Diagnose
                            
                                
 
			
    
            
            
            
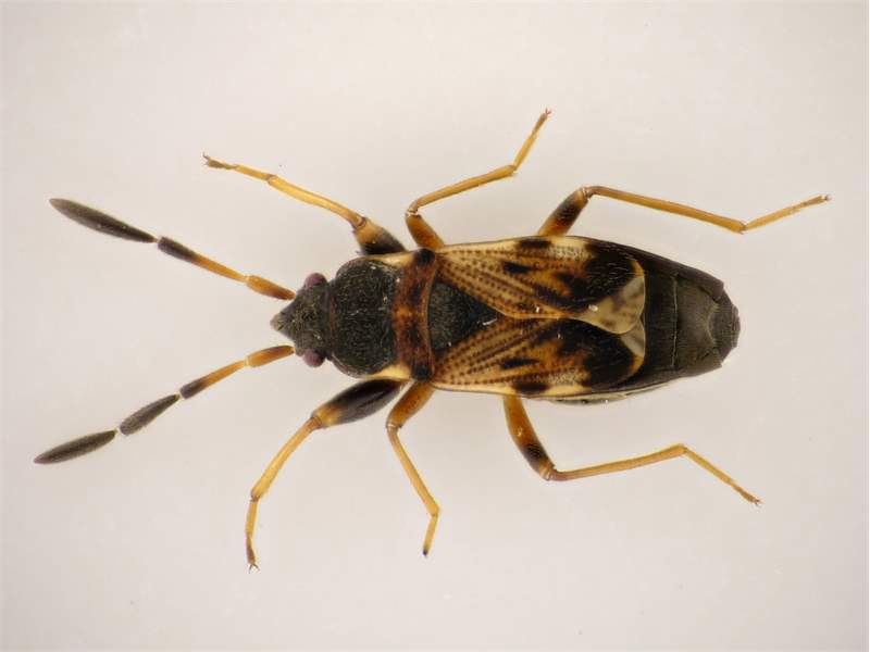
            Körperlänge: 3,4–4,0 mm. 
Kopf: schwarz, dreieckige Grundform, das erste Fühlerglied ist hell orange-bräunlich, das zweite Glied im hinteren Teil ebenso, vorderer Teil des zweiten, sowie drittes und viertes Fühlerglied schwarz.. 
Thorax: schwarz, am Hinterende mit blattartigen weißlichen Aussenrändern. 
Abdomen: Schildchen schwarz, Halbdecken vorn hellbraun, dunkel punktiert, hinten schwarz mit vier weißlichen Längsflecken, meist kurzflüglig - langflüglige Exemplare deutlich seltener. 
Ähnliche Arten: Bei  Scolopostethus decoratus zweites Fühlerglied vorn breit schwarz mit hellem Ring an der Basis. Bei  Scolopostethus grandis zweites Fühlerglied hinten orangebraun, vorn schwarz, drittes Fühlerglied einfarbig schwarz, mit zwei Zähnen (Männchen) / Tuberkeln (Weibchen) am Bauch. Bei  Scolopostethus pilosus Hinterleib verkehrt einförmig, hinten sehr viel breiter als der Halsschild. Bei  Scolopostethus puberulus zweites Fühlerglied einfarbig orangebraun, drittes einfarbig schwarz, Rüssel reicht bis zu den Hinterhüften. Bei  Scolopostethus affinis zweites Fühlerglied orangebraun, drittes hinten orange-braun, vorn schwarz, mit zwei Zähnen (Männchen) / Tuberkeln (Weibchen) am Bauch. Bei  Scolopostethus pictus alle Fühlerglieder orangebraun..
   
            
            
            
		 
                            
                            
                                Gesetzlicher Schutz und Rote Liste
                                
                                    
—
                                 
                             
                            
			
    
            
            
            
            Verbreitung
Scolopostethus thomsoni ist holarktisch verbreitet von Europa über Asien bis nach Nordamerika. In Europa reicht die Verbreitung vom Mittelmeerraum bis in den hohen Norden. In den Alpen reicht die Höhenverbreitung bis über 1000 m. 
Vorkommen in Sachsen
Die Art kommt in ganz Sachsen bis einschließlich geschützer Lagen im Kammbereich des Erzebirges vor. 
Lebensweise
Die Art ist an Bestände von Brennnesseln gebunden - in der Regel sind dies Vorkommen der Großen Brennnessel (Urtica dioica), weil für eine erfolgreiche Entwicklung der Larven das Besaugen von Brennnesselsamen zwingend ist. Es werde aber auch andere Samen besaugt. Die in der Streu, in Totholz oder unter Borke überwinternden erwachsenen Tiere erscheinen im zeitigen Frühjahr. Paarungen und später Larven sind über einen langen Zeitraum zu beobachten, so dass es zur Überlappung der Generationen kommt. Eventuell gibt es auch eine zweite, gegebenenfalls unvollständige Generation pro Jahr. 
Lebensräume
Die Art lebt in Saumgesellschaften und gehölzreichen Biotopen in welchen Bestände von Brennnesseln, in der Regel der Großen Brennnessel (Urtica dioica) vorkommen. Scolopostethus thomsoni scheint ein etwas niedrigeres Wärmebedürfnis zu haben, als die Schwesterart Scolopostethus affinis. 
Bestandssituation
Die Art ist in Sachsen sehr häufig und ungefährdet. 
Literatur
    - Achtziger, R., S. Tautenhahn 2006: Wanzen- (Heteroptera) und Zikadenarten (Auchenorrhyncha) des Campus der TU Bergakademie Freiberg - Mitteilungen des Naturschutzinstitutes Freiberg Freiberg 2: 29-37.
 
    - Arnold, K. 2009: Checkliste der Heteropteren des Freistaates Sachsen - Mitteilungen Sächsischer Entomologen Entomofaunistische Gesellschaft e.V. LV Sachsen Supplement 8: 116-145.
 
    - Cohrs, C. & C. Kleindienst 1934: Hemiptera-Heteroptera (Wanzen) Zentralsachsens - Berichte der Naturwissenschaftlichen Gesellschaft zu Chemnitz Chemnitz 24: 143-182.
 
    - Hiebsch, H. 1960: Das Naturschutzgebiet "Pillnitzer Elbinsel" - Naturschutzarbeit und naturkundliche Heimatforschung in Sachsen 2(3).
 
    - Jordan, K. H. C. 1963: Die Heteropterenfauna Sachsens - Faunistische Abhandlungen Staatliches Museum für Tierkunde Dresden 1: 1-68.
 
    - Michalk, O. 1938: Die Wanzen (Hemiptera heteroptera) der Leipziger Tieflandsbucht und der angrenzenden Gebiete, zugleich eine kritische Zusammenstellung aller deutschen Arten - Sitzungsberichte der Naturforschenden Gesellschaft zu Leipzig 63/64: 15-18.
 
    - Nigmann, U. & D. Münch, M. Münch & R. Achtziger 2008: Verbreitung und Ausbreitung der Platanenwanze Arocatus longiceps St°al, 1872 in Ostdeutschland (Heteroptera: Lygaeidae) - Sächsische Entomologische Zeitung Leipzig 3: 76-88.
 
    - Péricart, J. 1999: Hémiptères Lygaeidae euro-méditerranéens. Vol. 2 - Faune de France 84B: 1-453.
 
    - Vogel, J. 1998: Wanzen (Heteroptera) in: Das Dubringer Moor - StUFA Bautzen und Naturforsch.Ges. der Oberlausitz: 59-60.
 
    - Wachmann, E. , A. Melber & J. Deckert 2007: Wanzen Band 3. Pentatomomorpha I. Aradidae, Lygaeidae, Piesmatidae, Berytidae, Pyrrhocoridae, Alydidae, Coreidae, Rhopalidae, Stenocephalidae. - Die Tierwelt Deutschlands 78.
 
    - Wachmann, E. , A. Melber & J. Deckert 2012: Wanzen Band 5. Supplementband. Dipsocoromorpha, Nepomorpha, Gerromorpha, Leptopodomorpha, Cimicomorpha und Pentatomomorpha. - Die Tierwelt Deutschlands 82.
 
    - Wagner, E. 1966: Wanzen oder Heteropteren, I. Pentatomorpha. In: Dahl, F., Dahl, M. & F. Peus  (Hrsg.): Die Tierwelt Deutschlands und der angrenzenden Meeresteile - Gustav Fischer Verlag Jena 54.
 
 
            
            Autor(-en): Michael Münch. Letzte Änderung am 18.02.2025
            
		  
                         | 
                        
                            
                                    
                                        
                                             
                                        
                                        
                                            
                                         
                                        
                                        Scolopostethus thomsoni, Niedersteinbach, Steinbachaue nördlich des Ortes (Deutschland, Sachsen, Landkreis Mittelsachsen), 20.05.2009 
                                        (© Michael Münch)
                                         
                                            Scolopostethus thomsoni, Niedersteinbach, Steinbachaue nördlich des Ortes (Deutschland, Sachsen, Landkreis Mittelsachsen), 20.05.2009 (©  Michael Münch)( Bild vergrößern)
                                          
                                     
                                
                                     
                                
                                    
                                        
                                             
                                        
                                        
                                            
                                         
                                        
                                        Scolopostethus thomsoni Reuter, 1875, Gemarkung Hohenprießnitz, April 2014 
                                        (© Michael Happ)
                                         
                                            Scolopostethus thomsoni Reuter, 1875, Gemarkung Hohenprießnitz, April 2014 (©  Michael Happ)( Bild vergrößern)
                                          
                                     
                                
                         |