Stenodema calcarata (Fallen, 1807)

DE Deutschland , DE-SN Sachsen Druckansicht

Diagnose

Gesetzlicher Schutz und Rote Liste

Merkmale

Die Arten der Gattung Stenodema unterscheiden sich von den Schwestergattungen Acetropis durch die Längsfurche auf dem Kopf (Scheitel) und von den anderen Stenodemini ( Megaloceroea, Notostira, Teratocoris, Leptopterna ) durch das punktierte Schildchen. Innerhalb der sächsischen Vertreter der Gattung Stenodema erkennt man Stenodema calcarata and den gezähnten Hinterschenkeln, welche am äusseren Ende mehrere nach hinten gerichtete leicht gebogene Stacheln aufweisen.

Verbreitung

Das Areal umfasst ganz Europa und reicht nach Nordafrika, in den Nahen Osten und bis China, Korea sowie Japan.

Vorkommen in Sachsen

Stenodema calcarata ist in Sachsen weit verbreitet und sehr häufig. In den oberen Gebirgslagen werden die Funde etwas spärlicher - die höchsten Nachweise liegen derzeit bei 850m Höhenlage.

Lebensweise

Wie alle Arten der Gattung Stenodema überwintert Stenodema calcarata als erwachsenes Tier. Sie bildet pro Jahr ein bis zwei Generationen aus, so dass Larven sowohl im Mai / Juni als auch im August /september gefunden werden und Imagines das ganze Jahr über gefunden werden können. Sie ernährt sich von verschiedenen Gräsern, dabei kommen sowohl Süßgraser (Poaceae) als auch Sauergräser (Cyperaceae) und Binsengewächse (Juncaea) in Frage.

Lebensräume

Stenodema calcarata besiedelt feuchte bis nasse Wiesenstandorte und Moore. Sie kommt nur ausnahmsweise in trockenen Wiesen vor. Nur zur Überwinterung sucht sie stets trockene Waldränder oder Säume auf. Sie ist von allen Arten der Gattung Stenodema die Art, welche die feuchtesten Lebensräume besiedelt.

Bestandssituation

Die Art ist in Sachsen sehr häufig und ungefährdet.

Literatur

  • Achtziger, Roland & Tautenhahn, Susanne (2006): Wanzen- (Heteroptera) und Zikadenarten (Auchenorrhyncha) des Campus der TU Bergakademie Freiberg - Mitteilungen des Naturschutzinstitutes Freiberg Freiberg 2: 29-37
  • Arnold, Kurt (2009): Checkliste der Heteropteren des Freistaates Sachsen - Mitteilungen Sächsischer Entomologen Entomofaunistische Gesellschaft e.V. LV Sachsen Supplement 8: 116-145
  • Bembenek, Horst & Krause, Rüdiger (1969): Lichtfangergebnisse aus Moritzburg in Sachsen - Faunistische Abhandlungen Staatliches Museum für Tierkunde Dresden 2/26: 259-271
  • Brändle, Martin & Rieger, Christian (1999): Die Wanzenfauna von Kiefernstandorten (Pinus sylvestris L.) in Mitteleuropa (Insecta: Hemiptera: Heteroptera) - Faunistische Abhandlungen Staatliches Museum für Tierkunde Dresden 21: 239-258
  • Cohrs, Christoph & Kleindienst, Clemens (1934): Hemiptera-Heteroptera (Wanzen) Zentralsachsens - Berichte der Naturwissenschaftlichen Gesellschaft zu Chemnitz Chemnitz 24: 143-182
  • Engelmann, Hans-Dieter (2008): Artenliste der Wanzen der Niederspreeexkursion - Heteropteron Köln 28: 7-8
  • Jordan, K. H. C. (1963): Die Heteropterenfauna Sachsens - Faunistische Abhandlungen Staatliches Museum für Tierkunde Dresden 1: 1-68
  • Michalk, Otto (1938): Die Wanzen (Hemiptera heteroptera) der Leipziger Tieflandsbucht und der angrenzenden Gebiete, zugleich eine kritische Zusammenstellung aller deutschen Arten - Sitzungsberichte der Naturforschenden Gesellschaft zu Leipzig 63/64: 15-18
  • Schuhmacher, Friedrich (1919): Verzeichnis der bei Schandau in der Sächsischen Schweiz beobachteten Hemipteren - Entomologische Mitteilungen 8: 150 – 156
  • Vogel, Jürgen (1998): Wanzen (Heteroptera) in: Das Dubringer Moor - StUFA Bautzen und Naturforsch.Ges. der Oberlausitz: 59-60
  • Wachmann, Ekkehard & Melber, Albert & Deckert, Jürgen (2004): Wanzen Band 2. Cimicomorpha. Microphysidae (Flechtenwanzen) Miridae (Weichwanzen). - Die Tierwelt Deutschlands 75
  • Wagner, Eduard (1952): Blindwanzen oder Miriden. In: Dahl, F., Dahl, M. & H. Bischoff (Hrsg.): Die Tierwelt Deutschlands und der angrenzenden Meeresteile - Gustav Fischer Verlag Jena 41
  • Wagner, Eduard (1974): Die Miridae Hahn, 1831, des Mittelmeerraumes und der Makronesischen Inseln (Hemiptera, Heteroptera). Teil 1 - Entomologische Abhandlungen Museum für Tierkunde Dresden Dresden Supplement 37: i-iii, 1-484
Autor(-en): Michael Münch. Letzte Änderung am 17.11.2022

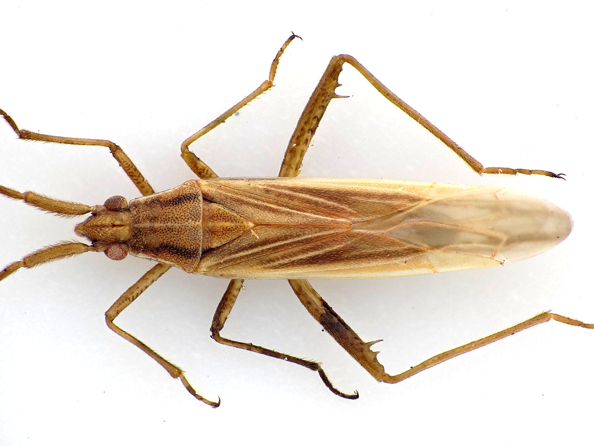
Stenodema calcarata, Blieschow, Ackersaum nördlich Haltepunkt Garftitz (Deutschland, Mecklenburg-Vorpommern, Rügen), 16.06.2009
(© Michael Münch)


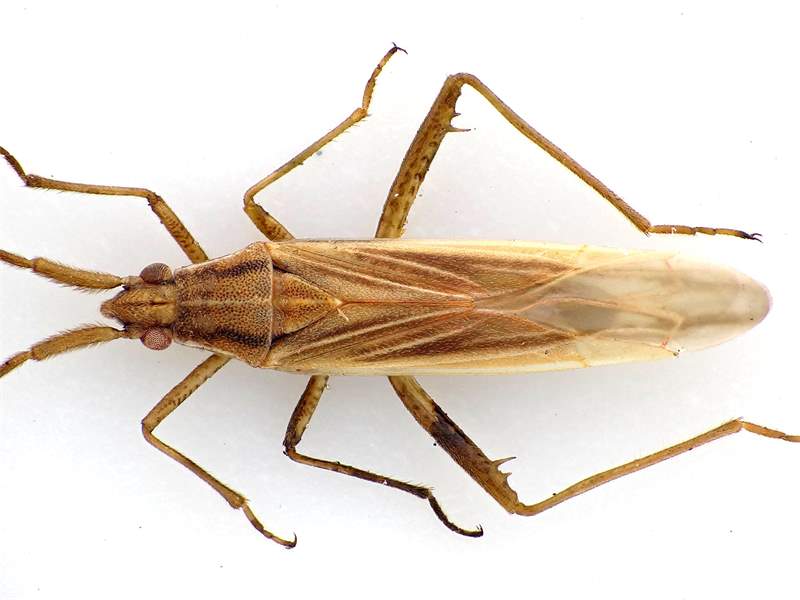
Stenodema calcarata in der Gemarkung Hohenprießnitz, März 2017
(© Michael Happ)
Login
Termine (Archiv)
Statistik
  • 666861 Beobachtungen
  • 355834 Onlinemeldungen
  • 4193 Steckbriefe
  • 292317 Fotos
  • 12149 Arten mit Fund
  • 6803 Arten mit Fotos

      

Verwendung von Cookies

Wir verwenden Cookies ausschließlich, um diese Website für Sie optimal zu gestalten und fortlaufend verbessern zu können. Durch die weitere Nutzung der Webseite stimmen Sie der Verwendung von Cookies zu.