Neuroterus quercusbaccarum (Linnaeus, 1758)

DE Deutschland , DE-SN Sachsen Druckansicht

Neuroterus quercusbaccarum
Naturfreunderundweg am Lindberg bei Grethen, August 2025

  © Tilmann Adler  
Neuroterus quercusbaccarum
Lauta, Lauta Dorf, 20. August 2025

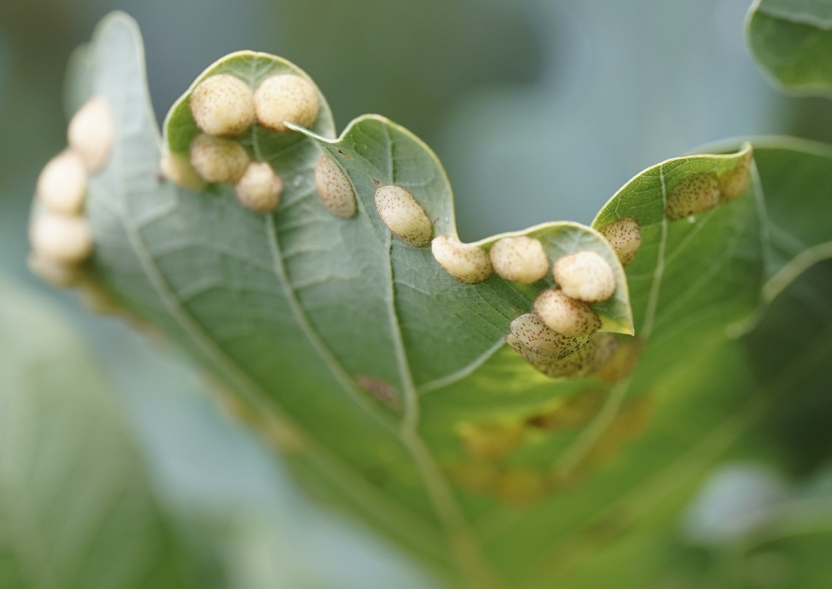
Larve
  © Antje Weiß  
Neuroterus quercusbaccarum
Chemnitz-Furth, September 2025

Larve
  © Benjamin Franke  
Neuroterus quercusbaccarum
Chemnitz-Furth, September 2025

Larve
  © Benjamin Franke  
Neuroterus quercusbaccarum
Chemnitz-Furth, September 2025

Larve
  © Benjamin Franke  
Neuroterus quercusbaccarum
Naturfreundehaus Grethen, Parthenstein, August 2025

  © Tilmann Adler  
Neuroterus quercusbaccarum
Hangmoor Gottschdorf, September 2022

  © Tilmann Adler  
Neuroterus quercusbaccarum
NaturFreundehaus Grethen, August 2022

  © Tilmann Adler  
Neuroterus quercusbaccarum
am Ochsenberg bei Neukirch/Kamenz, September 2022

  © Tilmann Adler  
Neuroterus quercusbaccarum
am Ochsenberg bei Neukirch/Kamenz, September 2022

  © Tilmann Adler  
Neuroterus quercusbaccarum
Schwepnitz, Landkreis Bautzen, Oktober 2022

  © Tilmann Adler  
Neuroterus quercusbaccarum
am Ochsenberg bei Neukirch/Kamenz, Oktober 2022

  © Tilmann Adler  
Neuroterus quercusbaccarum
am Ochsenberg bei Neukirch/Kamenz, Oktober 2022

  © Tilmann Adler  
Neuroterus quercusbaccarum
Quellgebiet Rohrbacher Teiche bei Neukirch/Kamenz, Oktober 2022

Imago
  © Tilmann Adler  
Neuroterus quercusbaccarum
Quellgebiet Rohrbacher Teiche bei Neukirch/Kamenz, Oktober 2022

Imago
  © Tilmann Adler  
Neuroterus quercusbaccarum
Gamic generation, FND Stabsteich Trebsen/Mulde, Mai 2023

  © Tilmann Adler  
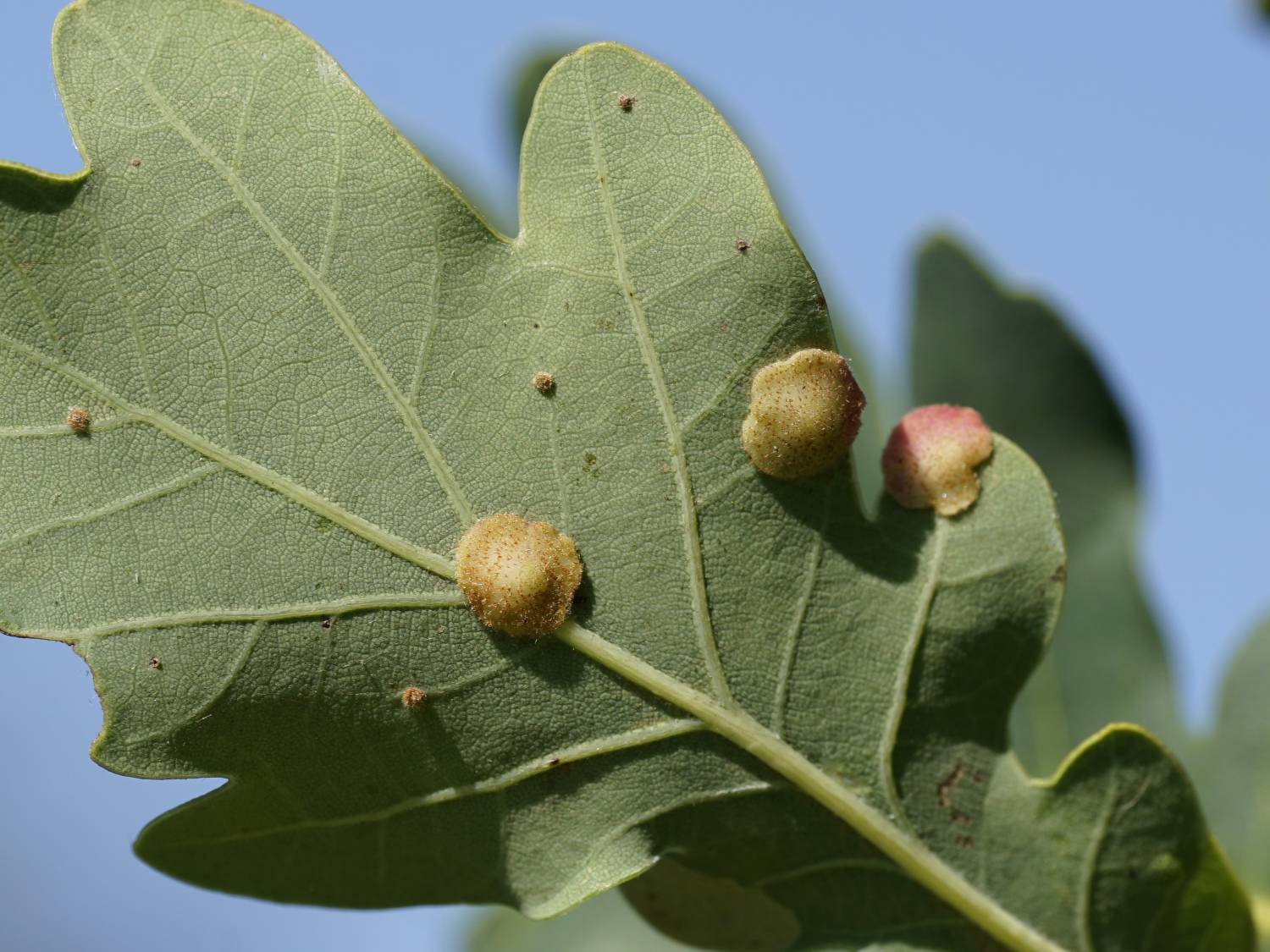
Neuroterus quercusbaccarum
Annaberg-Buchholz, Pöhlberg, Galle der bisexuellen Generation, "Weinbeerengalle" an Quercus robur, 10. Juni 2017

  © Wolfgang Dietrich  
Neuroterus quercusbaccarum
Hoyerswerda - Wojerecy, Landkreis Bautzen, 18. September 2023

  © Antje Weiß  
Neuroterus quercusbaccarum
Bernsdorf, Landkreis Bautzen, 28. Juli 2023

  © Antje Weiß  
Neuroterus quercusbaccarum
Diesbar-Seußlitz, 26.12.2021

  © Michael Braune  
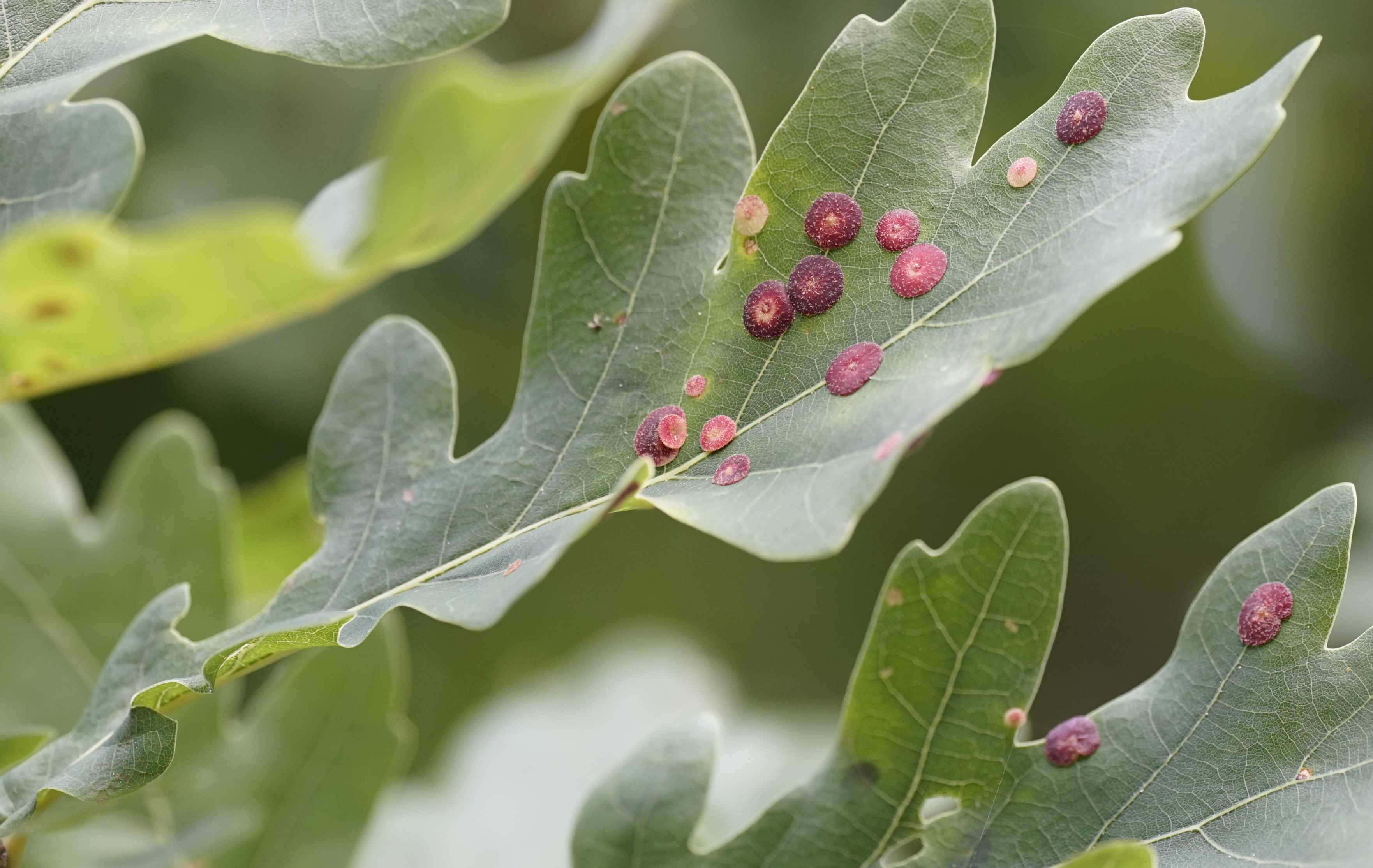
Neuroterus quercusbaccarum
Leippe-Torno, September 2022, ca. 100 Gallen an Stieleiche

  © Antje Weiß  
Neuroterus quercusbaccarum
Leippe-Torno, September 2022, ca. 100 Gallen an Stieleiche

  © Antje Weiß  
Neuroterus quercusbaccarum
Wittichenau - Kulow, September 2022, sowohl auf Blattober- als auch -unterseite

  © Antje Weiß  
Neuroterus quercusbaccarum
Bröthener Badesee, 13. September 2022, übersäte Eichenblätter

  © Antje Weiß  
Neuroterus quercusbaccarum
NABU-Naturschutzstation Herrenhaide, August 2022

  © Tilmann Adler  
Neuroterus quercusbaccarum
Himmelsteich am Kieferberg bei Burgstädt, August 2022

  © Tilmann Adler  
Neuroterus quercusbaccarum
Köbeln bei Bad Muskau, September 2021

  © Tilmann Adler  
Neuroterus quercusbaccarum
Hufewiesen Dresden-Trachau, September 2021

  © Tilmann Adler  
Neuroterus quercusbaccarum
Göbelner Heide, September 2021

Larve
  © Tilmann Adler  
Neuroterus quercusbaccarum
Neuroterus quercusbaccarum (Linnaeus, 1758), Linsengalle, Leipzig, Aug. 2018, auf Stieleiche

Larve
  © Edwin Donath  
Neuroterus quercusbaccarum
Bad Elster, Gallen an Quercus robur, 11.09.2021

  © Wolfgang Dietrich  
Neuroterus quercusbaccarum
Wittichenau - Kulow, September 2022

  © Antje Weiß  
Neuroterus quercusbaccarum
Wittichenau - Kulow, September 2022

  © Antje Weiß  
Neuroterus quercusbaccarum
Neuroterus quercusbaccarum (Linnaeus, 1758), linsenförmige Gallen an einem Eichenblatt, Hochhalde Trages bei Espenhain, Ende September 2018

Larve
  © Bernd Garbe  
Neuroterus quercusbaccarum
Gallen der Eichenlinsengallwespe im September 2016 östlich von Radeberg

  © Tilmann Adler  
Neuroterus quercusbaccarum
Gallen der Eichenlinsengallwespe im September 2016, Talsperre Wallroda

  © Tilmann Adler  
Neuroterus quercusbaccarum
Gallen der Eichenlinsengallwespe im September 2016 östlich Ottendorf-Okrilla

  © Tilmann Adler  
Neuroterus quercusbaccarum
Neuroterus quercusbaccarum, Gallen an Quercus rubur, Pöhlberg, 25.09.2016

  © Wolfgang Dietrich  
Neuroterus quercusbaccarum
Neuroterus quercusbaccarum-Gallen auf der Unterseite eines Eichenblatten, zusammen mit einer jungen Acronicta aceris-Raupen, Anfang August 2016 in Berbisdorf

  © Franziska Bauer  
Neuroterus quercusbaccarum
Neuroterus quercusbaccarum Am 08.09.2015 fanden wir ein befallenes Blatt an einer Waldwiese bei Mohorn-Grund

  © Foto: Lothar Brümmer  
Neuroterus quercusbaccarum
Gallen von Neuroterus quercusbaccarum in Grillenburg, 2012

  © Angela Kühne  
 
Login
Termine (Archiv)
Statistik
  • 656315 Beobachtungen
  • 345331 Onlinemeldungen
  • 4145 Steckbriefe
  • 282928 Fotos
  • 12098 Arten mit Fund
  • 6693 Arten mit Fotos

      

Verwendung von Cookies

Wir verwenden Cookies ausschließlich, um diese Website für Sie optimal zu gestalten und fortlaufend verbessern zu können. Durch die weitere Nutzung der Webseite stimmen Sie der Verwendung von Cookies zu.