Vierzehntropfiger Marienkäfer (Calvia quatuordecimguttata (Linnaeus, 1758))

DE Deutschland , DE-SN Sachsen Druckansicht

Calvia quatuordecimguttata
Lauta, Lauta Dorf, 27. April 2026

Imago
  © Antje Weiß  
Calvia quatuordecimguttata
Lauta, 27.April 2026

Imago
  © Antje Weiß  
Calvia quatuordecimguttata
Hasebach, April 2026

  © Benjamin Berger  
Calvia quatuordecimguttata
Hasebach, April 2026

  © Benjamin Berger  
Calvia quatuordecimguttata
Hasebach, April 2026

  © Benjamin Berger  
Calvia quatuordecimguttata
Lauta, 22. April 2026, auf verlauster Balsampappel

Imago
  © Antje Weiß  
Calvia quatuordecimguttata
Annaberg-Buchholz, 18. April 2026

Imago
  © Wolfgang Dietrich  
Calvia quatuordecimguttata
Tiefenau, Landkreis Meißen, April 2026

Imago
  © Jörg Teumer  
Calvia quatuordecimguttata
Lauta-Dorf am Erikasee, Lauta Dorf, 08. April 2026

Imago
  © Antje Weiß  
Calvia quatuordecimguttata
Dresden, 06. März 2026

Imago
  © Andreas Post  
Calvia quatuordecimguttata
Freiberg, August 2025

Imago
  © Roland Achtziger  
Calvia quatuordecimguttata
Wohngrundstück, 01896 Lichtenberg, Juni 2025

Imago
  © Uwe Schäfer  
Calvia quatuordecimguttata
Pöhla, Luchsbachtal, 29. Mai 2025

Imago Männchen Weibchen
  © Uwe Kaettniß  
Calvia quatuordecimguttata
Dahlener Heide, Lehmberg bei Neußen, Belgern-Schildau, Juli 2025

Imago
  © Tilmann Adler  
Calvia quatuordecimguttata
Dahlener Heide, Lehmberg bei Neußen, Belgern-Schildau, Juli 2025

Imago
  © Tilmann Adler  
Calvia quatuordecimguttata
Rödelsee, Mai 2023

Imago
  © Stefanie Mösch  
Calvia quatuordecimguttata
Lausa, Landkreis Nordsachsen, Juli 2025

Imago
  © Benjamin Franke  
Calvia quatuordecimguttata
Chemnitz-Schlosschemnitz, Mai 2025

Imago
  © Benjamin Franke  
Calvia quatuordecimguttata
Dresden, 24. Juni 2025; auf Urtica dioica; ca. 4 mm lang

Imago
  © Christian Löser  
Calvia quatuordecimguttata
am Licht - Dahlen-Dübener Heiden, Lehmberg bei Neußen, Belgern-Schildau, 2. Juli 2025

Imago
  © Gert Schulze  
Calvia quatuordecimguttata
Boxberg/O.L. - Hamor, Zimpel - Cympl, 21. Juni 2025

Imago
  © Antje Weiß  
Calvia quatuordecimguttata
St. Egidien, Landkreis Zwickau, Juni 2025

Imago
  © Frank Nebe  
Calvia quatuordecimguttata
St. Egidien, Landkreis Zwickau, Juni 2025

Imago
  © Frank Nebe  
Calvia quatuordecimguttata
Lautaer Feuchtheide, 05.Juni 2025

Imago
  © Antje Weiß  
Calvia quatuordecimguttata
Pöhla, Luchsbachtal, 19. Mai 2025

Imago
  © Uwe Kaettniß  
Calvia quatuordecimguttata
Freiberg, Mai 2025

Imago
  © Roland Achtziger  
Calvia quatuordecimguttata
Wurzen, Juni 2025

  © Susanne Ulbrich  
Calvia quatuordecimguttata
Chemnitz, Mai 2025

Imago
  © Michael Weiß  
Calvia quatuordecimguttata
Chemnitz, Mai 2025

Imago
  © Michael Weiß  
Calvia quatuordecimguttata
Chemnitz, Mai 2025

Imago
  © Michael Weiß  
Calvia quatuordecimguttata
Chemnitz, Mai 2025

Imago
  © Michael Weiß  
Calvia quatuordecimguttata
Röhrsdorf, Landkreis Meißen, April 2025

Imago
  © Torsten Loos  
Calvia quatuordecimguttata
Dresden, Mai 2025

Imago
  © Katrin Ritter  
Calvia quatuordecimguttata
Dresden, Mai 2025

Imago
  © Katrin Ritter  
Calvia quatuordecimguttata
Dresden, Mai 2025

Imago
  © Katrin Ritter  
Calvia quatuordecimguttata
Schönau-Berzdorf auf dem Eigen, Landkreis Görlitz, Mai 2025

Imago
  © Vincent Böhm  
Calvia quatuordecimguttata
Pöhla, Luchsbachtal, 28. April 2025

Imago
  © Uwe Kaettniß  
Calvia quatuordecimguttata
Radebeul, April 2025

Imago
  © Steffen Hintersaß  
Calvia quatuordecimguttata
Radebeul, April 2025

Imago Männchen Weibchen
  © Steffen Hintersaß  
Calvia quatuordecimguttata
Breitenau, Landkreis Mittelsachsen, April 2025

Imago
  © Angelika Alexowsky  
Calvia quatuordecimguttata
Pöhla, Luchsbachtal, 12. April 2025

Imago
  © Uwe Kaettniß  
Calvia quatuordecimguttata
Chemnitz, März 2025

Imago
  © Benjamin Franke  
Calvia quatuordecimguttata
SW294 Chemnitz-Hilbersdorf, April 2024

Imago Männchen Weibchen
  © Benjamin Franke  
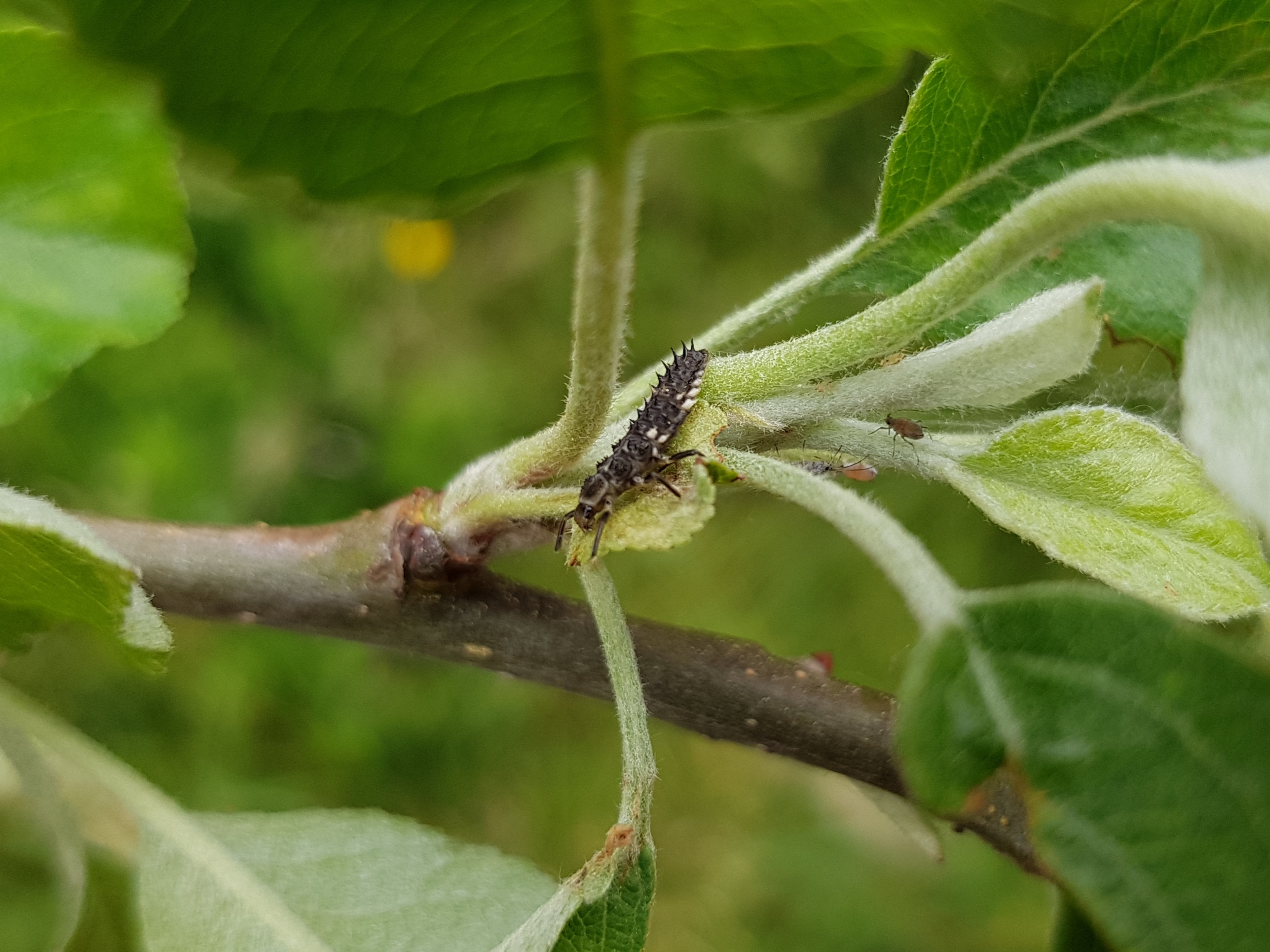
Calvia quatuordecimguttata
Senftenberg, Mai 2024

Larve
  © Erhard Gleinig  
Calvia quatuordecimguttata
Senftenberg, Mai 2024

Larve
  © Erhard Gleinig  
Calvia quatuordecimguttata
Senftenberg, Mai 2024

Larve
  © Erhard Gleinig  
Calvia quatuordecimguttata
FND Zedtlitzer Grund bei Borna, Mai 2024

Larve
  © Tilmann Adler  
Calvia quatuordecimguttata
FND Zedtlitzer Grund bei Borna, Mai 2024

Larve
  © Tilmann Adler  
Calvia quatuordecimguttata
NSG Prießnitz (Frohburg), Mai 2024

Larve
  © Tilmann Adler  
Calvia quatuordecimguttata
NSG Prießnitz (Frohburg), Mai 2024

Larve
  © Tilmann Adler  
Calvia quatuordecimguttata
Küchwaldpark Chemnitz, Juli 2024

Imago
  © Tilmann Adler  
Calvia quatuordecimguttata
Dresden, Mai 2024

Larve
  © Katja Miersch  
Calvia quatuordecimguttata
Dresden, Mai 2024

Larve
  © Katja Miersch  
Calvia quatuordecimguttata
Pöhla, Luchsbachtal, 21. Oktober 2024

Imago
  © Uwe Kaettniß  
Calvia quatuordecimguttata
Frohburg OT Prießnitz, April 2024

Imago Männchen Weibchen
  © Michael Happ  
Calvia quatuordecimguttata
Orzysz, August 2024

Imago
  © Matthias Nuß  
Calvia quatuordecimguttata
Behlitz, Mai 2024

Imago
  © Michael Happ  
Calvia quatuordecimguttata
Behlitz, Mai 2024

Imago
  © Michael Happ  
Calvia quatuordecimguttata
Burgstädt, Landkreis Mittelsachsen, Juni 2024

Imago
  © Levi Berger  
Calvia quatuordecimguttata
Chemnitz, Juni 2024

Imago
  © Michael Weiß  
Calvia quatuordecimguttata
Chemnitz, Juni 2024

Imago
  © Michael Weiß  
Calvia quatuordecimguttata
Radebeul, Landkreis Meißen, Juni 2024

Imago
  © Gudrun Scheibe  
Calvia quatuordecimguttata
NSG Prießnitz (Frohburg), Mai 2024

Imago
  © Tilmann Adler  
Calvia quatuordecimguttata
NSG Prießnitz (Frohburg), Mai 2024

Imago
  © Tilmann Adler  
Calvia quatuordecimguttata
NSG Am Spitzberg (Lossatal), Mai 2024

Imago
  © Tilmann Adler  
Calvia quatuordecimguttata
NSG Am Spitzberg (Lossatal), Mai 2024

Imago
  © Tilmann Adler  
Calvia quatuordecimguttata
NSG Am Spitzberg (Lossatal), Mai 2024

Imago
  © Tilmann Adler  
Calvia quatuordecimguttata
Pöhla, Luchsbachtal, 08. Mai 2024

Imago
  © Uwe Kaettniß  
Calvia quatuordecimguttata
Grünhain-Beierfeld, Erzgebirgskreis, Mai 2024

Imago
  © Jörg Teumer  
Calvia quatuordecimguttata
Pöhla, Luchsbachtal, 18. April 2024

Imago
  © Uwe Kaettniß  
Calvia quatuordecimguttata
Altenhain, Landkreis Leipzig, Juni 2024

Imago
  © Michael Volpert  
Calvia quatuordecimguttata
Constappel, April 2024

Imago
  © Steffen Hintersaß  
Calvia quatuordecimguttata
Bad Brambach, 11. Mai 2024

Imago
  © Wolfgang Dietrich  
Calvia quatuordecimguttata
Wildenhain, Landkreis Meißen, April 2024

Imago
  © Jörg Teumer  
Calvia quatuordecimguttata
Hutberg bei Dresden-Schönborn, April 2024

Imago
  © Tilmann Adler  
Calvia quatuordecimguttata
Hutberg bei Dresden-Schönborn, April 2024

Imago
  © Tilmann Adler  
Calvia quatuordecimguttata
Förstgen-Ost, Landkreis Görlitz, Mai 2024

Imago
  © Jörg Teumer  
Calvia quatuordecimguttata
am Licht - Westlausitz, nahe Grubenteich nordw. Rammenau, 1. Mai 2024

Imago
  © Gert Schulze  
Calvia quatuordecimguttata
Königsbrück, April 2024

Imago
  © Peter Diehl  
Calvia quatuordecimguttata
Königsbrück, April 2024

Imago
  © Peter Diehl  
Calvia quatuordecimguttata
Radebeul, April 2024

Imago
  © Steffen Hintersaß  
Calvia quatuordecimguttata
Arnsdorf, April 2024

Imago
  © Peter Diehl  
Calvia quatuordecimguttata
Dresden-Klotzsche, Anfang April 2023

Imago
  © Katrin Schniebs  
Calvia quatuordecimguttata
Pöhla, Luchsbachtal, 13. April 2024

Imago
  © Uwe Kaettniß  
Calvia quatuordecimguttata
Großenhain, Landkreis Meißen, April 2024

Imago
  © Jens Tomasini  
Calvia quatuordecimguttata
Pöhla, Luchsbachtal, 14. April 2024

Imago
  © Uwe Kaettniß  
Calvia quatuordecimguttata
Lauta, Landkreis Bautzen, 10. April 2024

Imago
  © Antje Weiß  
Calvia quatuordecimguttata
Pöhla, Luchsbachtal, 07. April 2024

Imago
  © Uwe Kaettniß  
Calvia quatuordecimguttata
Cottbus - Chóśebuz, 07. April 2024

Imago
  © Doreen Post  
Calvia quatuordecimguttata
Dresden, 09. April 2024

Imago
  © Andreas Post  
Calvia quatuordecimguttata
Straßgräbchen, Landkreis Bautzen, März 2024

Imago
  © Jörg Teumer  
Calvia quatuordecimguttata
Lauta Dorf, Landkreis Bautzen, 01. April 2024

Imago
  © Antje Weiß  
Calvia quatuordecimguttata
Lauta Dorf, Landkreis Bautzen, 01. April 2024

Imago
  © Antje Weiß  
Calvia quatuordecimguttata
Hirschfeld, Landkreis Zwickau, Mai 2023

Imago
  © Stefan Werner  
Calvia quatuordecimguttata
Lärchenberg Schirigiswalde, Juni 2023

Larve
  © Tilmann Adler  
Calvia quatuordecimguttata
Lärchenberg Schirigiswalde, Juni 2023

Larve
  © Tilmann Adler  
Calvia quatuordecimguttata
Radebeul, Mai 2022

Imago
  © Steffen Hintersaß  
Calvia quatuordecimguttata
Freidorf, Landkreis Dahme-Spreewald, Dezember 2018

Imago
  © Reinhard Weidlich  
Calvia quatuordecimguttata
NaturFreundehaus Grethen, Parthenstein, Juli 2023

Imago
  © Tilmann Adler  
Calvia quatuordecimguttata
NaturFreundehaus Grethen, Parthenstein, Juli 2023

Imago
  © Tilmann Adler  
Calvia quatuordecimguttata
Prießnitz, Mai 2023

Imago
  © Michael Happ  
Calvia quatuordecimguttata
Prießnitz, Mai 2023

Imago
  © Michael Happ  
Calvia quatuordecimguttata
Prießnitz, Mai 2023

Imago
  © Michael Happ  
Calvia quatuordecimguttata
am Licht - Westlausitz, Gipfel Hutberg bei Kamenz, 2. Oktober 2023

Imago
  © Gert Schulze  
Calvia quatuordecimguttata
Hutberg Kamenz, Oktober 2023

Imago
  © Tilmann Adler  
Calvia quatuordecimguttata
am Ochsenberg bei Neukirch/Kamenz, Juli 2023

Imago
  © Tilmann Adler  
Calvia quatuordecimguttata
am Ochsenberg bei Neukirch/Kamenz, Juli 2023

Imago
  © Tilmann Adler  
Calvia quatuordecimguttata
am Ochsenberg bei Neukirch/Kamenz, Juli 2023

Imago
  © Tilmann Adler  
Calvia quatuordecimguttata
Radebeul, Mai 2023

Imago
  © Steffen Hintersaß  
Calvia quatuordecimguttata
KGV Alte Elbe/Frauensteiner Platz, Dresden , Jul 2023

Imago
  © Stefanie Mösch  
Calvia quatuordecimguttata
am Licht - Königsbrück-Ruhlander Heiden, südwestlich Ochsenberg bei Kamenz (ehem. Ziegelei), 19. Juni 2023

Imago
  © Gert Schulze  
Calvia quatuordecimguttata
Seelingstädt Trebsen/Mulde, Mai 2023

Imago
  © Tilmann Adler  
Calvia quatuordecimguttata
Seelingstädt Trebsen/Mulde, Mai 2023

Imago
  © Tilmann Adler  
Calvia quatuordecimguttata
Moritzburg, Juni 2023

Imago
  © Steffen Hintersaß  
Calvia quatuordecimguttata
Vierzehntropfiger Marienkäfer (Calvia quatuordecimguttata (Linnaeus, 1758)) Dresden, Juni 2023

Imago
  © Katrin Ritter  
Calvia quatuordecimguttata
Altdöbern, Landkreis Oberspreewald-Lausitz, 30. Mai 2023

Imago
  © Antje Weiß  
Calvia quatuordecimguttata
Pöhla, Luchsbachtal, 16. Mai 2023

Imago
  © Uwe Kaettniß  
Calvia quatuordecimguttata
Neukirch/Lausitz, Landkreis Bautzen, Mai 2023

Imago
  © Robert Michalk  
Calvia quatuordecimguttata
bei Fehrow, 19. Mai 2023

Imago
  © Martin Feike  
Calvia quatuordecimguttata
Radebeul, Mai 2023

Imago
  © Steffen Hintersaß  
Calvia quatuordecimguttata
Kaditz, Mai 2023

Imago
  © Steffen Hintersaß  
Calvia quatuordecimguttata
Moritzburg, Mai 2023

Imago
  © Steffen Hintersaß  
Calvia quatuordecimguttata
NaturFreundehaus Grethen, Parthenstein, Mai 2023

Imago
  © Tilmann Adler  
Calvia quatuordecimguttata
NaturFreundehaus Grethen, Parthenstein, Mai 2023

Imago
  © Tilmann Adler  
Calvia quatuordecimguttata
Steinigtwolmsdorf, Landkreis Bautzen, 25. Mai 2023

Imago
  © Antje Weiß  
Calvia quatuordecimguttata
Steinigtwolmsdorf, Landkreis Bautzen, 25. Mai 2023

Imago
  © Antje Weiß  
Calvia quatuordecimguttata
Grimma, Mai 2023

Imago
  © Tilmann Adler  
Calvia quatuordecimguttata
Grimma, Mai 2023

Imago
  © Tilmann Adler  
Calvia quatuordecimguttata
am Licht - Oberlausitzer Heide- und Teichgebiet, Südrand NSG Dubringer Moor, 20. Mai 2023

Imago
  © Gert Schulze  
Calvia quatuordecimguttata
Trossin, Nordsachsen, 21.05.2023

Imago
  © Jean-Paul Israel  
Calvia quatuordecimguttata
Trossin, Nordsachsen, 21.05.2023

Imago
  © Jean-Paul Israel  
Calvia quatuordecimguttata
am Licht - Königsbrück-Ruhlander Heiden, Ochsenberg, Kiesgrube am Waldrand bei Gottschdorf, 22. Mai 2023

Imago
  © Gert Schulze  
Calvia quatuordecimguttata
Dresden, 23. Mai 2023

Imago
  © Andreas Post  
Calvia quatuordecimguttata
Lieske, Landkreis Oberspreewald-Lausitz, 12. Mai 2023

Imago
  © Antje Weiß  
Calvia quatuordecimguttata
Otterschütz, 08. Mai 2023, mehrere an Grauweide

Imago
  © Antje Weiß  
Calvia quatuordecimguttata
Klein Partwitz - Bjezdowy, Landkreis Bautzen, 10. Mai 2023, auf verlaustem Weißdorn in größerer Stückzahl

Imago
  © Antje Weiß  
Calvia quatuordecimguttata
Radebeul, Mai 2023

Imago
  © Steffen Hintersaß  
Calvia quatuordecimguttata
Biehla, 08. Mai 2023, mehrere Tiere auf Grauweide

Imago
  © Antje Weiß  
Calvia quatuordecimguttata
Biehla, 08. Mai 2023, mehrere Tiere auf Grauweide

Imago
  © Antje Weiß  
Calvia quatuordecimguttata
Schwarzkollm - Corny Cholmc, Landkreis Bautzen, 08. Mai 2023

Imago
  © Antje Weiß  
Calvia quatuordecimguttata
Johannisthal, Landkreis Bautzen, 03. Mai 2023

Imago
  © Antje Weiß  
Calvia quatuordecimguttata
Bröthen - Brětnja, Landkreis Bautzen, 03.Mai 2023

Imago
  © Antje Weiß  
Calvia quatuordecimguttata
Lauta Dorf, Landkreis Bautzen, 03. Mai 2023, sehr viele auf verlaustem Weißdorn

Imago
  © Antje Weiß  
Calvia quatuordecimguttata
Hohenprießnitz, Landkreis Nordsachsen, April 2023

Imago
  © Michael Happ  
Calvia quatuordecimguttata
Hohenprießnitz, Landkreis Nordsachsen, April 2023

Imago
  © Michael Happ  
Calvia quatuordecimguttata
Hohenprießnitz, Landkreis Nordsachsen, April 2023

Imago
  © Michael Happ  
Calvia quatuordecimguttata
Kyffhäuserland-Badra, April 2023

Imago
  © Benjamin Franke  
Calvia quatuordecimguttata
Lautaer Feuchtheide, 22.April 2023, zahlreich an Salix

Imago
  © Antje Weiß  
Calvia quatuordecimguttata
Lautaer Feuchtheide, 22.April 2023, zahlreich an Salix

Imago
  © Antje Weiß  
Calvia quatuordecimguttata
Lautaer Feuchtheide, 22.April 2023, zahlreich an Salix

Imago
  © Antje Weiß  
Calvia quatuordecimguttata
Pöhlberg, 22. April 2023

Imago
  © Wolfgang Dietrich  
Calvia quatuordecimguttata
Radebeul, Mai 2020

Larve
  © Steffen Hintersaß  
Calvia quatuordecimguttata
Grumsiner Forst bei Luisenfelde (Angermünde), Juni 2022

Larve
  © Bernd Garbe  
Calvia quatuordecimguttata
Vierzehntropfiger Marienkäfer (Calvia quatuordecimguttata (Linnaeus, 1758)) Kreischa, Mai 2022

Larve
  © Katrin Ritter  
Calvia quatuordecimguttata
Pöhla, Luchsbachtal, 31. Mai 2022

Larve
  © Uwe Kaettniß  
Calvia quatuordecimguttata
Plauen, Mai 2012

Imago Männchen Weibchen
  © Steffen Hintersaß  
Calvia quatuordecimguttata
Plauen, Mai 2009

Imago Männchen Weibchen
  © Steffen Hintersaß  
Calvia quatuordecimguttata
Moritzburg, April 2023

Imago
  © Steffen Hintersaß  
Calvia quatuordecimguttata
Großräschen, Landkreis Oberspreewald-Lausitz, 10. April 2023

Imago
  © Andreas Post  
Calvia quatuordecimguttata
Großräschen, Landkreis Oberspreewald-Lausitz, 10. April 2023

Imago
  © Andreas Post  
Calvia quatuordecimguttata
Meißen , Mrz 2023

Imago
  © Thea Lautenschläger  
Calvia quatuordecimguttata
Pöhla, Luchsbachtal, 21. März 2023

Imago
  © Uwe Kaettniß  
Calvia quatuordecimguttata
Radebeul, Mai 2020

Imago
  © Steffen Hintersaß  
Calvia quatuordecimguttata
Radebeul, Mai 2020

Imago
  © Steffen Hintersaß  
Calvia quatuordecimguttata
Belgershain, November 2022

Imago
  © Helene Otto  
Calvia quatuordecimguttata
Pöhla, Luchsbachtal, 28. Oktober 2022

Imago
  © Uwe Kaettniß  
Calvia quatuordecimguttata
Garten in Dresden-Mockritz, September 2022

Imago
  © Jörg Hartmann  
Calvia quatuordecimguttata
Dresden-Klotzsche, Mai 2021

Imago
  © Andrea Oertel  
Calvia quatuordecimguttata
Lauta Dorf, 01. Juni 2022

Imago
  © Antje Weiß  
Calvia quatuordecimguttata
Lauta-Dorf, Mai 2022, auf verlaustem Weißdorn

Imago
  © Antje Weiß  
Calvia quatuordecimguttata
FND Weiße Berge bei Neukirch, Juni 2022

Imago
  © Tilmann Adler  
Calvia quatuordecimguttata
FND Weiße Berge bei Neukirch, Juni 2022

Imago
  © Tilmann Adler  
Calvia quatuordecimguttata
NSG Ruhmberg/Parthe, August 2022

Imago
  © Tilmann Adler  
Calvia quatuordecimguttata
Annaberg-Buchholz, 02. Mai 2022

Imago
  © Wolfgang Dietrich  
Calvia quatuordecimguttata
Rohrbach, April 2022

Imago Männchen Weibchen
  © Helene Otto  
Calvia quatuordecimguttata
Radebeul, April 2022

Imago
  © Steffen Hintersaß  
Calvia quatuordecimguttata
Radebeul, April 2022

Imago
  © Steffen Hintersaß  
Calvia quatuordecimguttata
Glashütte, Juni 2022

Imago
  © Stefan Höhnel  
Calvia quatuordecimguttata
Glashütte, Juni 2022

Imago
  © Stefan Höhnel  
Calvia quatuordecimguttata
Glashütte, Juni 2022

Imago
  © Stefan Höhnel  
Calvia quatuordecimguttata
Vierzehntropfiger Marienkäfer (Calvia quatuordecimguttata (Linnaeus, 1758)) Kreischa, Mai 2022

Imago
  © Katrin Ritter  
Calvia quatuordecimguttata
Olbersdorf, Oktober 2020

Imago
  © Antje Weiß  
Calvia quatuordecimguttata
Olbersdorf, Oktober 2020

Imago
  © Antje Weiß  
Calvia quatuordecimguttata
Markneukirchen-Wohlhausen, 16.06.2020

Larve
  © Matthias Nuß  
Calvia quatuordecimguttata
Östliches Harzvorland, Naturpark „Unteres Saaletal" - Franzigmark zw. Alaune und Brachwitz, 6. Mai 2021

Imago
  © Gert Schulze  
Calvia quatuordecimguttata
Wurzelberge bei Parstein (Brandenburg), 19.10.2021

Imago
  © Bernd Garbe  
Calvia quatuordecimguttata
Hoyerswerda, 31.05.2021

Imago
  © Martina Görner  
Calvia quatuordecimguttata
Chemnitz-Hilbersdorf Schmetterlingswiese 294 BUND, Mai 2021

Imago Männchen Weibchen
  © Benjamin Franke  
Calvia quatuordecimguttata
Radebeul, 19.05.2020

Imago
  © Steffen Hintersaß  
Calvia quatuordecimguttata
Torno, 18.06.2021, auf Haselnuss

Imago
  © Antje Weiß  
Calvia quatuordecimguttata
Chemnitz-Hilbersdorf, 18.05.2021

Imago
  © Benjamin Franke  
Calvia quatuordecimguttata
Volkersdorf, 23.05.2021

Imago
  © Steffen Hintersaß  
Calvia quatuordecimguttata
Vierzehntropfiger Marienkäfer (Calvia quatuordecimguttata (Linnaeus, 1758)), Lüptitz, 24.05.2021

Imago
  © Michael Volpert  
Calvia quatuordecimguttata
Naturschutzstation Herrenhaide, Burgstädt, 08.06.2021

Imago
  © Joachim Röder  
Calvia quatuordecimguttata
Garten in Dresden-Mockritz, 13.06.2021

Imago
  © Jörg Hartmann  
Calvia quatuordecimguttata
Dresden, 30.05.2021

Imago
  © Andreas Post  
Calvia quatuordecimguttata
Chemnitz-Schloßchemnitz, Mai 2021

Imago
  © Benjamin Franke  
Calvia quatuordecimguttata
Vierzehntropfiger Marienkäfer (Calvia quatuordecimguttata (Linnaeus, 1758)) im Zschonerrgund Dresden, 15.05.2021

Imago
  © Katrin Ritter  
Calvia quatuordecimguttata
Geierswalde, 16.05.2021, auf Weißdorn, am Wasserwerk Kortitzmühle

Imago
  © Antje Weiß  
Calvia quatuordecimguttata
Westlausitz, Ohorn, 01.05.2021

Imago
  © Gert Schulze  
Calvia quatuordecimguttata
Chemnitz-Hilbersdorf, 21.04.2021

Imago
  © Benjamin Franke  
Calvia quatuordecimguttata
Wald bei Neuendorf-Heide (Landkreis Vorpommern-Rügen), 29.03.2021

Imago
  © Martin Feike  
Calvia quatuordecimguttata
Niederwiesa, 31.05.2020

Larve
  © Benjamin Franke, Alexis Franke, Daniela Hollstein  
Calvia quatuordecimguttata
Badra, 21.05.2020

Imago
  © Benjamin Franke  
Calvia quatuordecimguttata
Wallengrün, Mai 2020

Imago
  © Daniel Werner  
Calvia quatuordecimguttata
Vierzehntropfiger Marienkäfer, am Mündesee, Angermünde, 25.04.2020

Imago
  © Bernd Garbe  
Calvia quatuordecimguttata
Chemnitz-Hilbersdorf, 27.05.2020

Imago
  © Benjamin Franke  
Calvia quatuordecimguttata
Vierzehntropfiger Marienkäfer im Tharandter Wald am Triebischsee, 10.07.2020

Imago
  © Lothar Brümmer  
Calvia quatuordecimguttata
Vierzehntropfiger Marienkäfer im Tharandter Wald am Triebischsee, 10.07.2020

Imago
  © Lothar Brümmer  
Calvia quatuordecimguttata
Vierzehntropfiger Marienkäfer im Tharandter Wald am Triebischsee, 10.07.2020

Imago
  © Lothar Brümmer  
Calvia quatuordecimguttata
Vierzehntropfiger Marienkäfer (Calvia quatuordecimguttata (Linnaeus, 1758)) am 24.05.2020 in Panitzsch

Imago
  © Michael Volpert  
Calvia quatuordecimguttata
Vierzehntropfiger Marienkäfer (Calvia quatuordecimguttata (Linnaeus, 1758)) am 24.05.2020 in Panitzsch

Imago
  © Michael Volpert  
Calvia quatuordecimguttata
Plauen / Vogtland, 11.04.2020

Imago
  © Steffen Hintersaß  
Calvia quatuordecimguttata
Plauen / Vogtland, 11.04.2020

Imago
  © Steffen Hintersaß  
Calvia quatuordecimguttata
Vierzehntropfiger Marienkäfer (Calvia quatuordecimguttata (Linnaeus, 1758)) im Zschonergrund Dresden, 16.04.2020

Imago Männchen Weibchen
  © Katrin Ritter  
Calvia quatuordecimguttata
Annaberg-Buchholz, Pöhlberg, 07.04.2020

Imago
  © Wolfgang Dietrich  
Calvia quatuordecimguttata
Chemnitz Zeisigwald, 21.05.2019

Larve
  © Benjamin Franke  
Calvia quatuordecimguttata
Chemnitz Zeisigwald, 21.05.2019

Larve
  © Benjamin Franke  
Calvia quatuordecimguttata
Vierzehntropfiger Marienkäfer, in den Wurzelbergen bei Parstein (Brandenburg), Anfang Mai .2019

Imago
  © Bernd Garbe  
Calvia quatuordecimguttata
Schmetterlingswiese 294, Chemnitz-Hilbersdorf 17.05.2019

Imago
  © Benjamin Franke  
Calvia quatuordecimguttata
Schmetterlingswiese 294, Chemnitz-Hilbersdorf 17.05.2019

Imago
  © Benjamin Franke  
Calvia quatuordecimguttata
Vierzehntropfiger Marienkäfer (Calvia quatuordecimguttata (Linnaeus, 1758)) am 5.6.2019 im Zschonergrund Dresden

Imago
  © Katrin Ritter  
Calvia quatuordecimguttata
Finnland, Ivalo, Päivätupa am Ivalojoki, August 2019

Imago
  © Michael Happ  
Calvia quatuordecimguttata
Vierzehntropfiger Marienkäfer (Calvia quatuordecimguttata (Linnaeus, 1758)), Oelsnitz/Erzgebirge, Anfang April

Imago
  © Katrin Schniebs  
Calvia quatuordecimguttata
Vierzehntropfiger Marienkäfer (Calvia quatuordecimguttata (Linnaeus, 1758)) ehemaliger Steinbruch Zeisigwald Chemnitz April 2019

Imago
  © Benjamin Franke  
Calvia quatuordecimguttata
Vierzehntropfiger Marienkäfer (Calvia quatuordecimguttata (Linnaeus, 1758)) ehemaliger Steinbruch Zeisigwald Chemnitz April 2019

Imago
  © Benjamin Franke  
Calvia quatuordecimguttata
Vierzehntropfiger Marienkäfer (Calvia quatuordecimguttata (Linnaeus, 1758)) ehemaliger Steinbruch Zeisigwald Chemnitz April 2019

Imago
  © Benjamin Franke  
Calvia quatuordecimguttata
Vierzehntropfiger Marienkäfer (Calvia quatuordecimguttata (Linnaeus, 1758)), Mitte April 2019, Hoyerswerda Klein Neida

Imago
  © Martina Görner  
Calvia quatuordecimguttata
Belegexemplar gesammelt an Erlenaufwuchs am Tobafluß, Coast Mountains, British Columbia, Kanada, 04.07.2018, leg. K. Schiffnederová & M. Nuß, coll. Senckenberg Museum für Tierkunde Dresden

Imago
  © Matthias Nuß  
Calvia quatuordecimguttata
Vierzehntropfiger Marienkäfer (Calvia quatuordecimguttata (Linnaeus, 1758)) am 21.06.2017 in Dresden auf meinem Autodach.

Imago
  © Lothar Brümmer  
Calvia quatuordecimguttata
Vierzehntropfiger Marienkäfer auf Streuobstwiese im Vogtland, Mai 2018.

Imago
  © Daniel Werner  
Calvia quatuordecimguttata
an Erlenaufwuchs am Tobafluß. Coast Mountains, British Columbia, Kanada, 01.07.2018

Imago
  © Matthias Nuß  
Calvia quatuordecimguttata
an Erlenaufwuchs am Tobafluß. Coast Mountains, British Columbia, Kanada, 01.07.2018

Imago
  © Matthias Nuß  
Calvia quatuordecimguttata
an Erlenaufwuchs am Tobafluß. Coast Mountains, British Columbia, Kanada, 01.07.2018

Imago
  © Matthias Nuß  
Calvia quatuordecimguttata
Tier in der Nähe des Göbelner Gänseteiches, Landkreis Bautzen, am 20.05.2018.

Imago
  © Dr. Bernhard Karich  
Calvia quatuordecimguttata
Tier in der Nähe des Göbelner Gänseteiches, Landkreis Bautzen, am 20.05.2018.

Imago
  © Dr. Bernhard Karich  
Calvia quatuordecimguttata
Vierzehntropfiger Marienkäfer (Calvia quatuordecimguttata), Plauen/Vogtland, Nach den drei Bergen, April 2018

Imago
  © Steffen Hintersaß  
Calvia quatuordecimguttata
Vierzehntöpfiger Marienkäfer, Hochhalde Trages bei Espenhain, Juli 2017

Imago
  © Bernd Garbe  
Calvia quatuordecimguttata
Gemarkung Hohenprießnitz, Juni 2017

Imago
  © Michael Happ  
Calvia quatuordecimguttata
Calvia quatuordecimguttata in der Gemarkung Hohenprießnitz, Juni 2017

Imago
  © Michael Happ  
Calvia quatuordecimguttata
Vierzehntropfiger Marienkäfer (Calvia quatuordecimguttata), Plauen/Vogtland, Mai 2106

Imago
  © Steffen Hintersaß  
Calvia quatuordecimguttata
Vierzehntropfiger Marienkäfer am 10.05.2012 im Tharandter Wald am Wiesenweg

Imago
  © Lothar Brümmer  
Calvia quatuordecimguttata
Vierzehntropfiger Marienkäfer im Mai 2015, Nationalpark Sächsische Schweiz

Imago
  © Tilmann Adler  
Calvia quatuordecimguttata
Calvia quatuordecimguttata im Mai 2015, Talsperre Wallroda

Imago
  © Tilmann Adler  
Calvia quatuordecimguttata
Calvia quatuordecimguttata im Mai 2015, Talsperre Wallroda

Imago
  © Tilmann Adler  
Calvia quatuordecimguttata
Vierzehntropfiger Marienkäfer (Calvia quatuordecimguttata ) April 2015 Saubachtal bei Constappel

Imago
  © Steffen Hintersaß  
Calvia quatuordecimguttata
Vierzehntropfiger Marienkäfer im Juni 2014, Talsperre Wallroda im LSG Massenei

Imago
  © Tilmann Adler  
Calvia quatuordecimguttata
Vierzehntropfiger Marienkäfer im Juni 2014, Talsperre Wallroda im LSG Massenei

Imago
  © Tilmann Adler  
Calvia quatuordecimguttata
Radebeul-Zitzschewig, 27.04.2014

Imago Männchen Weibchen
  © Franziska Bauer  
Calvia quatuordecimguttata
Vierzehntropfiger Marienkäfer nähe Talsperre Wallroda, 2013

Imago
  © Tilmann Adler  
Calvia quatuordecimguttata
Calvia quatuordecimguttata vom 14.06.2008 aus Steinbach bei Moritzburg

Imago
  © Eva-Maria Bäßler  
Calvia quatuordecimguttata
Kopulierende Vierzehntropfiger Marienkäfer bei Radeberg im April 2008

Imago Männchen Weibchen
  © Udo Lemke  
Calvia quatuordecimguttata
Vierzehntropfiger Marienkäfer auf einem Blatt der Echten Mehlbeere. Radeberg, August 2008

Imago
  © Udo Lemke  
Calvia quatuordecimguttata
Calvia quatuordecimguttata in Radebeul, April 2011

Imago
  © Steffen Hintersaß  
 
Login
Termine (Archiv)
Statistik
  • 662517 Beobachtungen
  • 351408 Onlinemeldungen
  • 4190 Steckbriefe
  • 289696 Fotos
  • 12143 Arten mit Fund
  • 6793 Arten mit Fotos

      

Verwendung von Cookies

Wir verwenden Cookies ausschließlich, um diese Website für Sie optimal zu gestalten und fortlaufend verbessern zu können. Durch die weitere Nutzung der Webseite stimmen Sie der Verwendung von Cookies zu.