Büffelzikade (Stictocephala bisonia Kopp & Yonke, 1977)

DE Deutschland , DE-SN Sachsen Druckansicht

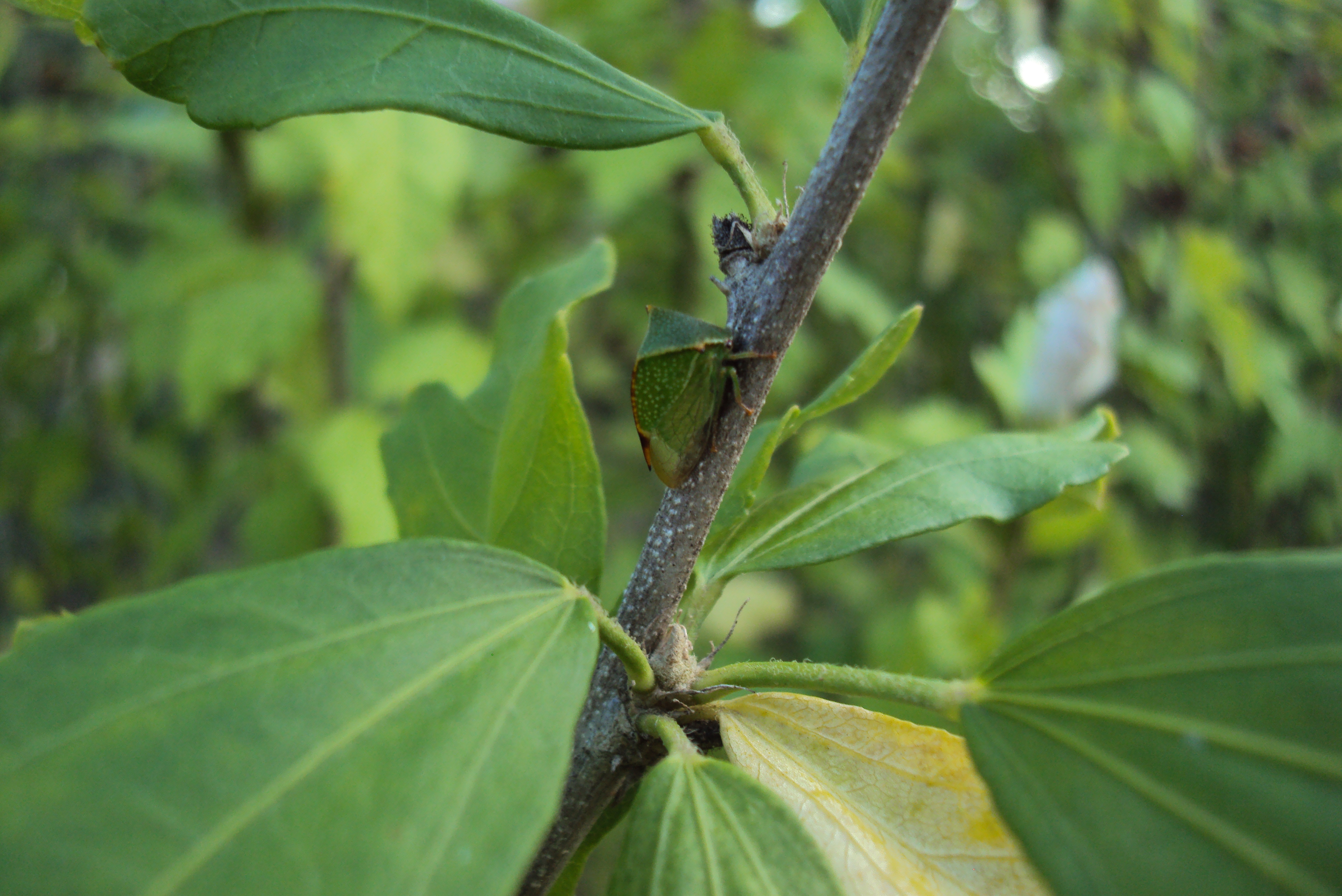
Stictocephala bisonia
Coswig, Landkreis Meißen, November 2025

Imago
  © Sibylle Herr  
Stictocephala bisonia
Lohmen, Landkreis Sächsische Schweiz-Osterzgebirge, September 2025

Imago
  © Jörg Teumer  
Stictocephala bisonia
Spremberg - Grodk, Landkreis Spree-Neiße, September 2025

Imago
  © Jörg Teumer  
Stictocephala bisonia
Dresden, OT Schullwitz, Okt. 2025

Imago
  © Bernd-Jürgen Kurze  
Stictocephala bisonia
Dresden, OT Schullwitz, Okt. 2025

Imago
  © Bernd-Jürgen Kurze  
Stictocephala bisonia
Bad Schandau , September 2025

Imago
  © Roland Achtziger  
Stictocephala bisonia
Borsdorf, September 2025

  © Michael Volpert  
Stictocephala bisonia
Authausen, Landkreis Nordsachsen, September 2025

Imago
  © Silvia Fischer  
Stictocephala bisonia
Hoyerswerda, August 2025

Imago
  © Martina Görner  
Stictocephala bisonia
Bad Schandau , September 2025

Imago
  © Roland Achtziger  
Stictocephala bisonia
Kaditz, September 2025

Imago
  © Steffen Hintersaß  
Stictocephala bisonia
Kaditz, August 2025

Imago
  © Steffen Hintersaß  
Stictocephala bisonia
Chemnitz, August 2025

Imago
  © Michael Weiß  
Stictocephala bisonia
Chemnitz, August 2025

Imago
  © Michael Weiß  
Stictocephala bisonia
Moritzburg, Landkreis Meißen, August 2025

Imago
  © Steffen Hintersaß  
Stictocephala bisonia
Doberschütz, Landkreis Nordsachsen, August 2025

Imago
  © Lilian Winzer  
Stictocephala bisonia
Kitzscher, August 2025

  © Andrea Döge  
Stictocephala bisonia
Chemnitz-Furth, September 2024

Imago
  © Benjamin Franke  
Stictocephala bisonia
Chemnitz-Furth, September 2024

Imago
  © Benjamin Franke  
Stictocephala bisonia
Kaditz, August 2024

Imago
  © Steffen Hintersaß  
Stictocephala bisonia
Friedhof Knauthain, Büffelzikade, August 2024

Imago
  © Beatrice Jeschke  
Stictocephala bisonia
Chemnitz-Schloßchemnitz, September 2024

Imago
  © Benjamin Franke  
Stictocephala bisonia
Markkleeberg, Landkreis Leipzig, 23.09.2024

Imago
  © Jean-Paul Israel  
Stictocephala bisonia
Kaditz, September 2024

Imago
  © Steffen Hintersaß  
Stictocephala bisonia
Imnitzer Lachen, Zwenkau, 18.09.2024

Imago
  © Jean-Paul Israel  
Stictocephala bisonia
Imnitzer Lachen, Zwenkau, 18.09.2024

Imago
  © Jean-Paul Israel  
Stictocephala bisonia
Imnitzer Lachen, Zwenkau, 18.09.2024

Imago
  © Jean-Paul Israel  
Stictocephala bisonia
Zwochau, Landkreis Nordsachsen, 21.09.2024

Imago
  © Jean-Paul Israel  
Stictocephala bisonia
Chemnitz-Ebersdorf, 20. September 2024

Imago
  © Uwe Kaettniß  
Stictocephala bisonia
Chemnitz , Sep 2024

Imago
  © Linda Heinrich  
Stictocephala bisonia
Büffelzikade (Stictocephala bisonia Kopp & Yonke, 1977), Weinböhla, September 2024

Imago
  © Robert Leistner  
Stictocephala bisonia
Chemnitz-Wittgensdorf , September 2024

Imago
  © Benjamin Franke  
Stictocephala bisonia
Borsdorf, Landkreis Leipzig, August 2024

Imago
  © Michael Volpert  
Stictocephala bisonia
Borsdorf, Landkreis Leipzig, August 2024

Imago
  © Michael Volpert  
Stictocephala bisonia
Arnsdorf, August 2024

Imago
  © Peter Diehl  
Stictocephala bisonia
Arnsdorf, August 2024

Imago
  © Peter Diehl  
Stictocephala bisonia
Lüptitz, Landkreis Leipzig, August 2024

Imago
  © Michael Volpert  
Stictocephala bisonia
Kaditz, August 2024

Imago
  © Steffen Hintersaß  
Stictocephala bisonia
Schmetterlingsweise 469 Nordpark Chemnitz-Schlosschemnitz, Juli 2024

Imago
  © Benjamin Franke  
Stictocephala bisonia
Meißen, August 2024

Imago
  © Roland Achtziger  
Stictocephala bisonia
Kornhain, Juli 2024

Imago
  © Michael Volpert  
Stictocephala bisonia
Podemus, August 2023

Imago
  © Katrin Ritter  
Stictocephala bisonia
Podemus, August 2023

Imago
  © Katrin Ritter  
Stictocephala bisonia
Chemnitz,, August 2023

Imago
  © Michael Weiß  
Stictocephala bisonia
Chemnitz,, August 2023

Imago
  © Michael Weiß  
Stictocephala bisonia
Röhrsdorf, September 2023

Imago
  © Steffen Hintersaß  
Stictocephala bisonia
Büffelzikade, Leipzig, August 2023

Imago
  © Beatrice Jeschke  
Stictocephala bisonia
Büffelzikade, Leipzig, August 2023

Imago
  © Beatrice Jeschke  
Stictocephala bisonia
Chemnitz-Hilbersdorf, September 2021

Imago
  © Benjamin Franke  
Stictocephala bisonia
Chemnitz-Draisdorf , September 2019

Imago
  © Benjamin Franke  
Stictocephala bisonia
Chemnitz Botanischer Garten, September 2019

Imago
  © Benjamin Franke  
Stictocephala bisonia
Chemnitz Botanischer Garten, September 2019

Imago
  © Benjamin Franke  
Stictocephala bisonia
Chemnitz Botanischer Garten, September 2019

Imago
  © Benjamin Franke  
Stictocephala bisonia
Kaditz, August 2019

Imago
  © Steffen Hintersaß  
Stictocephala bisonia
Leipziger Land, Borna, Nordwestufer Bockwitzer See, 9. Juli 2022

Imago
  © Gert Schulze  
Stictocephala bisonia
Chemnitz-Draisdorf, September 2022

Imago
  © Benjamin Franke  
Stictocephala bisonia
Kaditz, Oktober 2022

Imago
  © Steffen Hintersaß  
Stictocephala bisonia
Garten in Dresden-Mockritz, September 2022

Imago
  © Jörg Hartmann  
Stictocephala bisonia
Botanischer Garten Chemnitz, September 2021

Imago
  © Tilmann Adler  
Stictocephala bisonia
Botanischer Garten Chemnitz, September 2021

Imago
  © Tilmann Adler  
Stictocephala bisonia
Botanischer Garten Chemnitz, September 2021

Imago
  © Tilmann Adler  
Stictocephala bisonia
Dresden, 06.09.2021

Imago
  © Martin Schmidt  
Stictocephala bisonia
Chemnitz, OT Kaßberg, Wiese von Kleingärten umgeben,18.10.2020

Imago
  © Cordula Schüppel  
Stictocephala bisonia
Chemnitz, OT Kaßberg, Wiese von Kleingärten umgeben,18.10.2020

Imago
  © Cordula Schüppel  
Stictocephala bisonia
Wurzen, 11.08.2021

Imago
  © Michael Volpert  
Stictocephala bisonia
Großenhain, 05.09.2021

Imago
  © Jens Tomasini  
Stictocephala bisonia
Neustadt i. Sa., 05.09.2021

Imago
  © Andreas Ihl  
Stictocephala bisonia
Schönfeld, Nov 2020

Imago
  © Rico Mende  
Stictocephala bisonia
Schönfeld, Nov 2020

Imago
  © Rico Mende  
Stictocephala bisonia
Schönfeld, Nov 2020

Imago
  © Rico Mende  
Stictocephala bisonia
Kaditz, 13.10.2019

Imago
  © Steffen Hintersaß  
Stictocephala bisonia
Chemnitz-Hilbersdorf Schmetterlingswiese 294 BUND, September 2020

Imago
  © Benjamin Franke  
Stictocephala bisonia
Chemnitz-Hilbersdorf Schmetterlingswiese 294 BUND, September 2020

Imago Männchen Weibchen
  © Benjamin Franke  
Stictocephala bisonia
Chemnitz-Hilbersdorf Schmetterlingswiese 294 BUND, September 2020

Imago
  © Benjamin Franke  
Stictocephala bisonia
Chemnitz-Hilbersdorf Schmetterlingswiese 294 BUND, September 2020

Imago Männchen Weibchen
  © Benjamin Franke  
Stictocephala bisonia
Neuliebel (Rietschen), 06.08.2020

Imago Weibchen
  © Andreas Ihl  
Stictocephala bisonia
Büffelzikade (Stictocephala bisonia Kopp & Yonke, 1977) am 22.08.2020 in Panitzsch

Imago
  © Michael Volpert  
Stictocephala bisonia
Büffelzikade (Stictocephala bisonia Kopp & Yonke, 1977) am 22.08.2020 in Panitzsch

Imago
  © Michael Volpert  
Stictocephala bisonia
Dresden, Aug 2020

Imago Männchen Weibchen
  © Michael Rammler  
Stictocephala bisonia
Meißen, 08.09.2020

Imago
  © Michael Braune  
Stictocephala bisonia
Meißen, 08.09.2020

Imago
  © Michael Braune  
Stictocephala bisonia
Büffelzikade (Stictocephala bisonia Kopp & Yonke, 1977) am 22.08.2020 in Panitzsch

Imago
  © Michael Volpert  
Stictocephala bisonia
Büffelzikade (Stictocephala bisonia Kopp & Yonke, 1977) am 22.08.2020 in Panitzsch

Imago
  © Michael Volpert  
Stictocephala bisonia
Büffelzikade (Stictocephala bisonia Kopp & Yonke, 1977) bei Kalkreuth, 23.08.2020

Imago
  © Katrin Ritter  
Stictocephala bisonia
Büffelzikade (Stictocephala bisonia) in Lutherstadt Wittenberg, 06.07.2019

Imago
  © Andrea Oertel  
Stictocephala bisonia
Chemnitz, Stadtviertel Reichenhain, Sept 2019 Stictocephala bisonia, Büffelzikade

Imago
  © Lutz Böttger  
Stictocephala bisonia
Büffelzikade (Stictocephala bisonia Kopp & Yonke, 1977), im Naturerlebniszentrum Blumberger Mühle bei Angermünde (Brandenburg), August 2019

Imago
  © Bernd Garbe  
Stictocephala bisonia
die Büffelzikade (Stictocephala bisonia) hat auch die höheren Lagen erreich, wie hier an der Talsperre Lehnmühle im Osterzgebirge; August 2019

Imago
  © Angela Kühne  
Stictocephala bisonia
Büffelzikade (Stictocephala bisonia Kopp & Yonke, 1977) auf Prunus persica, Freiberg, 16.10.2019

Imago
  © Andreas Golde  
Stictocephala bisonia
Büffelzikade (Stictocephala bisonia Kopp & Yonke, 1977), Gewerbegebiet 01458 Ottendorf-Okrilla, August 2019.

Imago
  © Uwe Schäfer  
Stictocephala bisonia
Büffelzikade (Stictocephala bisonia Kopp & Yonke, 1977) Garten in Dresden-Mockritz, 29.08.2019, an Hibiscus syriacus

Imago
  © Jörg Hartmann  
Stictocephala bisonia
Leipzig, Ortsteil Thekla, Aug. 2019

Imago
  © Victor Weiler  
Stictocephala bisonia
Büffelzikade (Stictocephala bisonia Kopp & Yonke, 1977), Dresden Gruna, Juli 2019

Imago
  © Andreas Post  
Stictocephala bisonia
Büffelzikade (Stictocephala bisonia Kopp & Yonke, 1977), Schriesheim, August 2015

Imago
  © Sebastian Schuch  
Stictocephala bisonia
Büffelzikade (Stictocephala bisonia Kopp & Yonke, 1977), Neue Harth, 22.08.2018

Imago
  © Danilo Matzke  
Stictocephala bisonia
Büffelzikade während einer kurzen Zwischenlandung auf dem Fahrradsattel. Moritzburg-Friedewald, September 2018

Imago
  © Matthias Nuß  
Stictocephala bisonia
Büffelzikade am 18.07.2018 in Panitzsch

Imago
  © Michael Volpert  
Stictocephala bisonia
Büffelzikade (Stictocephala bisonia) an Topinambur, Dresden, Okt. 2017

Imago
  © A. Seemann  
Stictocephala bisonia
Büffelzikade, Stictocephala bisonia, als Beute einer Spinne auf einem Himbeerstrauch, Leipzig, Ortsteil Thekla, Sep. 2012

Imago
  © Victor Weiler  
Stictocephala bisonia
Büffelzikade bei der Eiablage auf Salweide. Leipzig, Ortsteil Reudnitz-Thonberg, Sep. 2008

Imago Weibchen
  © Victor Weiler  
Stictocephala bisonia
Büffelzikade an Gelber Skabiose, Chemnitz, August 2017

Imago
  © Ines Schürer  
Stictocephala bisonia
Büffelzikade an Gelber Skabiose, Chemnitz, August 2017

Imago
  © Ines Schürer  
Stictocephala bisonia
Büffelzikade am 06.11.2017 in Panitzsch

Imago
  © Michael Volpert  
Stictocephala bisonia
Büffelzikade am 06.11.2017 in Panitzsch

Imago
  © Michael Volpert  
Stictocephala bisonia
Büffelzikade am 06.11.2017 in Panitzsch

Imago
  © Michael Volpert  
Stictocephala bisonia
Büffelzikade am 16.09.2017 am Müncherteich bei Grethen

Imago
  © Michael Volpert  
Stictocephala bisonia
Stictocephala bisonia am 20.08.2017 in Panitzsch

Imago
  © Michael Volpert  
Stictocephala bisonia
Stictocephala bisonia am 04.08.2017 in Panitzsch

Imago
  © Michael Volpert  
Stictocephala bisonia
Stictocephala bisonia am 04.08.2017 in Panitzsch

Imago
  © Michael Volpert  
Stictocephala bisonia
Kaditz bei Dresden, August 2016

Imago
  © Steffen Hintersaß  
Stictocephala bisonia
Larve der Büffelzikade. Pirna, Juni 2016

Larve
  © Gerhard Drossel  
Stictocephala bisonia
Büffelzikade am 28.09.2016 in der Wohnung in Radebeul-Zitzschewig

Imago
  © Eva-Maria Bäßler  
Stictocephala bisonia
Büffelzikade am 28.09.2016 in der Wohnung in Radebeul-Zitzschewig

Imago
  © Eva-Maria Bäßler  
Stictocephala bisonia
Büffelzikade (Stictocephala bisonia), Kaditz bei Dresden, August 2016

Imago
  © Steffen Hintersaß  
Stictocephala bisonia
an Wein

Imago
  © Hans-Dieter Knopf  
Stictocephala bisonia
an Wein

Imago
  © Hans-Dieter Knopf  
Stictocephala bisonia
Büffelzikade (Stictocephala bisonia) in der Gemarkung Hohenprießnitz, Muldeaue, Oktober 2014

Imago
  © Michael Happ  
Stictocephala bisonia
Talsperre Wallroda, Oktober 2014

Imago
  © Tilmann Adler  
Stictocephala bisonia
Büffelzikade im Oktober 2014, Talsperre Wallroda

Imago
  © Tilmann Adler  
Stictocephala bisonia
Büffelzikade (Stictocephala bisonia) September 2013 Dresden - Kaditz

Imago
  © Steffen Hintersaß  
Stictocephala bisonia
Büffelzikade (Stictocephala bisonia) September 2013 Dresden - Kaditz

Imago
  © Steffen Hintersaß  
Stictocephala bisonia
Großenhain, Kleinraschützer Heide, auf Rainfarn. 5.8.2014

Imago
  © Jens Tomasini  
Stictocephala bisonia
Nordsachsen, an weißem Gänsefuß. August 2013

Imago
  © Angela Kühne  
Stictocephala bisonia
Stictocephala bisonia am 13.10.2013 in Dresden-Tolkewitz

Imago
  © Franziska Bauer  
Stictocephala bisonia
Stictocephala bisonia auf Pappel am 27.09.2013 in Dresden-Tolkewitz

Imago
  © Franziska Bauer  
Stictocephala bisonia
Stictocephala bisonia auf Pappel am 27.09.2013 in Dresden-Tolkewitz

Imago
  © Franziska Bauer  
Stictocephala bisonia
Büffelzikade in Radeberg im September 2013

Imago
  © Tilmann Adler  
Stictocephala bisonia
Büffelzikade in Radeberg im September 2013

Imago
  © Tilmann Adler  
Stictocephala bisonia
Büffelzikade im Botanischen Garten Dresden im Oktober 2012

Imago
  © Stefanie Mösch  
Stictocephala bisonia
Büffelzikade im Botanischen Garten Dresden im September 2012

Imago
  © Stefanie Mösch  
 
Login
Termine (Archiv)
Statistik
  • 603691 Beobachtungen
  • 341815 Onlinemeldungen
  • 4101 Steckbriefe
  • 276637 Fotos
  • 9576 Arten mit Fund
  • 6671 Arten mit Fotos

      

Verwendung von Cookies

Wir verwenden Cookies ausschließlich, um diese Website für Sie optimal zu gestalten und fortlaufend verbessern zu können. Durch die weitere Nutzung der Webseite stimmen Sie der Verwendung von Cookies zu.