Gestreifte Eichengallwespe (Cynips longiventris Hartig, 1840)

DE Deutschland , DE-SN Sachsen Druckansicht

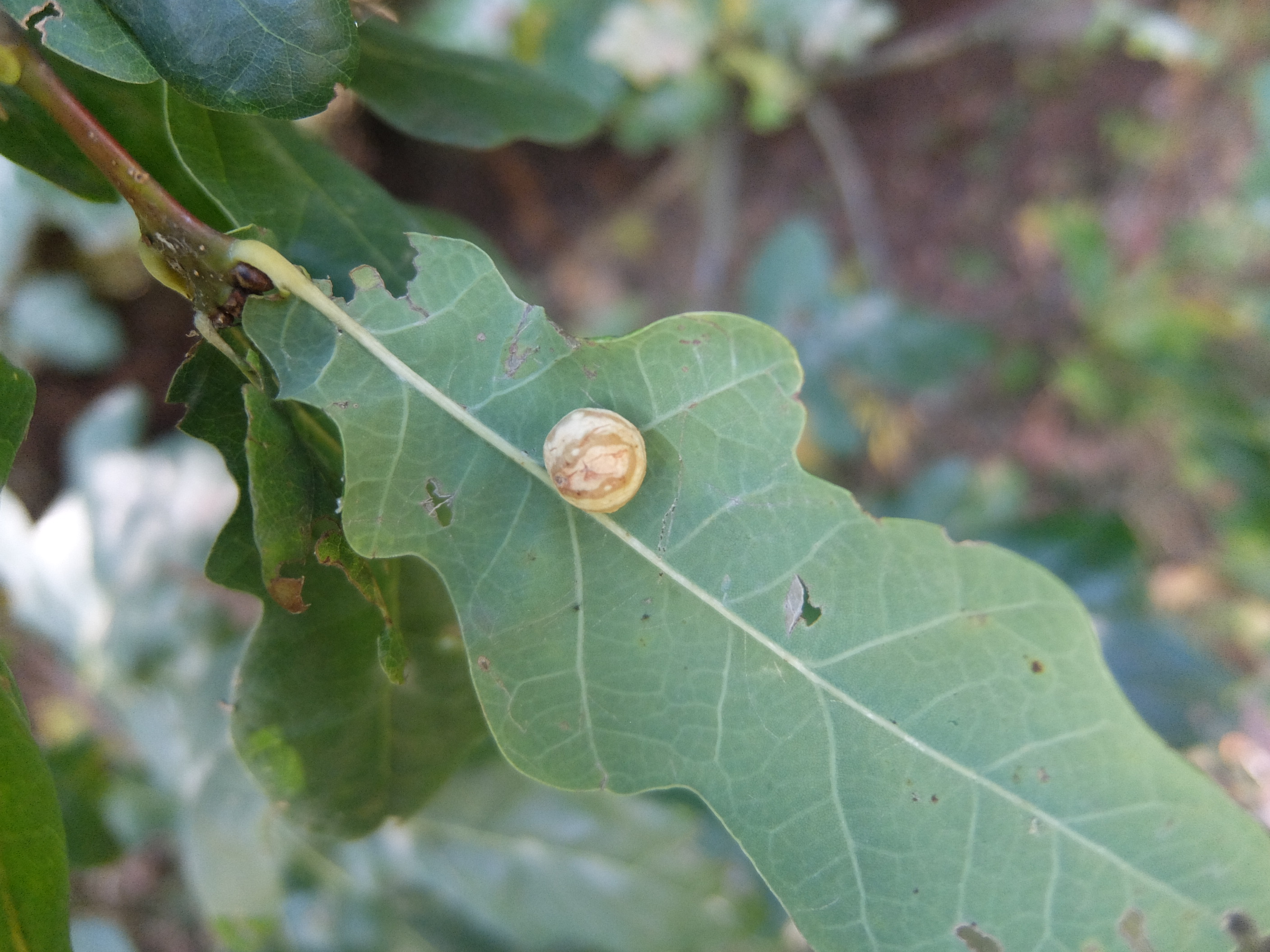
Cynips longiventris
Kemberg, Landkreis Wittenberg, September 2025

Larve
  © Andreas Töpfer  
Cynips longiventris
Schönbeck, Landkreis Mecklenburgische Seenplatte, August 2017

Larve
  © Nadine König  
Cynips longiventris
Schönbeck, Landkreis Mecklenburgische Seenplatte, August 2017

Larve
  © Nadine König  
Cynips longiventris
Chemnitz-Röhrsdorf, August 2024

  © Benjamin Franke  
Cynips longiventris
Brodau, Landkreis Nordsachsen, November 2025

  © Martin Middendorf  
Cynips longiventris
Arnsdorf, Januar 2025

  © Peter Diehl  
Cynips longiventris
Arnsdorf, Januar 2025

  © Peter Diehl  
Cynips longiventris
St. Egidien, Landkreis Zwickau, Juni 2025

  © Frank Nebe  
Cynips longiventris
Wurzen, Juli 2025

  © Michael Volpert  
Cynips longiventris
Leippe-Torno, Landkreis Bautzen, 15. Oktober 2024

  © Antje Weiß  
Cynips longiventris
Leippe-Torno, Landkreis Bautzen, 15. Oktober 2024

  © Antje Weiß  
Cynips longiventris
Lauta Dorf, Landkreis Bautzen, 30. September 2024

  © Antje Weiß  
Cynips longiventris
Meißen, Aug 2024

  © Tommy Kästner  
Cynips longiventris
Porphyr-Felskuppe bei Leulitz, August 2022

  © Tilmann Adler  
Cynips longiventris
Ochsenberg bei Neukirch/Kamenz, August 2022

  © Tilmann Adler  
Cynips longiventris
Schwepnitz, Landkreis Bautzen, Oktober 2022

  © Tilmann Adler  
Cynips longiventris
Gottschdorf, Juli 2023

  © Tilmann Adler  
Cynips longiventris
Küchwaldpark Chemnitz, Juli 2024

  © Tilmann Adler  
Cynips longiventris
Küchwaldpark Chemnitz, Juli 2024

  © Tilmann Adler  
Cynips longiventris
Küchwaldpark Chemnitz, Juli 2024

  © Tilmann Adler  
Cynips longiventris
Wiednitz, Landkreis Bautzen, Februar 2024, an herabgefallenem Vorjahreslaub

  © Antje Weiß  
Cynips longiventris
Leippe-Torno, Landkreis Bautzen, 25. Juni 2023

  © Antje Weiß  
Cynips longiventris
Bad Elster, Gallen an Quercus robur, 23. September 2021

  © Wolfgang Dietrich  
Cynips longiventris
Leulitz, Juli 2023

  © Eva-Maria Bäßler  
Cynips longiventris
Leippe-Torno, Landkreis Bautzen, 20.September 2023

  © Antje Weiß  
Cynips longiventris
Wittichenau - Kulow, September 2022

  © Antje Weiß  
Cynips longiventris
Wittichenau - Kulow, September 2022

  © Antje Weiß  
Cynips longiventris
Chemnitz, Januar 2022

  © Benjamin Franke  
Cynips longiventris
Stadtpark Lauta, Landkreis Bautzen, 02. November 2022, in herabgefallenem Laub

  © Antje Weiß  
Cynips longiventris
Stadtpark Lauta, Landkreis Bautzen, 02. November 2022, in herabgefallenem Laub

  © Antje Weiß  
Cynips longiventris
Leippe, 07. September 2022, an Stieleiche

  © Antje Weiß  
Cynips longiventris
Leippe, 07. September 2022, an Stieleiche

  © Antje Weiß  
Cynips longiventris
Schwepnitz, Landkreis Bautzen, Oktober 2022

  © Tilmann Adler  
Cynips longiventris
Tharandt, November 2021

Larve
  © Nadine König  
Cynips longiventris
Tharandt, November 2021

Larve
  © Nadine König  
Cynips longiventris
Chemnitz-Furth, Dezember 2021

  © Benjamin Franke  
Cynips longiventris
Köbeln bei Bad Muskau, September 2021

  © Tilmann Adler  
Cynips longiventris
Bad Elster, Bärenloh, Galle an Quercus robur, 12.09.2021

  © Wolfgang Dietrich  
Cynips longiventris
Galle von Cynips longiventris, Görlsdorfer Forst bei Angermünde, 20.09.2020

Larve
  © Bernd Garbe  
Cynips longiventris
Rackwitz (Nordwestsachsen), 16.07.2020 Baumhecke zwischen Intensiväckern

Larve
  © Silvia Fischer  
Cynips longiventris
Annaberg-Buchholz, Galle an Quercus robur, 01.11.2017

  © Wolfgang Dietrich  
Cynips longiventris
Annaberg-Buchholz, Galle an Quercus robur, 01.11.2017

  © Wolfgang Dietrich  
Cynips longiventris
Annaberg-Buchholz, Pöhlberg, Galle an Quercus robur, 29.09.2017

Larve
  © Wolfgang Dietrich  
Cynips longiventris
Annaberg-Buchholz, Pöhlberg, Galle an Quercus robur, 29.09.2017

Larve
  © Wolfgang Dietrich  
Cynips longiventris
Cynips longiventris Hartig, 1840 Gemarkung Hohenprießnitz, September 2019

  © Michael Happ  
Cynips longiventris
Dresden, Prießnitzgrund, November 2021

  © Eva-Maria Bäßler  
Cynips longiventris
Kringelsdorf , 12.12.2020

  © Wolfgang Gordziel  
Cynips longiventris
Kringelsdorf , 12.12.2020

  © Wolfgang Gordziel  
Cynips longiventris
Gallen der Gestreiften Eichengallwespe (Cynips longiventris (Hartig, 1840)), bei Taubenheim, August 2016.

Puppe
  © Udo Lemke  
Cynips longiventris
Galle der Gestreiften Eichengallwespe im September 2016 östlich Ottendorf-Okrilla

  © Tilmann Adler  
Cynips longiventris
Galle der Gestreiften Eichengallwespe im September 2016 östlich Ottendorf-Okrilla

  © Tilmann Adler  
 
Login
Termine (Archiv)
Statistik
  • 656915 Beobachtungen
  • 346104 Onlinemeldungen
  • 4168 Steckbriefe
  • 284291 Fotos
  • 12114 Arten mit Fund
  • 6743 Arten mit Fotos

      

Verwendung von Cookies

Wir verwenden Cookies ausschließlich, um diese Website für Sie optimal zu gestalten und fortlaufend verbessern zu können. Durch die weitere Nutzung der Webseite stimmen Sie der Verwendung von Cookies zu.