Diagnose
Körperlänge : 4,6–5,7 mm.
Thorax: Oberseite punktiert, die Punktierung des Coriums deutlich dichter als die Punktierung des Pronotums, keine glatten Flächen frei lassend; Punktgruben des Pronotums ungefähr doppelt so groß wie die Punktgruben des Coriums; Färbung variabel, Scutellum hell mit schwarzem, zweispitzigen Fleck in der Mitte des Vorderrandes bis schwarz mit drei kleinen, hellen Flecken; Cuneus (durch Querfurche abgetrennter distaler Bereich des Coriums) am Außenrand mit schwarzem Streifen. Femora hell mit 2 subapicalen, dunklen Ringen.
Ähnliche Art: Lygus pratensis hat auf Pronotum und Corium gleich große Punktgruben und am Außenrand des Cuneus keinen schwarzen Streifen.
Gesetzlicher Schutz und Rote Liste
—
Merkmale
Verbreitung
Holarktische Region (Aglyamzyanov 2009).
Lebensweise
Polyphager Pflanzensauger an verschiedenen krautigen Pflanzen; vor allem die Larven saugen auch Blattläuse und Insekteneier aus (Wachmann et al. 2004). In Mitteleuropa zwei Generationen pro Jahr. Adulte überwintern bevorzugt in "dicken, trockenen Streuauflagen" an Waldrändern, in Hecken, Calluna-Beständen, manchmal auch auf Nadelbäumen (Wachmann et al. 2004).
Lebensräume
Nährstoffreiche Offenlandbiotope (Wachmann et al. 2004).
Bestandssituation
Sehr häufig.
Literatur
- Aglyamzyanov, R. 2009: Revision der paläarktischen Arten der Gattung Lygus Hahn, 1833 (Heteroptera: Miridae). – Entomologische Zeitschrift, 119 (6): 249–276.
- Wachmann, E., A. Melber & J. Deckert 2004: Wanzen, Band 2, Cimicomorpha, Microphysidae, Miridae. – Die Tierwelt Deutschlands 75: 1–288.
- Wagner, E. 1952: Blindwanzen oder Miriden. – Die Tierwelt Deutschlands 41: i–iv, 1–218.
- Wagner, E. 1961. Heteroptera - Hemiptera. – Die Tierwelt Mitteleuropas 4 (Lief. 3, Heft 10a): 1–173.
Autor(-en): Christian Schmidt. Letzte Änderung am 25.09.2019
|
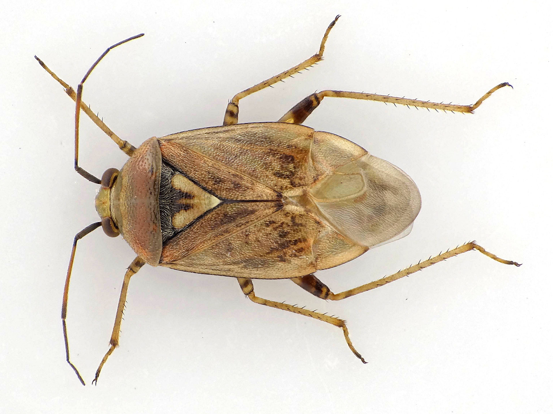
Lygus rugulipennis, Plauen/Vogtland, September 2017
(© Steffen Hintersaß)
Lygus rugulipennis, Plauen/Vogtland, September 2017 (© Steffen Hintersaß)( Bild vergrößern)
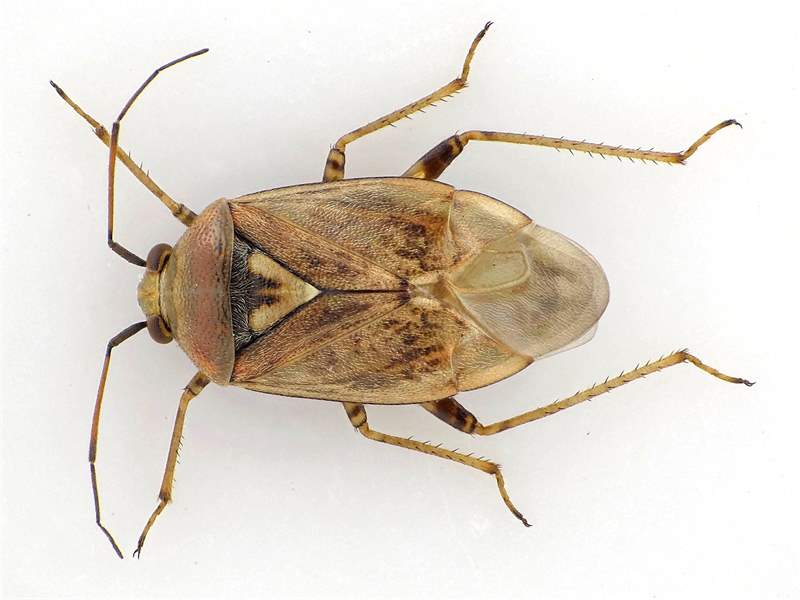
Weibchen von Lygus rugulipennis in der Gemarkung Hohenprießnitz, Mittelschlag, November 2014
(© Michael Happ)
Weibchen von Lygus rugulipennis in der Gemarkung Hohenprießnitz, Mittelschlag, November 2014 (© Michael Happ)( Bild vergrößern)
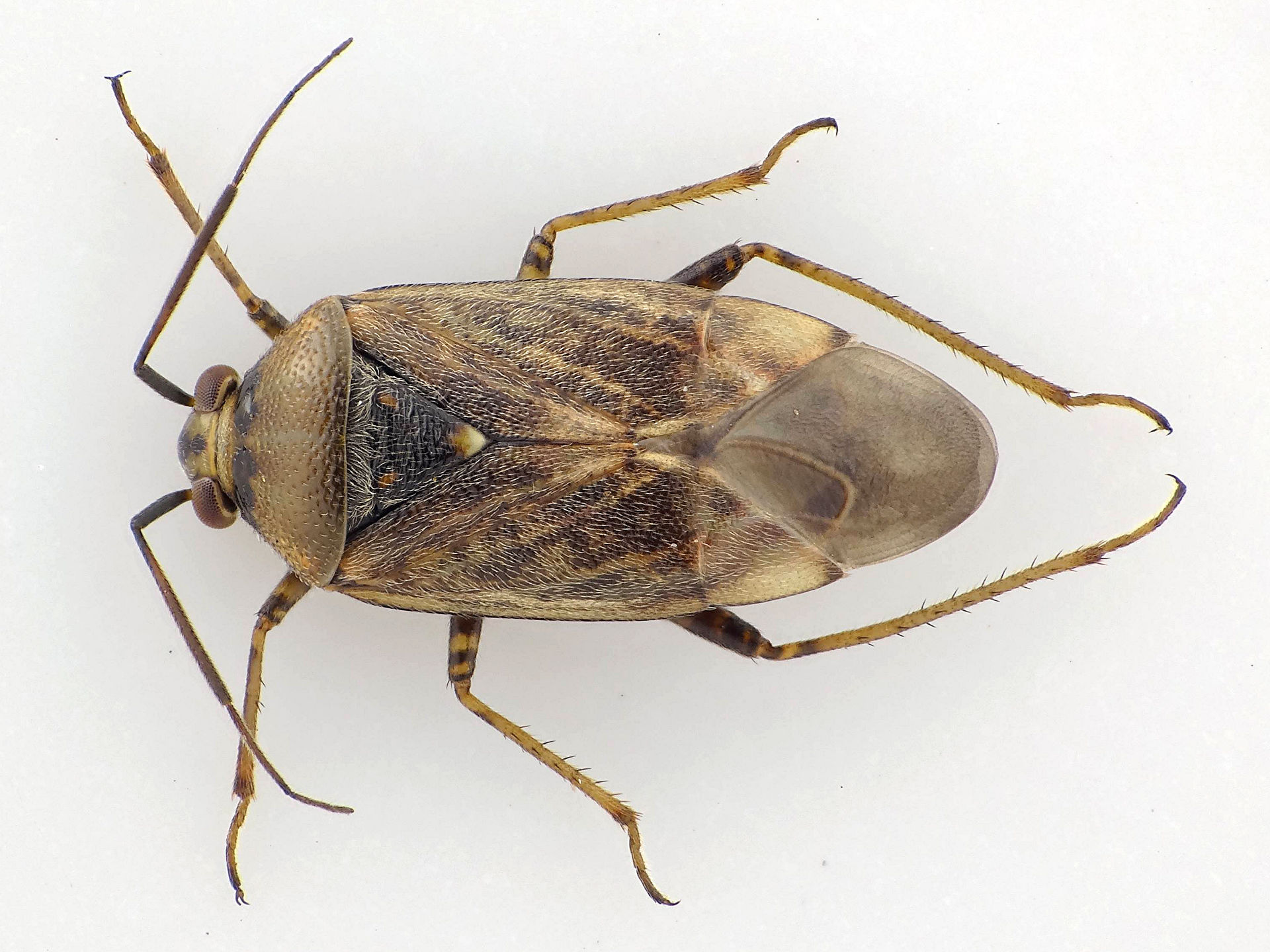
Lygus rugulipennis, helle Form, in der Gemarkung Hohenprießnitz, November 2017
(© Michael Happ)
Lygus rugulipennis, helle Form, in der Gemarkung Hohenprießnitz, November 2017 (© Michael Happ)( Bild vergrößern)
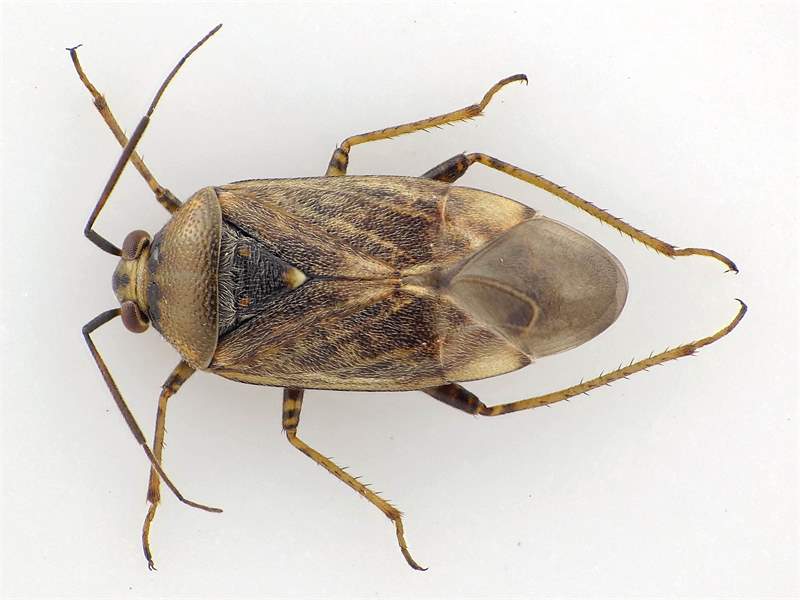
Lygus rugulipennis, dunkle Form, in der Gemarkung Hohenprießnitz, November 2017
(© Michael Happ)
Lygus rugulipennis, dunkle Form, in der Gemarkung Hohenprießnitz, November 2017 (© Michael Happ)( Bild vergrößern)
Lygus rugulipennis, Fuhlendorf (Vorpommern-Rügen), 21.09.2019
(© Martin Feike)
Lygus rugulipennis, Fuhlendorf (Vorpommern-Rügen), 21.09.2019 (© Martin Feike)( Bild vergrößern)
Behaarte Wiesenwanze,
Hausgarten in Niederwürschnitz,
22.09.2021
(© Jens Heßmann)
Behaarte Wiesenwanze,
Hausgarten in Niederwürschnitz,
22.09.2021 (© Jens Heßmann)( Bild vergrößern)
|