Peritrechus geniculatus (Hahn, 1832)

DE Deutschland , DE-SN Sachsen Druckansicht

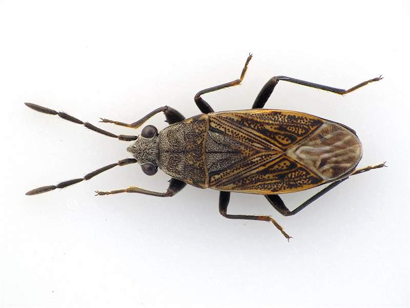
Diagnose

Körperlänge: 5,0–5,9 mm.

Kopf: schwarz dreieckig. Fühlerglieder stabförmig.

Thorax: Halsschild im Vorderteil komplett schwarz, hinten wie die Halbdecken bräunlich mit schwarzen Punktgruben, ohne leistenartigen gelben Rand auf ganzer Länge. Beine komplett schwarz.

Abdomen: schwarz länglich-oval.

Ähnliche Arten: Peritrechus lundii und Peritrechus convivus mit gelblichem leistenartigen Seitenrand auf ganzer Halsschildlänge. Peritrechus angusticollis mit orangebrauen Schenkeln mit schwarzem Ring. Peritrechus gracilicornis mit gelben Schienen und sehr schlanken Fühlern. Peritrechus nubilus Halsschild mit schmaler brauner Vorderkante vorn nur halb so breit wie hinten.

 

Gesetzlicher Schutz und Rote Liste

Merkmale

Verbreitung

Die Art zeigt eine temperate Verbreitung vom Süden Skandinaviens bis in die europäischen Mittelmeerländer. Nach Osten reicht das Areal bis Westsibirien, die Kaukasus- und Kaspische Region. In Deutschland allgemein verbreitet und häufig.

Vorkommen in Sachsen

Peritrechus geniculatus ist in Sachsen die am häufigsten nachgewiesene Art der Gattung. Er ist in allen Landesteilen vertreten und fehlt nur in den höheren Kammlagen des mittleren und westlichen Erzgebirges.

Lebensweise

Es überwintern erwachsene Tiere. Die Tiere erscheinen im Frühjahr und paaren sich spätestens Anfang Juni. Im Frühsommer können aber immer noch erwachsene Tiere der letzten Generation teils in der Vegetation sitzend angetroffen werden. Die Imagines der neuen Generation werden ab dem Hochsommer gefunden., wobei noch bis in den Herbst hinein auch Larven gefunden werden. Es wird eine Generation pro Jahr durchlaufen.

Lebensräume

Peritrechus geniculatus bewohnt trockene bis mäßig feuchte Wiesen, die voll-sonnig bis halbschattig sein können. Er ist in Sachsen eine Charakterart artenreicher Glatthaferwiesen. Er kommt aber auch auf sandigen Untergründen in Offenlandbiotopen mit Süßgräsern (Poaceae) vor.

Bestandssituation

Die Art ist in Sachsen häufig und ungefährdet.

Literatur

  • Achtziger, R., S. Tautenhahn 2006: Wanzen– (Heteroptera) und Zikadenarten (Auchenorrhyncha) des Campus der TU Bergakademie Freiberg – Mitteilungen des Naturschutzinstitutes Freiberg Freiberg 2: 29–37.
  • Arnold, K. 2005: Kommentiertes vorläufiges Verzeichnis der Wanzen (Heteroptera) im Freistaat Sachsen [HET] – Ergänzungsbeitrag (V) – Mitteilungen Sächsischer Entomologen Entomofaunistische Gesellschaft e.V. LV Sachsen 72: 3–5.
  • Arnold, K. 2009: Aktuelle Heteropteren–Funde nach 1980 aus dem Freistaat Sachsen (Insecta: Heteroptera) – 5. Beitrag – Mitteilungen Sächsischer Entomologen Entomofaunistische Gesellschaft e.V. LV Sachsen Supplement 8: 4–115.
  • Arnold, K. 2009: Checkliste der Heteropteren des Freistaates Sachsen – Mitteilungen Sächsischer Entomologen Entomofaunistische Gesellschaft e.V. LV Sachsen Supplement 8: 116–145.
  • Brändle, M., C. Rieger 1999: Die Wanzenfauna von Kiefernstandorten (Pinus sylvestris L.) in Mitteleuropa (Insecta: Hemiptera: Heteroptera) – Faunistische Abhandlungen Staatliches Museum für Tierkunde Dresden 21: 239–258.
  • Büttner, K. 1967: Die Heteropterenfauna Westsachsens, Nachtrag – Entomologische Nachrichten Dresden 11: 7–10.
  • Büttner, K. & Wetzel, C. 1964: Die Heteropterenfauna Westsachsens – Faunistische Abhandlungen Staatliches Museum für Tierkunde Dresden 1 2: 69–100.
  • Jordan, K. H. C. 1940: Die Heteropterenfauna der Oberlausitz und Ostsachsens – Isis Budissina Bautzen 14: 96–156.
  • Jordan, K. H. C. 1963: Die Heteropterenfauna Sachsens – Faunistische Abhandlungen Staatliches Museum für Tierkunde Dresden 1: 1–68.
  • Lange, C. 1898: Ergebnisse entomologischer Beobachtungen aus der Umgebung Annabergs – Bericht Annaberg–Buchholzer Verein für Naturkunde 10.
  • Michalk, O. 1938: Die Wanzen (Hemiptera heteroptera) der Leipziger Tieflandsbucht und der angrenzenden Gebiete, zugleich eine kritische Zusammenstellung aller deutschen Arten – Sitzungsberichte der Naturforschenden Gesellschaft zu Leipzig 63/64: 15–18.
  • Müller, H. 1955: Faunistisch–ökologische Untersuchungen auf den Bienitzwiesen bei Leipzig unter besonderer Berücksichtigung der Heuschrecken – Wissenschaftliche Zeitschrift der Karl–Marx–Universität Leipzig 4 1/2).
  • Péricart, J. 1999: Hémiptères Lygaeidae euro–méditerranéens. Vol. 3 – Faune de France 84C: 1–487.
  • Schuhmacher, F. 1919: Verzeichnis der bei Schandau in der Sächsischen Schweiz beobachteten Hemipteren – Entomologische Mitteilungen 8: 150 – 156.
  • Wachmann, E. , A. Melber & J. Deckert 2007: Wanzen Band 3. Pentatomomorpha I. Aradidae, Lygaeidae, Piesmatidae, Berytidae, Pyrrhocoridae, Alydidae, Coreidae, Rhopalidae, Stenocephalidae. – Die Tierwelt Deutschlands 78.
  • Wachmann, E. , A. Melber & J. Deckert 2012: Wanzen Band 5. Supplementband. Dipsocoromorpha, Nepomorpha, Gerromorpha, Leptopodomorpha, Cimicomorpha und Pentatomomorpha. – Die Tierwelt Deutschlands 82.
  • Wagner, E. 1966: Wanzen oder Heteropteren, I. Pentatomorpha. In: Dahl, F., Dahl, M. & F. Peus (Hrsg.): Die Tierwelt Deutschlands und der angrenzenden Meeresteile – Gustav Fischer Verlag Jena 54.
Autor(-en): Michael Münch. Letzte Änderung am 17.04.2025

Kopulierendes Pärchen von Peritrechus geniculatus - links das kleinere Männchen rechts das Weibchen. Zickersche Berge, 250m nordwestlich des letzten Gebäudes von Groß Zicker (Deutschland, Mecklenburg-Vorpommern, Rügen), 15.06.2009
(© Michael Münch)


Weibchen von Peritrechus geniculatus in der Gemarkung Hohenprießnitz, April 2017
(© Michael Happ)
Login
Termine (Archiv)
Statistik
  • 663308 Beobachtungen
  • 352205 Onlinemeldungen
  • 4190 Steckbriefe
  • 290076 Fotos
  • 12146 Arten mit Fund
  • 6795 Arten mit Fotos

      

Verwendung von Cookies

Wir verwenden Cookies ausschließlich, um diese Website für Sie optimal zu gestalten und fortlaufend verbessern zu können. Durch die weitere Nutzung der Webseite stimmen Sie der Verwendung von Cookies zu.