Ectemnius cephalotes (Olivier, 1792)

DE Deutschland , DE-SN Sachsen Druckansicht

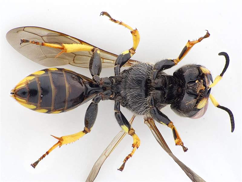
Ectemnius cephalotes
Chemnitz-Wittgensdorf, Juli 2025

Imago
  © Benjamin Franke  
Ectemnius cephalotes
Chemnitz-Wittgensdorf, Juli 2025

Imago
  © Benjamin Franke  
Ectemnius cephalotes
Chemnitz-Wittgensdorf, Juli 2025

Imago
  © Benjamin Franke  
Ectemnius cephalotes
Ectemnius cephalotes Gemarkung Hohenprießnitz, August 2017

Imago Weibchen
  © Michael Happ  
Ectemnius cephalotes
Ectemnius cephalotes Gemarkung Hohenprießnitz, August 2017

Imago Weibchen
  © Michael Happ  
Ectemnius cephalotes
Ectemnius cephalotes Gemarkung Hohenprießnitz, August 2017

Imago Weibchen
  © Michael Happ  
Ectemnius cephalotes
Ectemnius cephalotes Gemarkung Hohenprießnitz, August 2017

Imago Weibchen
  © Michael Happ  
Ectemnius cephalotes
Ectemnius cephalotes Gemarkung Hohenprießnitz, August 2017

Imago Weibchen
  © Michael Happ  
Ectemnius cephalotes
Ectemnius cephalotes Gemarkung Hohenprießnitz, August 2017

Imago Weibchen
  © Michael Happ  
Ectemnius cephalotes
Ostseebad Boltenhagen, Landkreis Nordwestmecklenburg, Juli 2023

Imago Männchen
  © Andreas Ihl  
Ectemnius cephalotes
Ostseebad Boltenhagen, Landkreis Nordwestmecklenburg, Juli 2023

Imago Männchen
  © Andreas Ihl  
Ectemnius cephalotes
Ostseebad Boltenhagen, Landkreis Nordwestmecklenburg, Juli 2023

Imago Männchen
  © Andreas Ihl  
Ectemnius cephalotes
Ostseebad Boltenhagen, Landkreis Nordwestmecklenburg, Juli 2023

Imago Männchen
  © Andreas Ihl  
Ectemnius cephalotes
Dresden, Juni 2022

Imago Weibchen
  © Andreas Ihl  
Ectemnius cephalotes
Dresden, Juni 2022

Imago Weibchen
  © Andreas Ihl  
Ectemnius cephalotes
Dresden, Juni 2022

Imago Weibchen
  © Andreas Ihl  
Ectemnius cephalotes
Dresden, Juni 2022

Imago Weibchen
  © Andreas Ihl  
 
Login
Termine (Archiv)
Statistik
  • 656527 Beobachtungen
  • 345550 Onlinemeldungen
  • 4149 Steckbriefe
  • 283220 Fotos
  • 12097 Arten mit Fund
  • 6693 Arten mit Fotos

      

Verwendung von Cookies

Wir verwenden Cookies ausschließlich, um diese Website für Sie optimal zu gestalten und fortlaufend verbessern zu können. Durch die weitere Nutzung der Webseite stimmen Sie der Verwendung von Cookies zu.