
Agriphila tristella
Agriphila tristella (Denis & Schiffermüller, 1775) auf Streuobstwiese im Vogtland, August 2019.

Imago
  © Daniel Werner  
Agriphila tristella
Gestreifter Graszünsler (Agriphila tristella (Denis & Schiffermüller, 1775)) Lichtfang südlich von Radeberg am Karswald im August 2019

Imago
  © Tilmann Adler  
Agriphila tristella
Gestreifter Graszünsler (Agriphila tristella (Denis & Schiffermüller, 1775)) Lichtfang südlich von Radeberg am Karswald im August 2019

Imago
  © Tilmann Adler  
Agriphila tristella
Agriphila tristella, In-Haus-Fund, Fuhlendorf (Vorpommern-Rügen), 06.08.2019

Imago
  © Martin Feike  
Agriphila tristella
Agriphila tristella, Fuhlendorf (Vorpommern-Rügen), 22.08.2019

Imago
  © Martin Feike  
Agriphila tristella
Gestreifter Graszünsler im August 2018 Lichtfang bei Lotzdorf / Radeberg

Imago
  © Tilmann Adler  
Agriphila tristella
Gestreifter Graszünsler im August 2018 Lichtfang bei Lotzdorf / Radeberg

Imago
  © Tilmann Adler  
Agriphila tristella
Gestreifter Graszünsler im August 2018 Lichtfang bei Lotzdorf / Radeberg

Imago
  © Tilmann Adler  
Agriphila tristella
Agriphila tristella (Denis & Schiffermüller, 1775), bei Hammerunterwiesenthal,2018

Imago
  © Wolfgang Dietrich  
Agriphila tristella
Agriphila tristella (Denis & Schiffermüller, 1775), Rohrbach, August 2018

Imago
  © Helene Otto  
Agriphila tristella
Agriphila tristella (Denis & Schiffermüller, 1775) am 22.8.2018 im Zschonergrund Dresden

Imago
  © Katrin Ritter  
Agriphila tristella
Agriphila tristella (Denis & Schiffermüller, 1775)in der Gemarkung Hohenprießnitz, September 2018

Imago
  © Michael Happ  
Agriphila tristella
Agriphila tristella (Denis & Schiffermüller, 1775)in der Gemarkung Hohenprießnitz, September 2018

Imago
  © Michael Happ  
Agriphila tristella
Agriphila tristella (Denis & Schiffermüller, 1775)in der Gemarkung Hohenprießnitz, September 2018

Imago
  © Michael Happ  
Agriphila tristella
Agriphila tristella (Denis & Schiffermüller, 1775) in der Gemarkung Hohenprießnitz, September 2018

Imago
  © Michael Happ  
Agriphila tristella
Agriphila tristella (Denis & Schiffermüller, 1775) in der Gemarkung Hohenprießnitz, August 2018

Imago
  © Michael Happ  
Agriphila tristella
Agriphila tristella; Ende August 2018 , Feldflur Niederbobritzsch

Imago
  © Torsten Loos  
Agriphila tristella
Agriphila tristella, Chemnitz-Bernsdorf, am Haustürlicht, 11.08.2018, Laborfoto

Imago
  © Lutz Böttger, Chemnitz  
Agriphila tristella
Gestreifter Graszünsler im August 2018 Lichtfang in Radeberg

Imago
  © Tilmann Adler  
Agriphila tristella
Agriphila tristella, Fuhlendorf (Vorpommern-Rügen), August 2018

Imago
  © Martin Feike  
Agriphila tristella
Agriphila tristella, Fuhlendorf (Vorpommern-Rügen), August 2018

Imago
  © Martin Feike  
Agriphila tristella
Gestreifter Graszünsler im August 2018 Lichtfang in Radeberg

Imago
  © Tilmann Adler  
Agriphila tristella
Gestreifter Graszünsler im August 2018 Lichtfang in Radeberg

Imago
  © Tilmann Adler  
Agriphila tristella
Gestreifter Graszünsler im August 2018 Lichtfang in Radeberg

Imago
  © Tilmann Adler  
Agriphila tristella
Agriphila tristella, Forsthof Fehrow (Spree-Neiße), August 2018

Imago
  © Martin Feike  
Agriphila tristella
Agriphila tristella, Forsthof Fehrow (Spree-Neiße), August 2018

Imago
  © Martin Feike  
Agriphila tristella
Agriphila tristella, Kleinrückerswalde, Schmetterlingswiese 46, 21.08.2018

Imago
  © Wolfgang Dietrich  
Agriphila tristella
Agriphila tristella, Kleinrückerswalde, Schmetterlingswiese 46, 21.08.2018

Imago
  © Wolfgang Dietrich  
Agriphila tristella
Agriphila tristella am 08.08.2018 in Panitzsch

Imago
  © Michael Volpert  
Agriphila tristella
Agriphila tristella am 08.08.2018 in Panitzsch

Imago
  © Michael Volpert  
Agriphila tristella
Gestreifter Graszünsler (Agriphila tristella) auf Streuobstwiese im August 2016, Vogtland.

Imago
  © Daniel Werner  
Agriphila tristella
Gestreifter Graszünsler im September 2017 östlich Ottendorf-Okrilla

Imago
  © Tilmann Adler  
Agriphila tristella
Gestreifter Graszünsler im September 2017 östlich Ottendorf-Okrilla

Imago
  © Tilmann Adler  
Agriphila tristella
Agriphila_tristella in Hoyerswerda Klein Neida, Mitte August 2015

Imago
  © Martina Görner  
Agriphila tristella
Agriphila tristella in der Gemarkung Hohenprießnitz, August 2017

Imago
  © Michael Happ  
Agriphila tristella
Agriphila tristella in der Gemarkung Hohenprießnitz, August 2017

Imago
  © Michael Happ  
Agriphila tristella
Agriphila tristella in der Gemarkung Hohenprießnitz, August 2017

Imago
  © Michael Happ  
Agriphila tristella
Agriphila tristella, FND Schönauer Lachen im Stadtgebiet von Leipzig, Ende August 2017

Imago
  © Bernd Garbe  
Agriphila tristella
A. tristella, Bergwiese bei Freiberg, August 2017

Imago
  © Tommy Kästner  
Agriphila tristella
A. tristella, Bergwiese bei Freiberg, August 2017

Imago
  © Tommy Kästner  
Agriphila tristella
A. tristella, Bergwiese bei Freiberg, August 2017

Imago
  © Tommy Kästner  
Agriphila tristella
Agriphila tristella am 20.08.2017 im Tharandter Wald im FND Feuchtwiese am Langen Weg.

Imago
  © Lothar Brümmer  
Agriphila tristella
Agriphila tristella am 20.08.2017 im Tharandter Wald im FND Feuchtwiese am Langen Weg.

Imago
  © Lothar Brümmer  
Agriphila tristella
Agriphila tristella, Dresdner Heide, Naturschutzstation Dachsenberg, August 2017

Imago
  © Tommy Kästner  
Agriphila tristella
Agriphila tristella, Dresdner Heide, Naturschutzstation Dachsenberg, August 2017

Imago
  © Tommy Kästner  
Agriphila tristella
Gestreifter Graszünsler im August 2016 östlich Ottendorf-Okrilla

Imago
  © Tilmann Adler  
Agriphila tristella
Gestreifter Graszünsler im August 2016 östlich Ottendorf-Okrilla

Imago
  © Tilmann Adler  
Agriphila tristella
Agriphila tristella am 30.08.2018 auf einer Brachfläche westlich von Moritzburg

Imago
  © Lothar Brümmer  
Agriphila tristella
Agriphila tristella am 29.08.2012 am Rand des Tharandter Waldes bei Mohorn-Grund

Imago
  © Lothar Brümmer  
Agriphila tristella
Agriphila tristella, FND Schönauer Lachen in Leipzig, August 2016

Imago
  © Bernd Garbe  
Agriphila tristella
Beleg von Agriphila tristella, Strohmberg bei Weißenberg, Anfang August 1998

Imago
  © Friedmar Graf  
Agriphila tristella
Beleg von Agriphila tristella, lockerer Kiefernaufwuchs bei Commerau, Mitte August 1996

Imago
  © Friedmar Graf  
Agriphila tristella
Beleg von Agriphila tristella, Umgebung Burg Mitte August 1999

Imago
  © Friedmar Graf  
Agriphila tristella
Agriphila tristella am 24.08.2016 in Glashütte

Imago
  © Stefan Höhnel  
Agriphila tristella
Agriphila tristella am 25.08.2008 in Weinböhla

Imago
  © Eva-Maria Bäßler  
Agriphila tristella
Agriphila tristella in Ufernähe des Cospudener Sees, Ende August 2015

Imago
  © Bernd Garbe  
Agriphila tristella
Agriphila tristella in der Nähe der Schönauer Lachen in Leipzig, August 2015

Imago
  © Bernd Garbe  
Agriphila tristella
Agriphila tristella im August 2015 nachts am UV-Licht, Mont Salève, Frankreich

Imago
  © Matthias Nuß  
Agriphila tristella
Agriphila tristella im Juli 2015 auf dem Mont Salève in Frankreich

Imago
  © Matthias Nuß  
Agriphila tristella
Agriphila tristella im Juli 2015 auf dem Mont Salève in Frankreich

Imago
  © Matthias Nuß  
Agriphila tristella
Graszünsler am 26.08.2015 an der Talsperre Malter

Imago
  © Stefan Höhnel  
Agriphila tristella
Gestreifter Graszünsler im August 2015, östlich Ottendorf-Okrilla

Imago
  © Tilmann Adler  
Agriphila tristella
Gestreifter Graszünsler im August 2015, Dresdner Heide bei Radeberg

Imago
  © Tilmann Adler  
Agriphila tristella
Agriphila tristella auf der Hochhalde Trages bei Espenhain im August 2015

Imago
  © Bernd Garbe  
Agriphila tristella
Agriphila tristella im August 2015 in Radeberg

Imago
  © Tilmann Adler  
Agriphila tristella
Agriphila tristella im August 2015 in Radeberg

Imago
  © Tilmann Adler  
Agriphila tristella
Gestreifter Graszünsler im August 2015, Karswald bei Arnsdorf

Imago
  © Tilmann Adler  
Agriphila tristella
Gestreifter Graszünsler im August 2015, Karswald bei Arnsdorf

Imago
  © Tilmann Adler  
Agriphila tristella
Gestreifter Graszünsler im August 2015, Radeberg

Imago
  © Tilmann Adler  
Agriphila tristella
Agriphila tristella im Juni 2015 auf dem Dresdner Heller

Imago
  © Matthias Nuß  
Agriphila tristella
Agriphila tristella im August 2014 in Ufernähe der Schönauer Lachen in Leipzig

Imago
  © Bernd Garbe  
Agriphila tristella
Gestreifter Graszünsler im August 2014, Arnsdorf

Imago
  © Tilmann Adler  
Agriphila tristella
Agriphila tristella in der Gemarkung Hohenprießnitz, Muldedamm, August 2014

Imago
  © Michael Happ  
Agriphila tristella
Agriphila tristella in der Gemarkung Hohenprießnitz, Muldedamm, August 2014

Imago
  © Michael Happ  
Agriphila tristella
Agriphila tristella in der Gemarkung Hohenprießnitz, Kahns Berg, August 2014

Imago
  © Michael Happ  
Agriphila tristella
Agriphila tristella in der Gemarkung Hohenprießnitz, Kahns Berg, August 2014

Imago
  © Michael Happ  
Agriphila tristella
Agriphila tristella in der Gemarkung Hohenprießnitz, Kahns Berg, August 2014

Imago
  © Michael Happ  
Agriphila tristella
Agriphila tristella in der Gemarkung Hohenprießnitz, Kahns Berg, August 2014

Imago
  © Michael Happ  
Agriphila tristella
Ein Gestreifter Graszünsler am 31.07.2014 in Glashütte

Imago
  © Stefan Höhnel  
Agriphila tristella
Ein Graszünsler am 26.08.2013 in Glashütte

Imago
  © Stefan Höhnel  
Agriphila tristella
Ein Graszünsler am 26.08.2013 in Glashütte

Imago
  © Stefan Höhnel  
Agriphila tristella
Am 19.08.2011 fand ich diesen Gestreiften Graszünsler in Glashütte

Imago
  © Stefan Höhnel  
Agriphila tristella
Am 19.08.2011 fand ich diesen Gestreiften Graszünsler in Glashütte

Imago
  © Stefan Höhnel  
Agriphila tristella
Ein Gestreifter Graszünsler am 26.08.2013 in Glashütte

Imago
  © Stefan Höhnel  
Agriphila tristella
Abgeflogenes Exemplar von Agriphila tristella am 23.08.2013 in Dresden

Imago
  © Franziska Bauer  
 
Login
Termine (Archiv)
Statistik
  • 659876 Beobachtungen
  • 348691 Onlinemeldungen
  • 4189 Steckbriefe
  • 287886 Fotos
  • 12139 Arten mit Fund
  • 6787 Arten mit Fotos

      

Verwendung von Cookies

Wir verwenden Cookies ausschließlich, um diese Website für Sie optimal zu gestalten und fortlaufend verbessern zu können. Durch die weitere Nutzung der Webseite stimmen Sie der Verwendung von Cookies zu.