Gemeiner Ameisenbuntkäfer (Thanasimus formicarius (Linnaeus, 1758))

DE Deutschland , DE-SN Sachsen Druckansicht

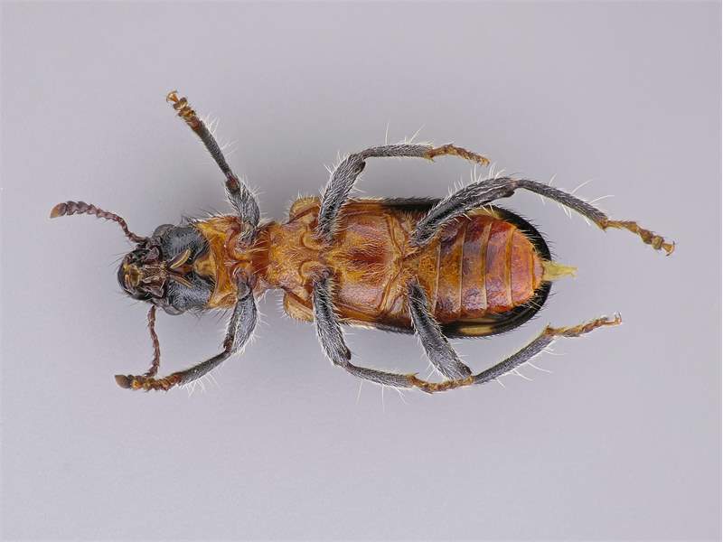
Thanasimus formicarius
Arnsdorf, April 2025

Imago
  © Peter Diehl  
Thanasimus formicarius
Eilenburg OT Behlitz, April 2025

Imago
  © Michael Happ  
Thanasimus formicarius
Eilenburg OT Behlitz, April 2025

Imago
  © Michael Happ  
Thanasimus formicarius
Eilenburg OT Behlitz, April 2025

Imago
  © Michael Happ  
Thanasimus formicarius
Eilenburg OT Behlitz, April 2025

Imago
  © Michael Happ  
Thanasimus formicarius
Dommitzsch, Forsthaus Labaun, 21. Mai 2025

Imago
  © Antje Weiß  
Thanasimus formicarius
Annaberg-Buchholz, 08. Oktober 2025

Imago
  © Wolfgang Dietrich  
Thanasimus formicarius
Moritzburg, März 2024

Imago
  © Steffen Hintersaß  
Thanasimus formicarius
Naturschutzstation Chemnitz-Gablenz, Mai 2025

Imago
  © Benjamin Franke  
Thanasimus formicarius
Naturschutzstation Chemnitz-Gablenz, Mai 2025

Imago
  © Benjamin Franke  
Thanasimus formicarius
Lauta, Lauta Dorf, 25. Juni 2025

Imago
  © Antje Weiß  
Thanasimus formicarius
Jonsdorf, Kurort Jonsdorf, 05. Juli 2025

Imago
  © Antje Weiß  
Thanasimus formicarius
Bad Schmiedeberg, Hachemühle, 09. Mai 2025

Imago
  © Antje Weiß  
Thanasimus formicarius
Lungkwitz, Mai 2025

Imago
  © René Micksch  
Thanasimus formicarius
Leippe-Torno, Landkreis Bautzen, 12. April 2025

Imago
  © Antje Weiß  
Thanasimus formicarius
Johannisthal, 25. März 2025

Imago
  © Antje Weiß  
Thanasimus formicarius
Leippe-Torno, Landkreis Bautzen, 22. März 2025

Imago
  © Antje Weiß  
Thanasimus formicarius
am Licht - Oberlausitzer Bergland, Grenzweg nahe Dreiherrenstein, Sohland/Spree, 29. August 2024

Imago
  © Gert Schulze  
Thanasimus formicarius
Moritzburg, April 2024

Imago
  © Steffen Hintersaß  
Thanasimus formicarius
Chemnitz, Chemnitz April 2024

Imago
  © Levi Berger  
Thanasimus formicarius
Constappel, Mai 2024

Imago
  © Steffen Hintersaß  
Thanasimus formicarius
Schirgiswalde, 8. April 2024

Imago
  © Konrad Thomas  
Thanasimus formicarius
bei Neuendorf-Heide (Landkreis Vorpommern-Rügen), 07. April 2024

Imago
  © Martin Feike  
Thanasimus formicarius
Lauter-Bernsbach, 09. April 2024

Imago
  © Uwe Kaettniß  
Thanasimus formicarius
Leippe-Torno, Landkreis Bautzen, 13. März 2024

Imago
  © Antje Weiß  
Thanasimus formicarius
Dauban - Dubo, Landkreis Görlitz, April 2024

Imago
  © Vincent Böhm  
Thanasimus formicarius
Dauban - Dubo, Landkreis Görlitz, April 2024

Imago
  © Vincent Böhm  
Thanasimus formicarius
Moritzburg, März 2024

Imago
  © Steffen Hintersaß  
Thanasimus formicarius
Sonneberg OT Neufang, Thüringen, Mai 2023

Imago
  © Michael Happ  
Thanasimus formicarius
Glauchau , Mrz 2024

Imago
  © Heidi Busch  
Thanasimus formicarius
Glauchau , Mrz 2024

Imago
  © Heidi Busch  
Thanasimus formicarius
Glauchau , Mrz 2024

Imago
  © Heidi Busch  
Thanasimus formicarius
Glauchau , Mrz 2024

Imago
  © Heidi Busch  
Thanasimus formicarius
westlich Ziegelei am Ochsenberg bei Neukirch/Kamenz, März 2024

Imago
  © Tilmann Adler  
Thanasimus formicarius
westlich Ziegelei am Ochsenberg bei Neukirch/Kamenz, März 2024

Imago
  © Tilmann Adler  
Thanasimus formicarius
Rohrbach, März 2024

Imago
  © Enrico Tomschke  
Thanasimus formicarius
Leippe-Torno, Landkreis Bautzen, 05. Juni 2024

Imago
  © Antje Weiß  
Thanasimus formicarius
Rohrbacher Teiche bei Kamenz, März 2023

Imago
  © Tilmann Adler  
Thanasimus formicarius
Gelobtland, Marienberg, Erzgebirgskreis, 8. Mai 2013

Imago
  © Reinhard Weidlich  
Thanasimus formicarius
Pöhla, Luchsbachtal, 02. Oktober 2023

Imago
  © Uwe Kaettniß  
Thanasimus formicarius
Wilkau-Haßlau, Oktober 2023

Imago
  © Joachim Kupfer  
Thanasimus formicarius
Johannisthal,26. Juli 2023

Imago
  © Antje Weiß  
Thanasimus formicarius
Glauchau, Landkreis Zwickau, Juli 2023

Imago
  © A. Heimer  
Thanasimus formicarius
Glauchau, Landkreis Zwickau, Juli 2023

Imago
  © A. Heimer  
Thanasimus formicarius
Amtsberg, Erzgebirgskreis, Mai 2023

Imago
  © Jens Tomasini  
Thanasimus formicarius
Niederau, Landkreis Meißen, Mai 2023

Imago
  © Michael Braune  
Thanasimus formicarius
Kiefernwald bei Fehrow, 19. Mai 2023

Imago
  © Martin Feike  
Thanasimus formicarius
Lauta, Landkreis Bautzen, 21. April 2023, auf käferbefallener Kiefer

Imago Männchen Weibchen
  © Antje Weiß  
Thanasimus formicarius
Lauta, Landkreis Bautzen, 21. April 2023, auf käferbefallener Kiefer

Imago Männchen Weibchen
  © Antje Weiß  
Thanasimus formicarius
Pöhla, Luchsbachtal, 13. April 2023

Imago
  © Uwe Kaettniß  
Thanasimus formicarius
Leippe-Torno, Landkreis Bautzen, März 2023, Sonnenbad an der Hauswand

Imago
  © Antje Weiß  
Thanasimus formicarius
Pöhla, Luchsbachtal, 10. Oktober 2022

Imago
  © Uwe Kaettniß  
Thanasimus formicarius
Westlausitz, Waldscheibe nördl. Rammenau, 30. April 2022

Larve
  © Gert Schulze  
Thanasimus formicarius
Pöhla, Luchsbachtal, 01. Mai 2022

Imago
  © Uwe Kaettniß  
Thanasimus formicarius
NSG Breitefenn bei Parstein (Brandenburg), Mai 2022

Imago
  © Bernd Garbe  
Thanasimus formicarius
Presseler Heidewald- und Moorgebiet, Revier Pahlbrücke, Kiefernholzpolter

Imago
  © Rainer Hoyer  
Thanasimus formicarius
Dorfhain , Tharandter Wald, Seerental, Mai 2022

Imago
  © Karin Brümmer  
Thanasimus formicarius
Dorfhain , Tharandter Wald, Seerental, Mai 2022

Imago
  © Karin Brümmer  
Thanasimus formicarius
Wohngrundstück, 01896 Lichtenberg, Mai 2022.

Imago
  © Uwe Schäfer  
Thanasimus formicarius
Waldscheibe Rammenau, April 2022

Imago
  © Tilmann Adler  
Thanasimus formicarius
Waldscheibe Rammenau, April 2022

Imago
  © Tilmann Adler  
Thanasimus formicarius
Waldscheibe Rammenau, April 2022

Imago
  © Tilmann Adler  
Thanasimus formicarius
Waldscheibe Rammenau, April 2022

Imago
  © Tilmann Adler  
Thanasimus formicarius
Westlausitz, Mischwald nördl. Luchsenburgstraße, Ohorn, 1. Mai 2022

Imago
  © Gert Schulze  
Thanasimus formicarius
Unteres Osterzgebirge, Schwarzbachtal, 5. Juni 1979

Imago
  © Gert Schulze  
Thanasimus formicarius
Leippe-Torno, April 2022, an Kiefernholz, mehrere Tiere

Imago
  © Antje Weiß  
Thanasimus formicarius
Leippe-Torno, April 2022, an Kiefernholz, mehrere Tiere

Imago
  © Antje Weiß  
Thanasimus formicarius
Unteres Osterzgebirge, Schwarzbachtal, Juni 1979

Imago
  © Gert Schulze  
Thanasimus formicarius
Unteres Osterzgebirge, Schwarzbachtal, Juni 1979

Imago
  © Gert Schulze  
Thanasimus formicarius
Gemeiner Ameisenbuntkäfer (Thanasimus formicarius (Linnaeus, 1758)), Dresden, Juni 2021

Imago
  © Frank Bittrich  
Thanasimus formicarius
Ochsenberg bei Schwepnitz, März 2022

Imago
  © Tilmann Adler  
Thanasimus formicarius
Ochsenberg bei Schwepnitz, März 2022

Imago
  © Tilmann Adler  
Thanasimus formicarius
Gemeiner Ameisenbuntkäfer (Thanasimus formicarius (Linnaeus, 1758)), Dresden, Mai 2021

Imago
  © Frank Bittrich  
Thanasimus formicarius
Aus kurzen Holzstämmen unter der Rinde hervorgeklopft Unteres Osterzgebirge, Dippser Heide, 15. April 1976

Imago
  © Gert Schulze  
Thanasimus formicarius
Aus kurzen Holzstämmen unter der Rinde hervorgeklopft Unteres Osterzgebirge, Dippser Heide, 15. April 1976

Imago
  © Gert Schulze  
Thanasimus formicarius
Aus kurzen Holzstämmen unter der Rinde hervorgeklopft Unteres Osterzgebirge, Dippser Heide, 15. April 1976

Imago
  © Gert Schulze  
Thanasimus formicarius
Aus kurzen Holzstämmen unter der Rinde hervorgeklopft Unteres Osterzgebirge, Dippser Heide, 15. April 1976

Imago
  © Gert Schulze  
Thanasimus formicarius
Aus kurzen Holzstämmen unter der Rinde hervorgeklopft Unteres Osterzgebirge, Dippser Heide, 15. April 1976

Imago
  © Gert Schulze  
Thanasimus formicarius
Aus kurzen Holzstämmen unter der Rinde hervorgeklopft Unteres Osterzgebirge, Dippser Heide, 15. April 1976

Imago
  © Gert Schulze  
Thanasimus formicarius
Aus kurzen Holzstämmen unter der Rinde hervorgeklopft Unteres Osterzgebirge, Dippser Heide, 15. April 1976

Imago
  © Gert Schulze  
Thanasimus formicarius
Gemeiner Ameisenbuntkäfer, Tannenberg, 18.07.2021

Imago
  © Beatrice Jeschke  
Thanasimus formicarius
Kamenz, 19.06.2021

Imago
  © Enrico Tomschke  
Thanasimus formicarius
Hutberg Kamenz, Juni 2021

Imago Männchen Weibchen
  © Eva-Maria Bäßler  
Thanasimus formicarius
Hutberg Kamenz, Juni 2021

Imago
  © Tilmann Adler  
Thanasimus formicarius
Annaberg-Buchholz, 22.05.2021

Imago
  © Wolfgang Dietrich  
Thanasimus formicarius
Dresden, 15.05.2021

Imago
  © Eva-Maria Bäßler  
Thanasimus formicarius
Wohngrundstück, 01896 Lichtenberg, 11.05.2021.

Imago
  © Uwe Schäfer  
Thanasimus formicarius
Gemeiner Ameisenbuntkäfer, Chorin, OT Pehlitz, 21.04.2021

Imago
  © Bernd Garbe  
Thanasimus formicarius
Schirgiswalde, 09.04.2021

Imago
  © Konrad Thomas  
Thanasimus formicarius
Torno, 31.03.2021, am Kiefernholzstapel nach Beute suchend

Imago
  © Antje Weiß  
Thanasimus formicarius
Lichtentanne, 07.11.2017

Imago
  © Stefan Werner  
Thanasimus formicarius
Mariney, 01.06.2020

Imago
  © Steffen Hintersaß  
Thanasimus formicarius
Torno, Jul 2020

Imago
  © Antje Weiß  
Thanasimus formicarius
Kodersdorf, 21.06.2020

Imago
  © Gerd Mischinger  
Thanasimus formicarius
Gemeiner Ameisenbuntkäfer (Thanasimus formicarius), Dresden-Klotzsche, Ende Mai 2020

Imago
  © Katrin Schniebs  
Thanasimus formicarius
Gemeiner Ameisenbuntkäfer (Thanasimus formicarius) im NSG "Moorwald am Pechfluß bei Medingen", 16.04.2020

Imago
  © Holger Oertel  
Thanasimus formicarius
Durchwehna, 18.04.2020

Imago
  © Volker Friedrich  
Thanasimus formicarius
Großenhain, 01.05.2020

Imago
  © Jens Tomasini  
Thanasimus formicarius
Garten in Dresden-Mockritz, 26.04.2020

Imago
  © Jörg Hartmann  
Thanasimus formicarius
Dresdner Heide, 17.04.2020

Imago Männchen Weibchen
  © Tilmann Adler  
Thanasimus formicarius
Dresdner Heide, 17.04.2020

Imago Männchen Weibchen
  © Tilmann Adler  
Thanasimus formicarius
Dresdner Heide, 17.04.2020

Imago
  © Tilmann Adler  
Thanasimus formicarius
Görlitz, 17.04.2020

Imago
  © Constantin Schütz  
Thanasimus formicarius
Mügeln, 07.04.2020

Imago
  © Genia Böhme  
Thanasimus formicarius
Gemeiner Ameisenbuntkäfer (Thanasimus formicarius (Linnaeus, 1758)) am 20.10.2019 an der KG Liebersee

Imago
  © Michael Volpert  
Thanasimus formicarius
Gemeiner Ameisenbuntkäfer (Thanasimus formicarius (Linnaeus, 1758)), Rohrbach, April 2019

Imago
  © Helene Otto  
Thanasimus formicarius
Gemeiner Ameisenbuntkäfer (Thanasimus formicarius (Linnaeus, 1758)) am 22.03.2019 in Steinbach

Imago
  © Eva-Maria Bäßler  
Thanasimus formicarius
Gemeiner Ameisenbuntkäfer (Thanasimus formicarius (Linnaeus, 1758)), Trossin-Hachemühle, Mai 2002

Imago
  © Mathias Hoffmann  
Thanasimus formicarius
Gemarkung Hohenprießnitz, März 2019

Imago
  © Michael Happ  
Thanasimus formicarius
Gemeiner Ameisenbuntkäfer (Thanasimus formicarius (Linnaeus, 1758)) auf Kiefernstamm in Dresden Klotzsche

Imago
  © Max Gierth  
Thanasimus formicarius
Gemeiner Ameisenbuntkäfer (Thanasimus formicarius (Linnaeus, 1758)), Dresden-Oberloschwitz, Oktober 2018

Imago
  © Matthias Jentzsch  
Thanasimus formicarius
Gemeiner Ameisenbuntkäfer in Hoyerswerda Klein Neida, 09.04.2018, Tagfund, landete direkt auf der Hand

Imago
  © Martina Görner  
Thanasimus formicarius
Gemarkung Hohenprießnitz, März 2018

Imago
  © Michael Happ  
Thanasimus formicarius
Thanasimus formicarius in der Gemarkung Hohenprießnitz, Januar 2018

Imago
  © Michael Happ  
Thanasimus formicarius
Thanasimus formicarius in der Gemarkung Hohenprießnitz, Januar 2018

Imago
  © Michael Happ  
Thanasimus formicarius
Thanasimus formicarius in der Gemarkung Hohenprießnitz, Januar 2018

Imago
  © Michael Happ  
Thanasimus formicarius
Gemeiner Ameisenbuntkäfer am 18.05.2017 im Tharandter Wald an einem Holzlagerplatz.

Imago
  © Lothar Brümmer  
Thanasimus formicarius
Gemeiner Ameisenbuntkäfer am 03.05.2016 in Steinbach bei Moritzburg

Imago
  © Eva-Maria Bäßler  
Thanasimus formicarius
Gemeiner Ameisenbuntkäfer (Thanasimus formicarius (Linnaeus, 1758)), bei Reichenau, März 2016.

Imago
  © Udo Lemke  
Thanasimus formicarius
Gemeiner Ameisenbuntkäfer auf Kiefernrinde bei Brischko, Juli 2015

Imago
  © Thomas Sobczyk  
Thanasimus formicarius
Gemeiner Ameisenbuntkäfer im April 2015, Dresdner Heide

Imago
  © Tilmann Adler  
Thanasimus formicarius
Gemeiner Ameisenbuntkäfer (Thanasimus formicarius), Oelsnitz/Erzgebirge, Garten, Ende April 2014

Imago
  © Katrin Schniebs  
Thanasimus formicarius
viele Ameisenbuntkäfer am 27.04.2014 in Steinbach bei Moritzburg

Imago
  © Eva-Maria Bäßler  
Thanasimus formicarius
Gemeiner Ameisenbuntkäfer (Thanasimus formicarius). Chemnitz-Adelsberg im April 2014

Imago
  © Michael Münch  
Thanasimus formicarius
Ameisenbuntkäfer im März 2014, östlich Oppach

Imago
  © Tilmann Adler  
Thanasimus formicarius
Ameisenbuntkäfer im März 2014, östlich Oppach

Imago
  © Tilmann Adler  
Thanasimus formicarius
Thanasimus formicarius vom 05.06.2013 aus dem Spitzgrund in Coswig

Imago
  © Eva-Maria Bäßler  
 
Login
Termine (Archiv)
Statistik
  • 656823 Beobachtungen
  • 345914 Onlinemeldungen
  • 4153 Steckbriefe
  • 283949 Fotos
  • 12105 Arten mit Fund
  • 6730 Arten mit Fotos

      

Verwendung von Cookies

Wir verwenden Cookies ausschließlich, um diese Website für Sie optimal zu gestalten und fortlaufend verbessern zu können. Durch die weitere Nutzung der Webseite stimmen Sie der Verwendung von Cookies zu.