Eremocoris podagricus (Fabricius, 1775)

DE Deutschland , DE-SN Sachsen Druckansicht

Diagnose

Körperlänge: 5,5–7,0 mm.

Kopf: schwarz. Fühler schlank, schwarz.

Thorax: Halsschild in der Vorderhälfte gewölbt, schwarz, matt. Die Hinterhälfte flach, bräunlich. Halsschildseitenränder blattartig, weißlich. Halbdecken vorn heller in der Hinterhälfte bräunlich mit schwarzen Flecken. Häutiger Teil der Flügel (Membran) bei den stets langflügeligen Tieren schwarz mit weißen Adern und je einem großen weißen Fleck links und rechts. Vorderschenkel mit 2 Reihen feiner Zähne und zwei größeren Zähnen. Schenkel in der Regel bräunlich gefärbt. Schienen etwas heller als die Schenkel. Hinterschienen nur mit kurzer Behaarung, diese kürzer als der Durchmesser der Schienen. Mittelbrust vor den Mittelhüften mit zahnartigen Höckern.

Abdomen: schwarz, breit länglich-oval.

Ähnliche Arten: Eremocoris abietis ohne lange Haare an den Hinterschienen und einem größeren Zahn am Vorderschenkel. Eremocoris fenestratus mit langen Haaren an den Hinterschienen und einem größeren Zahn am Vorderschenkel. Eremocoris plebejus mit langen Haaren an den Hinterschienen und zwei größeren Zähnen am Vorderschenkel. Arten der Gattung Scolopostethus mit maximal 4,6mm Körperlänge deutlich kleiner.

 

Gesetzlicher Schutz und Rote Liste

Merkmale

Verbreitung

Eremocoris podagricus ist eine mediterrane Art, deren Areal nach Norden bis in den Süden der Britischen Inseln und nach Mittel- und Südosteuropa reicht. Im Osten kommt die Art über Kleinasien bis in die Kaukasusregion vor. In Deutschland bis zum Nordrand der Mittelgebirge vorkommend.

Vorkommen in Sachsen

Die Art ist in Sachsen sehr selten. Sie wird seit den 2000er Jahren häufiger gefunden als in der ersten Hochzeit der sächsischen Wanzenkunde im frühen 20. Jahrhundert. Dies könnte aber auch mit den Suchmethoden zusammenhängen.

Lebensweise

Bei Eremocoris podagricus überwintern erwachsene Tiere in der Streu und erscheinen im späten Frühjahr zur Paarung aus dem Winterquartier. Aus den den Sommer über anzutreffenden Larven entwickeln sich ab August die ersten erwachsenen Tiere der neuen Generation. Unter sehr günstigen Bedingungen scheint in Süddeutschland eine zweite Generation zu entstehen, von der gegebenenfalls auch ältere Larven überwintern. Die Art ist fast ausschließlich am Boden anzutreffen.

Lebensräume

Die Art lebt in Offenlandstandorten mit eingestreuten Büschen oder in Saumgesellschaften an Waldrändern oder Hecken. So wird sie in Sachsen häufig in der Streu unter Weißdorn-Büschen (Crataegus spec.) gefunden. In Süddeutschland erfolgen Nachweise auch häufig unter Wacholder (Juniperus communis), der jedoch in Sachsen nur extrem selten wild vorkommt. Die sächsischen Fundorte sind meist trockenere Standorte. Es sollen aber auch feuchtere Standorte bewohnt werden.

Bestandssituation

Die Art ist in Sachsen selten und ungefährdet.

Literatur

  • Arnold, K. 2009: Aktuelle Heteropteren–Funde nach 1980 aus dem Freistaat Sachsen (Insecta: Heteroptera) – 5. Beitrag – Mitteilungen Sächsischer Entomologen Entomofaunistische Gesellschaft e.V. LV Sachsen Supplement 8: 4–115.
  • Arnold, K. 2009: Checkliste der Heteropteren des Freistaates Sachsen – Mitteilungen Sächsischer Entomologen Entomofaunistische Gesellschaft e.V. LV Sachsen Supplement 8: 116–145.
  • Block, L.H. Freiherr von 1799: Verzeichniß der merkwürdigsten Insecten, welche im Plauischen Grunde gefunden werden. In: W. G. BECKER: Der Plauische Grund bei Dresden mit Hinsicht auf Naturgeschichte und schöne Gartenkunst. – Nürnberg.
  • Jordan, K. H. C. 1940: Die Heteropterenfauna der Oberlausitz und Ostsachsens – Isis Budissina Bautzen 14: 96–156.
  • Jordan, K. H. C. 1963: Die Heteropterenfauna Sachsens – Faunistische Abhandlungen Staatliches Museum für Tierkunde Dresden 1: 1–68.
  • Michalk, O. 1938: Die Wanzen (Hemiptera heteroptera) der Leipziger Tieflandsbucht und der angrenzenden Gebiete, zugleich eine kritische Zusammenstellung aller deutschen Arten – Sitzungsberichte der Naturforschenden Gesellschaft zu Leipzig 63/64: 15–18.
  • Péricart, J. 1999: Hémiptères Lygaeidae euro–méditerranéens. Vol. 2 – Faune de France 84B: 1–453.
  • Schuhmacher, F. 1919: Verzeichnis der bei Schandau in der Sächsischen Schweiz beobachteten Hemipteren – Entomologische Mitteilungen 8: 150 – 156.
  • Wachmann, E. , A. Melber & J. Deckert 2007: Wanzen Band 3. Pentatomomorpha I. Aradidae, Lygaeidae, Piesmatidae, Berytidae, Pyrrhocoridae, Alydidae, Coreidae, Rhopalidae, Stenocephalidae. – Die Tierwelt Deutschlands 78.
  • Wachmann, E. , A. Melber & J. Deckert 2012: Wanzen Band 5. Supplementband. Dipsocoromorpha, Nepomorpha, Gerromorpha, Leptopodomorpha, Cimicomorpha und Pentatomomorpha. – Die Tierwelt Deutschlands 82.
  • Wagner, E. 1966: Wanzen oder Heteropteren, I. Pentatomorpha. In: Dahl, F., Dahl, M. & F. Peus (Hrsg.): Die Tierwelt Deutschlands und der angrenzenden Meeresteile – Gustav Fischer Verlag Jena 54.
Autor(-en): Michael Münch. Letzte Änderung am 23.04.2025

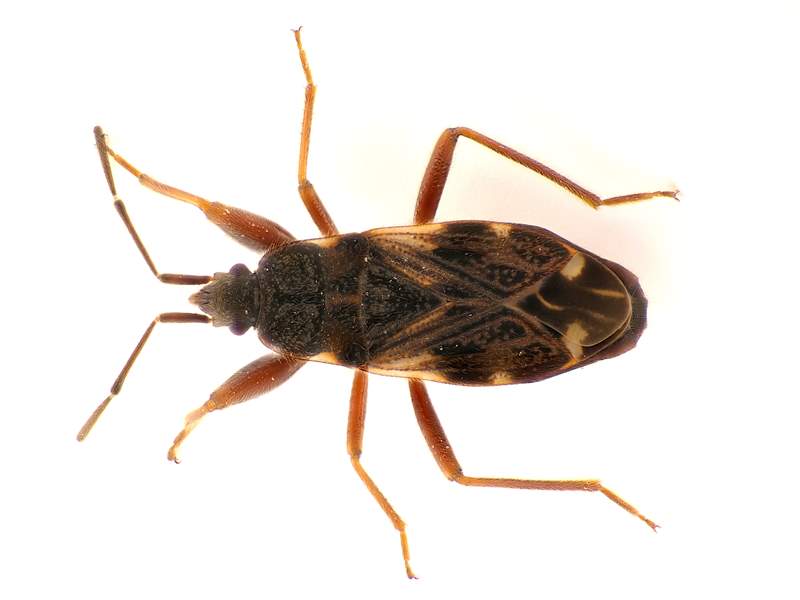
Fuhlendorf (Landkreis Vorpommern-Rügen), 12. Mai 2023
(© Martin Feike)


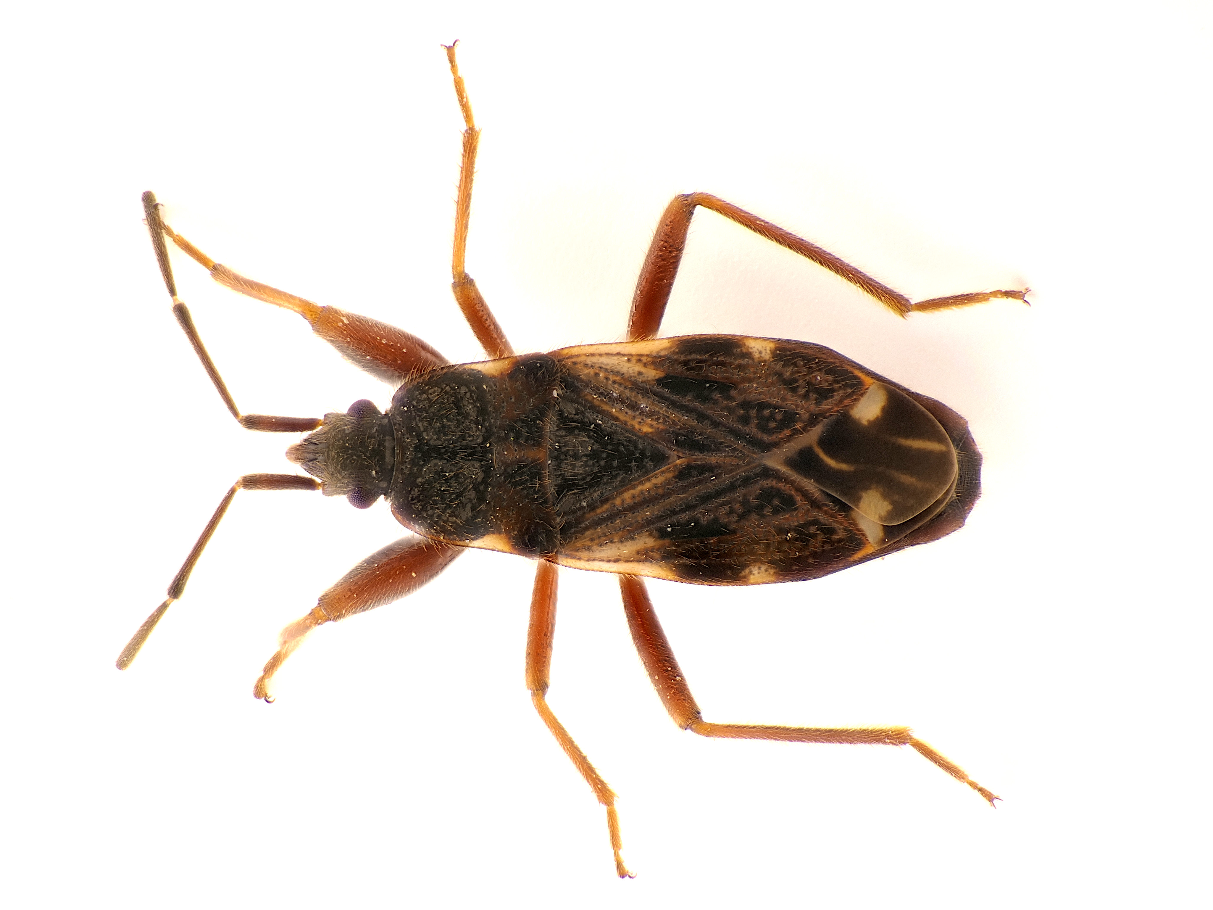
Hohenprießnitz, April 2020
(© Michael Happ)
Login
Termine (Archiv)
Statistik
  • 659775 Beobachtungen
  • 348589 Onlinemeldungen
  • 4189 Steckbriefe
  • 287847 Fotos
  • 12138 Arten mit Fund
  • 6786 Arten mit Fotos

      

Verwendung von Cookies

Wir verwenden Cookies ausschließlich, um diese Website für Sie optimal zu gestalten und fortlaufend verbessern zu können. Durch die weitere Nutzung der Webseite stimmen Sie der Verwendung von Cookies zu.