Langarmiger Pappelkätzchenrüssler (Dorytomus longimanus (Forster, 1771))

DE Deutschland , DE-SN Sachsen Druckansicht

Diagnose

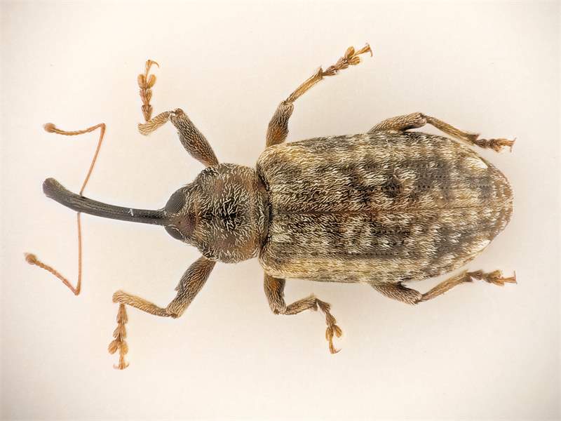
Käfer 4,5–7,5 mm lang. Farbvariationen von dunkelbraun bis hell rötlichbraun. Fühler deutlich gekniet, die Keule stets dunkel; erstes und zweites Geißelglied zusammen nicht länger als die restliche Fühlergeißel. Rüssel kahl, glänzend, mit Punktreihen und deutlich gebogen, länger als Kopf und Halsschild zusammen; Rüsselbasis und Stirn bilden zueinander einen ganz leichten stumpfen Winkel. Halsschildvorderrand an den Seiten bewimpert; Vorderbrust am Vorderrand nur leicht gebogen, ohne eckigen Ausschnitt; Vorderbrust vor den Vorderhüften länger als der Durchmesser der Vorderhüften (Seitenansicht); Behaarung der Flügeldecken fleckig-hellgrau. Charakteristisch sind die verlängerten Vorderschenkel der Männchen, bei einigen Individuen ist dieses Merkmal jedoch weniger ausgeprägt. Penis glatt mit glänzender Spitze, ohne Borsten.

Gesetzlicher Schutz und Rote Liste

Merkmale

Verbreitung

Lebensweise

Lebt an verschiedenen Pappelarten, an denen die adulten Tiere überwintern. Die Larven entwickeln sich im zeitigen Frühjahr in den Kätzchen der Bäume, mit denen sie später zur Erde fallen. Die Verpuppung findet im Boden statt; die Käfer schlüpfen im Mai.

Lebensräume

Bestandssituation

Literatur

  • Freude, H., K. W. Harde & G. A. Lohse 1983: Die Käfer Mitteleuropas. Band 11: Rhynchophora – Goecke & Evers Verlag, Krefeld. 303 S.
Autor(-en): Angela Kühne, Matthias Nuß. Letzte Änderung am 18.04.2015

Dorytomus longimanus, in der Laubstreu unter Pappeln; bei Lommatzsch Ende März 2014
(© Angela Kühne)


Dorytomus longimanus in der Gemarkung Hohenprießnitz, Februar 2018
(© Michael Happ)


Dorytomus longimanus in der Gemarkung Hohenprießnitz, Februar 2018
(© Michael Happ)
Login
Termine (Archiv)
Statistik
  • 663692 Beobachtungen
  • 352594 Onlinemeldungen
  • 4190 Steckbriefe
  • 290485 Fotos
  • 12146 Arten mit Fund
  • 6796 Arten mit Fotos

      

Verwendung von Cookies

Wir verwenden Cookies ausschließlich, um diese Website für Sie optimal zu gestalten und fortlaufend verbessern zu können. Durch die weitere Nutzung der Webseite stimmen Sie der Verwendung von Cookies zu.