Pachybrachius fracticollis (Schilling, 1829)

DE Deutschland , DE-SN Sachsen Druckansicht

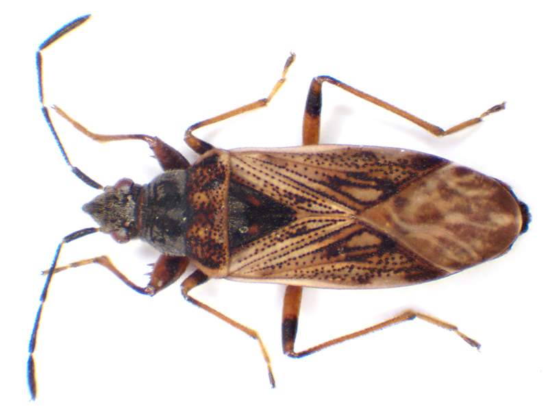
Diagnose

Körperlänge: 4,6–5,8 mm.

Kopf: schwarz, kurz behaart. Augen um die Hälfte ihrer Länge vom Hinterrand entfernt. Fühler bräunlich.

Thorax: Oberseite ohne lange Haare. Halsschild stark eingeschnürt, vorderer Teil gewölbt dunkel, hinterer Teil gelbbräunlich mit dunklen Flecken und Punktgruben. Schildchen schwarz. Halbdecken gelbbräunlich mit Reihen dunkler Punktgruben. Membran rauchbräunlich mit hellen Adern. Beine gelblich mit dunklen Ringen an den Schenkelenden. Vorderschenkel mit 2 großen und mehreren kleinen Zähnen. 1.Glied der Hintertarsen doppelt so lang, wie 2. und 3. zusammen.

Abdomen: schwarz, lang-oval.

Ähnliche Arten: Pachybrachius luridus mit langen abstehenden Haaren und 3 großen Zähnen am Vorderschenkel. Ligyrocoris sylvestris mit schlankeren Fühlern, gefleckteren Flügeldecken und einem 1.Tarsenglied, dreimal so lang wie 2. und 3. zusammen.

 

Gesetzlicher Schutz und Rote Liste

Merkmale

Verbreitung

Die Verbreitung von Pachybrachius fracticollis zeigt ein eher temperates Muster. Sie fehlt im hohen Norden Europas und im südlichen Teil der Mittelmeerländer. Von Mittel- über Osteuropa reicht das Areal bis in die Kaukasusregion und nach Sibirien. Die Art wurde nach Nordamerika verschleppt. In Deutschland kommt sie überall nicht häufig vor, ist im Süden ist sie etwas seltener.

Vorkommen in Sachsen

Pachybrachius fracticollis ist aus vielen Landesteilen bekannt. In der Lausitzer Heide- und Teichlandschaft liegt eine Häufung der Fundorte. Ansonsten gibt es nur weit auseinanderliegende Einzelfunde. In Nordwestsachsen seit der ersten Hälfte des 20. Jahrhunderts nicht mehr nachgewiesen.

Lebensweise

Die Überwinterung erfolgt als erwachsenes Tier in der Streu oft an trockneren Stellen. Im Mai und Juni finden Kopulationen statt. Die Art zeigt während der Paarungszeit eine rege Flugtätigkeit. Die Eier werden in der Streuschicht, in Moos oder die Stängel von Sauergrasgewächsen (Cyperaceae) abgelegt. Die hauptsächlich am Boden lebenden Larven sind dann in den Herbst zu finden. Ersten erwachsene Tiere der neuen Generation erscheinen ab Ende Juli beziehungsweise oft ab August. Die Art besaugt die Samen der Sauergräser, aber auch deren vegetative Teile. Es wird eine Generation pro Jahr durchlaufen.

Lebensräume

Pachybrachius fracticollis besiedelt im vergleich zur Schwesterart Pachybrachius luridus vielfältigere feuchte Standorte. Dies können neben Mooren auch Feuchtwiesen oder Gewässerränder mit Riedgrasgewächsen (Cyperaceae).

Bestandssituation

Die Art ist in Sachsen selten und muss als stark gefährdet angesehen werden.

Literatur

  • Arnold, K. 2009: Aktuelle Heteropteren–Funde nach 1980 aus dem Freistaat Sachsen (Insecta: Heteroptera) – 5. Beitrag – Mitteilungen Sächsischer Entomologen Entomofaunistische Gesellschaft e.V. LV Sachsen Supplement 8: 4–115.
  • Arnold, K. 2009: Checkliste der Heteropteren des Freistaates Sachsen – Mitteilungen Sächsischer Entomologen Entomofaunistische Gesellschaft e.V. LV Sachsen Supplement 8: 116–145.
  • Cohrs, C. & C. Kleindienst 1934: Hemiptera–Heteroptera (Wanzen) Zentralsachsens – Berichte der Naturwissenschaftlichen Gesellschaft zu Chemnitz Chemnitz 24: 143–182.
  • Jordan, K. H. C. 1940: Die Heteropterenfauna der Oberlausitz und Ostsachsens – Isis Budissina Bautzen 14: 96–156.
  • Jordan, K. H. C. 1963: Die Heteropterenfauna Sachsens – Faunistische Abhandlungen Staatliches Museum für Tierkunde Dresden 1: 1–68.
  • Klausnitzer, B. , R. Franke & M. Sieber 2005: Aradiden–Funde aus der Oberlausitz und aus Brandenburg (Heteroptera, Aradidae) – Entomologische Nachrichten und Berichte Dresden 49 2: 145–147.
  • Lange, C. 1898: Ergebnisse entomologischer Beobachtungen aus der Umgebung Annabergs – Bericht Annaberg–Buchholzer Verein für Naturkunde 10.
  • Michalk, O. 1938: Die Wanzen (Hemiptera heteroptera) der Leipziger Tieflandsbucht und der angrenzenden Gebiete, zugleich eine kritische Zusammenstellung aller deutschen Arten – Sitzungsberichte der Naturforschenden Gesellschaft zu Leipzig 63/64: 15–18.
  • Péricart, J. 1999: Hémiptères Lygaeidae euro–méditerranéens. Vol. 3 – Faune de France 84C: 1–487.
  • Schuhmacher, F. 1919: Verzeichnis der bei Schandau in der Sächsischen Schweiz beobachteten Hemipteren – Entomologische Mitteilungen 8: 150 – 156.
  • Wachmann, E. , A. Melber & J. Deckert 2007: Wanzen Band 3. Pentatomomorpha I. Aradidae, Lygaeidae, Piesmatidae, Berytidae, Pyrrhocoridae, Alydidae, Coreidae, Rhopalidae, Stenocephalidae. – Die Tierwelt Deutschlands 78.
  • Wagner, E. 1966: Wanzen oder Heteropteren, I. Pentatomorpha. In: Dahl, F., Dahl, M. & F. Peus (Hrsg.): Die Tierwelt Deutschlands und der angrenzenden Meeresteile – Gustav Fischer Verlag Jena 54.
Autor(-en): Michael Münch. Letzte Änderung am 29.04.2025

Weibliches Tier. Sehmatal, Erzgebirgskreis, Juli 2024
(© Andreas Ihl)


Pachybrachius fracticollis, Bärwalde, Moorwiese südwestlich Bauerteich (Deutschland, Sachsen, Landkreis Meißen), 29.07.2009
(© Michael Münch)
Login
Termine (Archiv)
Statistik
  • 663308 Beobachtungen
  • 352205 Onlinemeldungen
  • 4190 Steckbriefe
  • 290076 Fotos
  • 12146 Arten mit Fund
  • 6795 Arten mit Fotos

      

Verwendung von Cookies

Wir verwenden Cookies ausschließlich, um diese Website für Sie optimal zu gestalten und fortlaufend verbessern zu können. Durch die weitere Nutzung der Webseite stimmen Sie der Verwendung von Cookies zu.